足利市小俣町の土地
掲載情報更新日:2026年01月23日 次回更新予定日:2026年02月06日
- 545万円
-
- 借入ご希望金額
万円 - 借入期間
年 - 借入金利
% - 月々のお支払い金額
円
- 借入ご希望金額
※ 月々のお支払例は目安の試算となりますので、実際の金額とは異なる場合がございます。詳しくは店舗までお問合わせください。
- 足利市小俣町
-
JR両毛線『小俣』 徒歩12分 (約900m)
足利市小俣町土地 | 物件情報
物件の設備
- 電気
- 上水道
- 下水道
- プロパンガス
物件詳細情報
| 価格 | 545万円 | 坪単価 | 坪7.0万円 |
|---|---|---|---|
| 物件種別 | 土地 | ||
| 所在地 | 栃木県足利市小俣町 | ||
| アクセス |
|
||
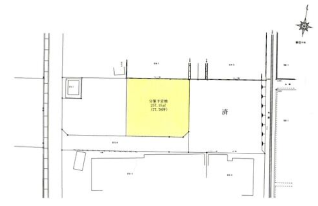
| 土地面積 | 実257.15㎡(77.78坪) | 接道 | 南西側(公道)幅 約5.0m |
| 私道 | 別:実137.70㎡ | セットバック | |
| 最適用途 | 事業用地 | 造成完了時期 | |
| 地目 | 田 | 地勢 | |
| 権利 | 所有権 |
||
| 都市計画 | 市街化区域 |
用途地域 | 準工業 |
| 建ぺい/容積率 | 60% / 200% | 土地国土法 | |
| 許可番号 | 建築基準法 | ||
| 法令制限 | |||
| 小学区 | 小俣小学校 徒歩14分 (約1100m) | 中学区 | 坂西中学校 徒歩33分 (約2600m) |
| 現況 | 更地 | 引渡 | 相談(現況渡し) |
| 建築条件 | 建築条件付 | ||
| その他費用 | |||
| 備考 | 建築条件付 | ||
| 物件番号 | 4271336 | 取引態様 | 媒介 |
取扱店舗情報
| 電話番号 | 0284-40-1017 |
|---|---|
| 所在地 | 〒326-0025 栃木県足利市寿町14-1 |
| 営業時間 | 09:00~18:00 |
| 定休日 | 毎週水曜日 |
| 宅建免許番号 | 栃木県知事(1)第5296号 |
| アクセス | 店舗への地図はこちら |

来店ご予約
栃木県足利市で価格が似ている物件はこちら
- 栃木県
マイページ物件数 - 6,936件
最近見た物件
-
-

-
- 土地
- 1,780万円
-
さいたま市見沼区大字小深作
-
東武野田線七里
-
-
-

-
- 土地
- 1,420万円
-
小牧市大字池之内
-
名鉄小牧線味岡
-
-
-

-
- 土地
- 1,298万円
-
静岡市駿河区向敷地4丁目
-
JR東海道本線安倍川
-
栃木県土地新着物件
-
-

-
- 土地
- 950万円
-
下都賀郡壬生町緑町2丁目
-
東武宇都宮線おもちゃのまち駅
-
-
-

-
- 土地
- 820万円
-
宇都宮市上籠谷町
-
JR東北本線宇都宮駅
-
-
-

-
- 土地
- 736万円
-
小山市大字間々田
-
JR東北本線間々田駅
-
-
-

-
- 土地
- 950万円
-
下都賀郡壬生町緑町2丁目
-
東武宇都宮線おもちゃのまち駅
-
-
-

-
- 土地
- 1,100万円
-
宇都宮市横山1丁目
-
JR東北本線岡本駅
-
-
-

-
- 土地
- 1,750万円
-
宇都宮市西川田南1丁目
-
東武宇都宮線西川田駅
-
-
-

-
- 土地
- 1,750万円
-
宇都宮市西川田南1丁目
-
東武宇都宮線西川田駅
-
- お近くの店舗を探す
-
おすすめ物件
-
-

-
- 土地
- 3,500万円
-
宇都宮市岩曽町
-
関東バス「堀切」
-
-
-

-
- 土地
- 1,980万円
-
宇都宮市戸祭2丁目
-
東武宇都宮線東武宇都宮
-
-
-

-
- 土地
- 2,480万円
-
宇都宮市下岡本町
-
JR東北本線岡本
-
-
-

-
- 土地
- 900万円
-
下都賀郡壬生町落合1丁目
-
東武宇都宮線国谷
-
-
-

-
- 土地
- 2,200万円
-
宇都宮市上戸祭町
-
東武宇都宮線東武宇都宮
-
-
-

-
- 土地
- 680万円
-
宇都宮市上戸祭町
-
関東バス文星大学前
-
-
-

-
- 土地
- 851万円
-
宇都宮市江曽島1丁目
-
東武宇都宮線江曾島
-
-
-

-
- 土地
- 1,560万円
-
宇都宮市駒生町
-
東武宇都宮線東武宇都宮
-
-
-

-
- 土地
- 1,310万円
-
小山市大字神鳥谷
-
JR東北本線小山
-
-
-

-
- 土地
- 1,380万円
-
宇都宮市氷室町
-
JR東北本線宇都宮
-


