コールクリーク江泊
掲載情報更新日:2025年10月13日 次回更新予定日:2025年10月27日 取引条件の有効期限:2025年11月07日
コールクリーク江泊 | 物件情報
価格
601万円~880万円所在地
山口県防府市大字江泊交通
JR山陽本線『防府』 徒歩49分 ~ 49分 (約3920m ~ 3920m)※所要時間内は、統計データに基づいた所要時間を掲載しております。
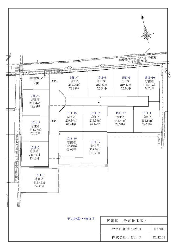
【区画割り画像】
物件の設備
- 公営水道
- 都市ガス
- 浄化槽
- 上水道
物件の特徴
- 区画整理地内
分譲地情報
| 分譲地名 | コールクリーク江泊 | ||
|---|---|---|---|
| 販売区画数 | 14戸 | 総区画数 | 14戸 |
| 価格 | 601万円~880万円 | ||
| 最多価格帯 | |||
| 交通 |
JR山陽本線『防府』 徒歩49分 ~ 49分 (約3920m ~ 3920m) |
||
| 土地面積 | 209.75㎡ ~336.24㎡ | ||
| 建物面積 | |||
| 都市計画 | 調整区域 | 用途地域 | 指定無 |
| 建ぺい率 | 60% | 容積率 | 100% |
| 地目 | 地勢 | 平坦 | |
| 許可番号 | 土地国士法 | ||
| 法令制限 | |||
| 小学校区 | 牟礼南小学校 徒歩5分 ~5分 (約405m ~405m) | ||
| 中学校区 | 国府中学校 徒歩20分 ~20分 (約1599m ~1599m) | ||
| 周辺環境情報 |
クスリ岩崎チェーン防府牟礼店 徒歩6分 ~ 6分 (約460m ~ 460m) 山口銀行防府牟礼支店 徒歩20分 ~ 20分 (約1560m ~ 1560m) |
||
| 備考 | |||
| 分譲地番号 | 241652 | ||
取扱店舗情報
| 電話番号 | 0835-28-1120 |
|---|---|
| 所在地 | 〒747-0809 山口県防府市寿町4-17 |
| 営業時間 | 9:30~18:00 |
| 定休日 | 毎週水曜日、第1以外の第木曜日 |
| 宅建免許番号 | 国土交通大臣(2)第9501号 |
| アクセス | 店舗への地図はこちら |






