つくば市宝陽台24-2期 新築戸建
掲載情報更新日:2026年02月20日 次回更新予定日:2026年03月06日
- 2,299万円
-
- 借入ご希望金額
万円 - 借入期間
年 - 借入金利
% - 月々のお支払い金額
円
- 借入ご希望金額
※ 月々のお支払例は目安の試算となりますので、実際の金額とは異なる場合がございます。詳しくは店舗までお問合わせください。
- つくば市宝陽台
-
JR常磐線『牛久』 バス乗車11分 宝陽台公民館 停 徒歩2分 (約160m)
つくば市宝陽台24-2期 新築戸建一戸建て | 物件情報
【2025年7月完成】収納充実! 19帖のLDKでゆったり過ごせます♪
~~当物件おすすめポイント~~
・19帖のLDKは広々ゆったり♪
・収納充実!
ウォークインクローゼットは2ヶ所あり、用途別に使用できます。
・駐車スペース2台
・水回りがまとまった家事動線で快適♪
見たい!!と思ったら黄色【見学予約する】まで♪
お車での送迎・現地待ち合わせなど対応できます。
ここではお伝えしきれない実際の住まいをご見学いただけます!
お電話希望のお客様は通話料無料の『0120-207-783』まで
資料が欲しいと思ったら青色【資料請求・お問合せ】まで
初めての住宅購入で、何から始めればいいか分からない!
そんなお客様に、経験豊富なスタッフがわかりやすく
丁寧にご案内いたします!
小さなお客様連れでもゆったりとご見学いただけますので、
まずはお気軽にお問合せください。
物件の設備
- 電気
- 公営水道
- 公共下水
- 都市ガス
- 給湯
- コンロ三口
- ガスコンロ付
- カウンターキッチン
- システムキッチン
- ユニットバス
- バス1坪以上
- 追焚機能
- 浴室乾燥機
- 浴室に窓
- トイレ
- 温水洗浄便座
- 室内洗濯機置場
- 洗髪洗面化粧台
- モニタ付インターホン
- LDK18畳以上
- 複層ガラス
- 全室フローリング
- 24時間換気システム
- ウォークインクローゼット2箇所
- シューズボックス
- 庭
物件の特徴
- 地盤調査済
- 閑静な住宅街
- 2階建
- 平坦地
- 整形地
- 外壁サイディング
- 建設住宅性能評価付
- 設計住宅性能評価付
- 建築確認完了検査済証
- 新築
- 増改築設計図書
- 即入居可
- フラット35Sに対応
物件詳細情報
| 価格 | 2,299万円 | 間取り | 3LDK |
|---|---|---|---|
| 物件種別 | 新築一戸建て | ||
| 所在地 | 茨城県つくば市宝陽台 | ||
| アクセス |
|
||
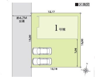
| 建物面積 | 公96.47㎡ | 駐車場 | あり 普通:2台 |
| 築年月 | 2025年(令和7年)08月築 | 建築確認 | 第24UDI1W建11319号 |
| 建物構造 | 木造 2階建 | 工法 | |
| 主要採光 | 南向 | バルコニー | |
| 保証・評価 | 設計住宅性能評価書・建設住宅性能評価書(新築時) |
||
| 土地面積 | 公162.19㎡(49.06坪) | 接道 | 西側(公道)幅 約4.5m |
| 私道 | セットバック | ||
| 地目 | 雑種地 | 地勢 | 平坦 |
| 権利 | 所有権 |
||
| 都市計画 | 調整区域 |
用途地域 | 指定無 |
| 建ぺい/容積率 | 50% / 100% | 土地国土法 | |
| 許可番号 | 建築基準法 | ||
| 法令制限 | |||
| 小学区 | 茎崎第三小学校 徒歩29分 (約2250m) | 中学区 | 茎崎中学校 徒歩21分 (約1670m) |
| 現況 | 空 | 引渡 | 即 |
| その他費用 | |||
| 備考 | 住宅性能評価書取得住宅 フラット35S使用可能 長期優良住宅 |
||
| 物件番号 | 4229387 | 取引態様 | 媒介 |
取扱店舗情報
ハウスドゥ つくばみどりの プラスワンエステート株式会社 店舗詳細ページへ
| 電話番号 | 029-828-7783 |
|---|---|
| 所在地 | 〒305-0882 茨城県つくば市みどりの中央63番地1 |
| 営業時間 | 9:00~18:00 |
| 定休日 | 火曜日、水曜日、年末年始 |
| 宅建免許番号 | 茨城県知事(4)第6607号 |
| アクセス | 店舗への地図はこちら |

来店ご予約
茨城県つくば市で価格が似ている物件はこちら
- 茨城県
マイページ物件数 - 801件
最近見た物件
-
-

-
- 中古一戸建て
- 1,499万円
-
観音寺市大野原町中姫
-
JR予讃線豊浜
-
-
-

-
- 新築一戸建て
- 4,698万円
-
大津市大江4丁目
-
JR東海道線瀬田
-
-
-

-
- 新築一戸建て
- 2,980万円
-
加古川市平岡町二俣
-
JR山陽本線東加古川
-
茨城県新築一戸建て新着物件
- お近くの店舗を探す
-































担当エージェント:鹿内 竜也
こんにちは♪
■ 当店は「見るだけ聞くだけ」がOKの不動産売買専門店です。
当店はつくば市を中心に常時200件以上の仲介物件を取り扱っています。
新築戸建だけでなく、中古戸建・売土地・マンションまで幅広くご紹介しております。
地域密着・即日対応でえお客様のお住まい探しをお手伝い致します。
安心してご相談下さい。
■ 住宅ローンアドバイザー有資格者在籍店
住宅ローンのご相談も承っております。
当社のご成約事例ですが、借入がある方、自営業の方、転職歴のある方、勤続1年未満の方
の購入のお手伝いをさせていただきました。
ご見学・資料などお気軽にお問い合わせください。