南巨摩郡富士川町長澤 全11区画分譲地
掲載情報更新日:2025年10月03日 次回更新予定日:2025年10月17日 取引条件の有効期限:2025年10月20日
南巨摩郡富士川町長澤 全11区画分譲地 | 物件情報
価格
680万円~842万円所在地
山梨県南巨摩郡富士川町長澤交通
JR中央本線『甲府』 バス乗車44分 長沢三丁目 停 徒歩2分 ~ 2分 (約160m ~ 160m)JR身延線『鰍沢口』 車10分 ~ 10分(約4.5km~4.5km)
※所要時間内は、統計データに基づいた所要時間を掲載しております。

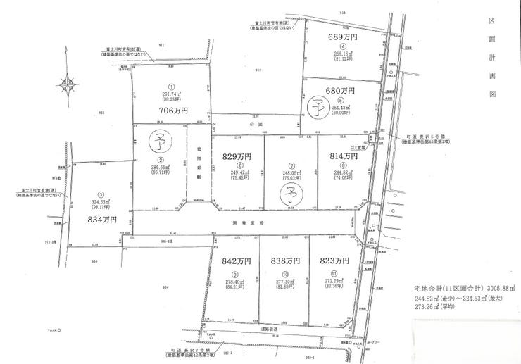
【区画割り画像】

物件の設備
- 個別プロパン
- 公共下水
- 公営水道
- プロパンガス
- 上水道
- 電気
物件の特徴
- 周辺交通量少なめ
- 緑豊かな住宅地
- 閑静な住宅街
- 開発分譲地内
- 陽当り良好
- 田園風景
- 整形地
分譲地情報
分譲地名 | 南巨摩郡富士川町長澤 全11区画分譲地 | ||
---|---|---|---|
販売区画数 | 9戸 | 総区画数 | 11戸 |
価格 | 680万円~842万円 | ||
最多価格帯 | |||
交通 |
JR中央本線『甲府』 バス乗車44分 長沢三丁目 停 徒歩2分 ~ 2分 (約160m ~ 160m) JR身延線『鰍沢口』 車10分 ~ 10分(約4.5km~4.5km) |
||
土地面積 | 244.82㎡ ~324.53㎡ | ||
建物面積 | |||
都市計画 | 非線引区域 | 用途地域 | 1種住居 |
建ぺい率 | 60% | 容積率 | 200% |
地目 | 地勢 | 平坦 | |
許可番号 | 土地国士法 | ||
法令制限 | |||
小学校区 | 増穂小学校 徒歩16分 ~16分 (約1226m ~1226m) | ||
中学校区 | |||
周辺環境情報 | |||
備考 | ◆令和8年1月末日造成造成工事完了予定 ◆工事完了後実測売買、地目を宅地に変更後引渡し | ||
分譲地番号 | 241914 |
取扱店舗情報
ハウスドゥ 甲府昭和通り 株式会社ドミール 店舗詳細ページへ
電話番号 | 055-287-8666 |
---|---|
所在地 | 〒409-3866 山梨県中巨摩郡昭和町西条4309番1 |
営業時間 | 9:00~18:30 |
定休日 | 年中無休(年末年始を除く) |
宅建免許番号 | 山梨県知事(3)第2284号 |
アクセス | 店舗への地図はこちら |