白岡市高岩の土地
掲載情報更新日:2025年12月18日 次回更新予定日:2026年01月01日
- 1,050万円
-
- 借入ご希望金額
万円 - 借入期間
年 - 借入金利
% - 月々のお支払い金額
円
- 借入ご希望金額
※ 月々のお支払例は目安の試算となりますので、実際の金額とは異なる場合がございます。詳しくは店舗までお問合わせください。
- 白岡市高岩
-
JR東北本線『新白岡』 徒歩14分 (約1100m)
JR東北本線『白岡』 徒歩35分 (約2800m)
白岡市高岩土地 | 物件情報
□白岡市高岩に約381坪の土地販売! □新白岡駅まで徒歩14分+白岡東小学校まで徒歩9分
都市計画法34条12号区域
【周辺環境】
・白岡市立篠津中学校まで徒歩28分(約2170m)
・白岡市立白岡東小学校まで徒歩9分(約690m)
・新白岡もみじ公園まで徒歩8分(約600m)
・セブン-イレブン 宮代西粂原店まで徒歩19分(約1490m)
・山本クリニックまで徒歩10分(約790m)
・スギ薬局 新白岡店まで徒歩13分(約990m)
・武蔵野銀行 新白岡支店まで徒歩12分(約890m)
・アリス歯科クリニックまで徒歩11分(約880m)
・高岩保育園まで徒歩14分(約1120m)
・新白岡駅前郵便局まで徒歩15分(約1200m)
物件の特徴
- 前道6m以上
物件詳細情報
| 価格 | 1,050万円 | 坪単価 | 坪9.1万円 |
|---|---|---|---|
| 物件種別 | 土地 | ||
| 所在地 | 埼玉県白岡市高岩 A区画 | ||
| アクセス |
|
||
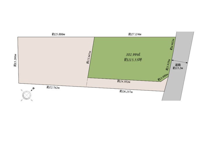
| 土地面積 | 公381.99㎡(115.55坪) | 接道 | 東側幅 約13.2m |
| 私道 | セットバック | 無 | |
| 最適用途 | 住宅用地 | 造成完了時期 | |
| 地目 | 畑 | 地勢 | 平坦 |
| 権利 | 所有権 |
||
| 都市計画 | 調整区域 調整区域につき建築許可要 |
用途地域 | 指定無 |
| 建ぺい/容積率 | 60% / 200% | 土地国土法 | |
| 許可番号 | 建築基準法 | ||
| 法令制限 | 都市計画法34条12号区域 | ||
| 小学区 | 白岡東小学校 徒歩9分 (約690m) | 中学区 | 篠津中学校 徒歩28分 (約2170m) |
| 現況 | 更地 | 引渡 | 相談 |
| 建築条件 | 建築条件付 | ||
| その他費用 | |||
| 周辺環境 | 白岡市立篠津中学校 徒歩28分 (約2170m) 白岡市立白岡東小学校 徒歩9分 (約690m) 新白岡もみじ公園 徒歩8分 (約600m) セブン-イレブン 宮代西粂原店 徒歩19分 (約1490m) 山本クリニック 徒歩10分 (約790m) スギ薬局 新白岡店 徒歩13分 (約990m) 武蔵野銀行 新白岡支店 徒歩12分 (約890m) アリス歯科クリニック 徒歩11分 (約880m) 高岩保育園 徒歩14分 (約1120m) 新白岡駅前郵便局 徒歩15分 (約1200m) |
||
| 備考 | 【建築条件付き売地】 ・この土地は土地売買契約後3ヶ月以内に積水ハウスや大和ハウス等の当社指定のハウスメーカーの中からお選びいただき、建物の建築請負契約を締結することを条件とします。この期間内に建築請負契約を締結されなかった場合は、土地売買契約は白紙となります。 ・34条12号区域につき白岡市内もしくは隣接する市町村の市街化調整区域に20年以上居住する本人又は親族6親等、婚姻3親等が自己居住住宅を建築できます。個別の事情により建築できない場合もございますので事前にご相談ください。 |
||
| 物件番号 | 4217026 | 取引態様 | 媒介 |
取扱店舗情報
| 電話番号 | 0480-48-7320 |
|---|---|
| 所在地 | 〒349-0218 埼玉県白岡市白岡1009-5 |
| 営業時間 | 9:00~18:00 |
| 定休日 | 火曜日、水曜日 |
| 宅建免許番号 | 埼玉県知事(1)第25611号 |
| アクセス | 店舗への地図はこちら |

来店ご予約
埼玉県白岡市で価格が似ている物件はこちら
- 埼玉県
マイページ物件数 - 3,218件
最近見た物件
-
-

-
- 土地
- 1,080万円
-
姫路市北平野4丁目
-
JR山陽本線姫路
-
-
-

-
- 土地
- 590万円
-
出雲市大津新崎町1丁目
-
一畑電車北松江線大津町
-
-
-

-
- 土地
- 750万円
-
高知市高須2丁目
-
とさでん交通後免線新木
-
埼玉県土地新着物件
-
-

-
- 土地
- 2,400万円
-
さいたま市見沼区大字南中野
-
JR東北本線大宮駅
-
-
-

-
- 土地
- 1,980万円
-
さいたま市見沼区大字中川
-
JR東北本線大宮駅
-
-
-

-
- 土地
- 1,680万円
-
さいたま市見沼区大字中川
-
JR東北本線大宮駅
-
-
-

-
- 土地
- 820万円
-
白岡市西6丁目
-
JR東北本線白岡駅
-
-
-

-
- 土地
- 1,680万円
-
川越市大字鴨田
-
東武東上線川越駅
-
-
-

-
- 土地
- 2,200万円
-
川越市かすみ野2丁目
-
JR川越線笠幡駅
-
-
-

-
- 土地
- 1,200万円
-
川越市大字藤間
-
東武東上線新河岸駅
-
- お近くの店舗を探す
-
おすすめ物件
-
-

-
- 土地
- 2,400万円
-
新座市畑中3丁目
-
JR武蔵野線北朝霞
-
-
-

-
- 土地
- 3,980万円
-
さいたま市大宮区大成町2丁目
-
埼玉新都市交通鉄道博物館(大成)
-
-
-

-
- 土地
- 2,590万円
-
上尾市大字小泉
-
JR高崎線上尾
-
-
-

-
- 土地
- 1,600万円
-
さいたま市見沼区大字小深作
-
東武野田線七里
-
-
-

-
- 土地
- 2,500万円
-
川越市広栄町
-
東武東上線川越
-
-
-

-
- 土地
- 2,285万円
-
さいたま市北区別所町
-
JR高崎線宮原
-
-
-

-
- 土地
- 2,400万円
-
川越市広栄町
-
東武東上線川越
-
-
-

-
- 土地
- 500万円
-
比企郡滑川町大字羽尾
-
東武東上線森林公園
-
-
-

-
- 土地
- 3,499万円
-
三郷市新和2丁目
-
つくばエクスプレス三郷中央
-
-
-

-
- 土地
- 3,090万円
-
蓮田市椿山1丁目
-
JR東北本線蓮田
-








担当エージェント:新井 亮太
【営業時間 9:00~18:00】(定休日:火曜日・水曜日)
上記時間はお電話が繋がりやすくなっております。
■物件の詳細のご相談受付中
「お問合せ」をクリック!
■弊社でリフォーム相談も受け付けています!
■マイページ登録すると会員様限定の物件閲覧が可能!
■各SNSやってます!