姫路市網干区大江島寺前町の土地
掲載情報更新日:2025年11月02日 次回更新予定日:2025年11月16日
- 7,287万円
-
- 借入ご希望金額
万円 - 借入期間
年 - 借入金利
% - 月々のお支払い金額
円
- 借入ご希望金額
※ 月々のお支払例は目安の試算となりますので、実際の金額とは異なる場合がございます。詳しくは店舗までお問合わせください。
- 姫路市網干区大江島寺前町
-
山陽電鉄網干線『山陽網干』 徒歩7分 (約560m)
山陽電鉄網干線『平松』 徒歩9分 (約650m)
JR山陽本線『網干』 徒歩42分 (約3300m)
姫路市網干区大江島寺前町土地 | 物件情報
◎商業施設が建ち並ぶ幹線道路沿いの好立地の売土地260.26坪!♪角地!!
◎上下水道・都市ガスは前面道路に有、売主負担にて買主希望箇所に引込!
◎商業施設が建ち並ぶ幹線道路沿いの好立地の売土地260.26坪!♪角地!!
物件の設備
- 電気
- 公営水道
- 公共下水
- 都市ガス
物件の特徴
- セットバック要
- セットバック済
- 前道6m以上
- 即引渡可
- 建築条件無
物件詳細情報
| 価格 | 7,287万円 | 坪単価 | 坪28.0万円 |
|---|---|---|---|
| 物件種別 | 土地 | ||
| 所在地 | 兵庫県姫路市網干区大江島寺前町 | ||
| アクセス |
|
||
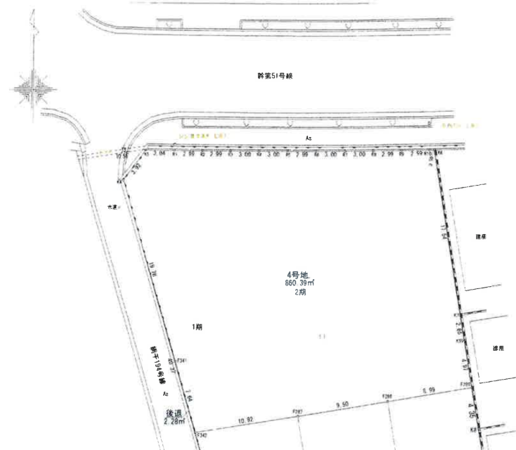
| 土地面積 | 公860.39㎡(260.26坪) | 接道 | 北側(公道)幅 約15.1m 間口 約30.40m 西側(公道)幅 約3.9m 間口 約31.30m |
| 私道 | セットバック | 要 | |
| 最適用途 | 造成完了時期 | ||
| 地目 | 宅地 | 地勢 | |
| 権利 | 所有権 |
||
| 都市計画 | 市街化区域 |
用途地域 | 1種住居 |
| 建ぺい/容積率 | 60% / 200% | 土地国土法 | |
| 許可番号 | 建築基準法 | ||
| 法令制限 | |||
| 小学区 | 網干小学校 徒歩15分 (約1200m) | 中学区 | 網干中学校 徒歩11分 (約850m) |
| 現況 | 更地 | 引渡 | 即 |
| 建築条件 | 建築条件なし | ||
| その他費用 | |||
| 備考 | ◎商業施設が建ち並ぶ幹線道路沿いの好立地!♪ ◎上下水道・都市ガスは前面道路に有、売主負担にて買主希望箇所に引込! |
||
| 物件番号 | 4354548 | 取引態様 | 媒介 |
取扱店舗情報
ハウスドゥ 加古川インター TREK株式会社 店舗詳細ページへ
| 電話番号 | 079-451-5840 |
|---|---|
| 所在地 | 〒675-0067 兵庫県加古川市加古川町河原359-7 |
| 営業時間 | 10:00~19:00 |
| 定休日 | 水曜日、年末年始 |
| 宅建免許番号 | 兵庫県知事(1)第401686号 |
| アクセス | 店舗への地図はこちら |

来店ご予約
- 兵庫県
マイページ物件数 - 2,804件
最近見た物件
-
-

-
- 土地
- 580万円
-
三養基郡上峰町大字前牟田
-
上米多公民館コミュニティーバス
-
-
-

-
- 新築一戸建て
- 5,180万円
-
日野市百草
-
京王線百草園
-
-
-

-
- 新築一戸建て
- 3,790万円
-
柏市高田
-
東武野田線豊四季
-
兵庫県土地新着物件
- お近くの店舗を探す
-
おすすめ物件
-
-

-
- 土地
- 2,280万円
-
姫路市白国2丁目
-
JR播但線野里
-
-
-

-
- 土地
- 1,480万円
-
加古川市加古川町備後
-
JR山陽本線加古川
-
-
-

-
- 土地
- 60万円
-
加古川市上荘町薬栗
-
JR加古川線厄神
-
-
-

-
- 土地
- 1,380万円
-
神戸市垂水区塩屋町2丁目
-
JR山陽本線塩屋
-
-
-

-
- 土地
- 1,300万円
-
加古川市新神野3丁目
-
JR加古川線神野
-
-
-

-
- 土地
- 6,480万円
-
姫路市網干区大江島
-
山陽電鉄網干線平松
-
-
-

-
- 土地
- 930万円
-
姫路市飾磨区阿成下垣内
-
山陽電鉄本線妻鹿
-
-
-

-
- 土地
- 498万円
-
姫路市余部区上川原
-
JR山陽本線網干
-
-
-

-
- 土地
- 498万円
-
姫路市余部区上川原
-
JR山陽本線網干
-
-
-

-
- 土地
- 298万円
-
姫路市余部区上川原
-
JR山陽本線網干
-












ハウスドゥ加古川インターの掲載物件を閲覧頂きましてありがとうございます!
加古川市内の土地、戸建て、マンションのHP掲載数トップクラス !
ハウスドゥ加古川インターでは加古川市、明石市、三木市、加西市に強いスタッフが在籍しておりますので加古川以外の地域でお考えのお客様も手厚くサポートさせて頂きます◎
【ご購入のお客様】
宅建士複数名在籍!
住宅ローンアドバイザーや、女性スタッフも在籍してますので女性のお客様でもご来店・ご相談しやすい店舗の空間となっております。
物件内覧希望につきましてはお気軽にお問い合わせ下さい。
【お住替えのお客様】
関連会社は加古川市で解体業を行っております。
古家の解体や不用品の処分も是非お任せください!
買取も強化中です!是非ご相談ください!