松戸市高塚新田第17 全15区画
NEW 04.14掲載情報更新日:2026年04月12日 次回更新予定日:2026年04月26日 取引条件の有効期限:2026年05月03日
松戸市高塚新田第17 全15区画 | 物件情報
価格
2,088万円~2,488万円所在地
千葉県松戸市高塚新田交通
JR武蔵野線『市川大野』 徒歩22分 ~ 22分 (約1760m ~ 1760m)※所要時間内は、統計データに基づいた所要時間を掲載しております。
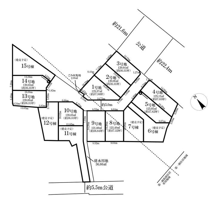
【区画割り画像】
物件の設備
- 浄化槽
- 個別浄化槽
- 公営水道
- 都市ガス
- 電気
物件の特徴
- スーパーが近い
- 閑静な住宅街
- 陽当り良好
- 平坦地
分譲地情報
| 分譲地名 | 松戸市高塚新田第17 全15区画 | ||
|---|---|---|---|
| 販売区画数 | 7戸 | 総区画数 | 15戸 |
| 価格 | 2,088万円~2,488万円 | ||
| 最多価格帯 | 2200.00万円 ~2300.00万円(2戸) | ||
| 交通 |
JR武蔵野線『市川大野』 徒歩22分 ~ 22分 (約1760m ~ 1760m) |
||
| 土地面積 | 120.04㎡ ~125.57㎡ | ||
| 建物面積 | |||
| 都市計画 | 市街化区域 | 用途地域 | 1種低層(一部1種住居 含む) |
| 建ぺい率 | 50%(一部60% 含む) | 容積率 | 100%(一部200% 含む) |
| 地目 | 地勢 | ||
| 許可番号 | 土地国士法 | ||
| 法令制限 | 景観法・農地法届出要・宅地造成及び特定盛土等規制法・日影制限有・法22条区域 | ||
| 小学校区 | 梨香台小学校 徒歩13分 ~13分 (約1000m ~1000m) | ||
| 中学校区 | 第五中学校 徒歩28分 ~28分 (約2200m ~2200m) | ||
| 周辺環境情報 |
市川大野駅 徒歩22分 ~ 22分 (約1760m ~ 1760m) 松戸市立梨香台小学校徒歩13分 (約1000m) 松戸市立第五中学校徒歩28分 (約2200m) |
||
| 備考 | |||
| 分譲地番号 | 258920 | ||
取扱店舗情報
| 電話番号 | 047-710-7935 |
|---|---|
| 所在地 | 〒271-0065 千葉県松戸市南花島1丁目7-6 |
| 営業時間 | 10:00~18:00 |
| 定休日 | 水曜日 |
| 宅建免許番号 | 国土交通大臣(2)第9365号 |
| アクセス | 店舗への地図はこちら |






