中川6丁目 売土地
掲載情報更新日:2025年10月31日 次回更新予定日:2025年11月14日
- 1,469万円
-
- 借入ご希望金額
万円 - 借入期間
年 - 借入金利
% - 月々のお支払い金額
円
- 借入ご希望金額
※ 月々のお支払例は目安の試算となりますので、実際の金額とは異なる場合がございます。詳しくは店舗までお問合わせください。
- 大阪市生野区中川6丁目
-
大阪市千日前線『北巽』 徒歩17分 (約1360m)
中川6丁目 売土地土地 | 物件情報
◆ハウスドゥ天六駅前おすすめ物件です♪
◆大阪メトロ千日前線「北巽」駅徒歩17分
物件の特徴
- 建築条件無
物件詳細情報
| 価格 | 1,469万円 | 坪単価 | 坪110.1万円 |
|---|---|---|---|
| 物件種別 | 土地 | ||
| 所在地 | 大阪府大阪市生野区中川6丁目 | ||
| アクセス |
|
||
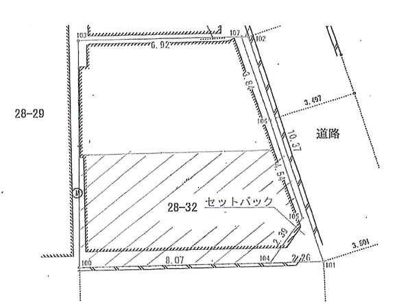
| 土地面積 | 公44.13㎡(13.34坪) | 接道 | 東側幅 約3.4m 西側幅 約4.7m |
| 私道 | セットバック | ||
| 最適用途 | 住宅用地 | 造成完了時期 | |
| 地目 | 宅地 | 地勢 | |
| 権利 | 所有権 |
||
| 都市計画 | 市街化区域 |
用途地域 | 準工業 |
| 建ぺい/容積率 | 80% / 200% | 土地国土法 | |
| 許可番号 | 建築基準法 | ||
| 法令制限 | |||
| 小学区 | 中学区 | ||
| 現況 | 更地 | 引渡 | 相談 |
| 建築条件 | 建築条件なし | ||
| その他費用 | |||
| 備考 | |||
| 物件番号 | 4271202 | 取引態様 | 媒介 |
取扱店舗情報
| 電話番号 | 06-6881-4360 |
|---|---|
| 所在地 | 〒531-0041 大阪府大阪市北区天神橋7丁目3-2 大山ビル6F |
| 営業時間 | 10:00~19:00 |
| 定休日 | 火曜日・水曜日 |
| 宅建免許番号 | 大阪府知事(3)第56923号 |
| アクセス | 店舗への地図はこちら |

来店ご予約
- 大阪府
マイページ物件数 - 15,276件
大阪府土地新着物件
-
-

-
- 土地
- 1,190万円
-
大阪市西成区南開2丁目
-
南海汐見橋線津守駅
-
-
-

-
- 土地
- 2,080万円
-
大阪市北区長柄中2丁目
-
阪急電鉄千里線天神橋筋六丁目駅
-
-
-

-
- 土地
- 3,980万円
-
豊中市永楽荘3丁目
-
阪急電鉄箕面線桜井駅
-
-
-

-
- 土地
- 4,380万円
-
大阪市淀川区西三国1丁目
-
大阪市御堂筋線東三国駅
-
-
-

-
- 土地
- 1,290万円
-
高槻市下田部町1丁目
-
阪急電鉄京都線高槻市駅
-
-
-

-
- 土地
- 6,500万円
-
吹田市青葉丘南
-
大阪モノレール宇野辺駅
-
-
-

-
- 土地
- 1億5,000万円
-
豊中市服部南町2丁目
-
阪急電鉄宝塚線服部天神駅
-
- お近くの店舗を探す
-
おすすめ物件
-
-

-
- 土地
- 980万円
-
泉大津市下条町
-
南海電鉄本線泉大津
-
-
-

-
- 土地
- 1,180万円
-
泉大津市千原町1丁目
-
南海電鉄本線北助松
-
-
-

-
- 土地
- 1,080万円
-
泉南郡熊取町大久保南4丁目
-
JR阪和線熊取
-
-
-

-
- 土地
- 4,880万円
-
羽曳野市河原城
-
近鉄南大阪線古市
-
-
-

-
- 土地
- 2,380万円
-
大阪市東住吉区南田辺1丁目
-
JR阪和線南田辺
-
-
-

-
- 土地
- 1,880万円
-
大阪市住吉区南住吉4丁目
-
JR阪和線我孫子町
-
-
-

-
- 土地
- 2,000万円
-
大阪市平野区加美西2丁目
-
JR関西本線加美
-
-
-

-
- 土地
- 580万円
-
泉佐野市岡本3丁目
-
南海電鉄本線羽倉崎
-
-
-

-
- 土地
- 8,580万円
-
茨木市鮎川3丁目
-
阪急電鉄京都線総持寺
-
-
-

-
- 土地
- 880万円
-
阪南市緑ヶ丘2丁目
-
JR阪和線和泉鳥取
-






担当エージェント:西条
◆お気軽にお問い合わせください♪