南巨摩郡富士川町長澤 4号地
掲載情報更新日:2025年10月29日 次回更新予定日:2025年11月12日
- 689万円
-
- 借入ご希望金額
万円 - 借入期間
年 - 借入金利
% - 月々のお支払い金額
円
- 借入ご希望金額
※ 月々のお支払例は目安の試算となりますので、実際の金額とは異なる場合がございます。詳しくは店舗までお問合わせください。
- 南巨摩郡富士川町長澤
-
JR中央本線『甲府』 バス乗車44分 長沢三丁目 停 徒歩2分 (約160m)
JR身延線『鰍沢口』 車10分(約4.5km)
南巨摩郡富士川町長澤 4号地土地 | 物件情報
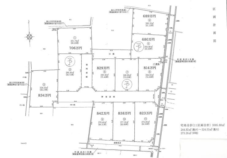
〇富士川町長澤全11区画分譲地内、④号地♪建築条件なし、お好きなハウスメーカーで建築可能です!
ハウスドゥ 甲府昭和通りでは、お客様の住まい探しのお手伝いを致します。
売主様のご都合により、ネット広告の載せられない希少な物件も多数、
自社HP、店舗内にてお客様のご条件に合った物件を全てご紹介させいただきます。
ご条件に合った物件が見つからないお客様、探し始めで物件情報が欲しいお客様、
住宅ローン、住宅購入にかかる諸費用などまた、相続の相談や問題、
リフォーム、建築のご相談など、住宅のことなら全て、親切丁寧にご対応させていただきます!
もちろん見るだけ、聞くだけ全て無料です♪
ハウスドゥ 甲府昭和通り(TEL:055-287-8666)まで、お気軽にご相談、お問い合わせください。
物件の設備
- 電気
- 上水道
- 公営水道
- 公共下水
- プロパンガス
- 個別プロパン
物件の特徴
- 緑豊かな住宅地
- 閑静な住宅街
- 周辺交通量少なめ
- 田園風景
- 陽当り良好
- 整形地
- 開発分譲地内
- 更地渡
- 建築条件無
物件詳細情報
| 価格 | 689万円 | 坪単価 | 坪8.5万円 |
|---|---|---|---|
| 物件種別 | 土地 | ||
| 所在地 | 山梨県南巨摩郡富士川町長澤 4号地/11区画 | ||
| アクセス |
|
||
| 土地面積 | 実268.18㎡(81.12坪) | 接道 | 東側(公道)幅 約4.0m |
| 私道 | セットバック | ||
| 最適用途 | 住宅用地 | 造成完了時期 | |
| 地目 | 畑 | 地勢 | 平坦 |
| 権利 | 所有権 |
||
| 分譲情報 | 【販売区画】:9区画 【価格】:680万円 ~842万円 【土地面積】:244.82㎡ ~324.53㎡ |
||
| 都市計画 | 非線引区域 |
用途地域 | 1種住居 |
| 建ぺい/容積率 | 60% / 200% | 土地国土法 | |
| 許可番号 | 建築基準法 | ||
| 法令制限 | |||
| 小学区 | 増穂小学校 徒歩16分 (約1226m) | 中学区 | 増穂中学校 徒歩10分 (約748m) |
| 現況 | 更地 | 引渡 | 相談(更地渡し) |
| 建築条件 | 建築条件なし | ||
| その他費用 | |||
| 備考 | ◆令和8年1月末日造成造成工事完了予定 ◆工事完了後実測売買、地目を宅地に変更後引渡し |
||
| 物件番号 | 4301458 | 取引態様 | 媒介 |
取扱店舗情報
ハウスドゥ 甲府昭和通り 株式会社ドミール 店舗詳細ページへ
| 電話番号 | 055-287-8666 |
|---|---|
| 所在地 | 〒409-3866 山梨県中巨摩郡昭和町西条4309番1 |
| 営業時間 | 9:00~18:30 |
| 定休日 | 年中無休(年末年始を除く) |
| 宅建免許番号 | 山梨県知事(3)第2284号 |
| アクセス | 店舗への地図はこちら |

来店ご予約
山梨県南巨摩郡富士川町で価格が似ている物件はこちら
- 山梨県
マイページ物件数 - 1,365件
最近見た物件
山梨県土地新着物件
- お近くの店舗を探す
-
















担当エージェント:水澤蓮
ハウスドゥ 甲府昭和通り、エージェントの水澤と申します。
私たちは、お客様に山梨県内の物件をご紹介でき、お客様の条件に合った物件をより多くの物件の中から選んで
頂く為に日々、山梨県内の新築建売住宅、中古建売住宅、マンション、土地などの物件情報の収集活動をしております。
又、売主様のご都合により、ネット広告などに載せられない希少な物件も多数、店舗内にて全てご紹介致します。
不動産購入時にかかる諸費用、住宅ローン、リフォーム、相続の相談など、
今までの経験を活かし様々な解決策をお客様と一緒に考え、ご提案させて頂きます。
お客様に分かりやすく、丁寧に説明し実際に抱えている不動産に関するお悩みなどを
解決させて頂くことが、私共の得意としているところです。
県内の全ての物件の中からお客様のご条件に合った物件をお探しするお手伝いをさせて頂くことを目標に
社員一同日々、活動しております。 是非、お気軽にご相談下さい。 まずは、ご連絡をお待ちしております。
ハウスドゥ 甲府昭和通り 055-287-8666 (水澤宛まで)