松戸市幸田4丁目の土地
掲載情報更新日:2025年12月25日 次回更新予定日:2026年01月08日
- 2,990万円
-
- 借入ご希望金額
万円 - 借入期間
年 - 借入金利
% - 月々のお支払い金額
円
- 借入ご希望金額
※ 月々のお支払例は目安の試算となりますので、実際の金額とは異なる場合がございます。詳しくは店舗までお問合わせください。
- 松戸市幸田4丁目
-
JR千代田・常磐緩行線『北小金』 徒歩17分 (約1360m)
つくばエクスプレス『流山セントラルパーク』 徒歩24分 (約1920m)
松戸市幸田4丁目土地 | 物件情報
◆北小金駅17分! ◆前面道路広々! ◆小中学校10分圏内! ◆建築条件なし♪期間限定売地!
◆北小金駅17分! ◆前面道路広々! ◆小中学校10分圏内! ◆建築条件なし♪期間限定売地!
物件の設備
- 電気
- 公営水道
- 公共下水
- 都市ガス
物件の特徴
- 駅まで平坦
- 小学校徒歩10分以内
- 前道6m以上
- 整備された歩道
- 閑静な住宅街
- 高台に立地
- 陽当り良好
- 平坦地
- 整形地
- 更地渡
- 建築条件無
物件詳細情報
| 価格 | 2,990万円 | 坪単価 | 坪89.9万円 |
|---|---|---|---|
| 物件種別 | 土地 | ||
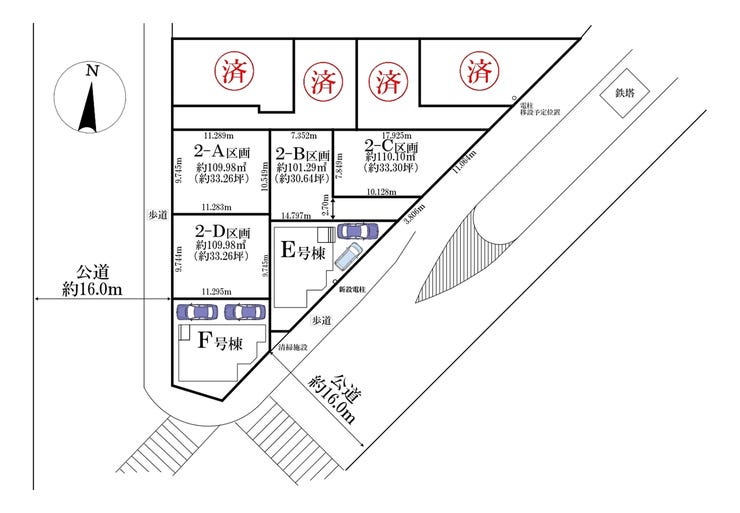
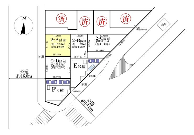
| 所在地 | 千葉県松戸市幸田4丁目 2-A区画 | ||
| アクセス |
|
||
| 土地面積 | 実109.98㎡(33.26坪) | 接道 | 西側(公道)幅 約16.0m |
| 私道 | セットバック | ||
| 最適用途 | 住宅用地 | 造成完了時期 | |
| 地目 | 宅地 | 地勢 | |
| 権利 | 所有権 |
||
| 分譲情報 | 【販売区画】:5区画 【価格】:2,390万円 ~3,890万円 【最多価格】:3,800万円 ~3,900万円(1戸) 【土地面積】:101.29㎡ ~110.10㎡ |
||
| 都市計画 | 市街化区域 |
用途地域 | 1種低層 |
| 建ぺい/容積率 | 50% / 100% | 土地国土法 | |
| 許可番号 | 建築基準法 | ||
| 法令制限 | |||
| 小学区 | 小金北小学校 徒歩8分 (約600m) | 中学区 | 小金北中学校 徒歩11分 (約820m) |
| 現況 | 更地 | 引渡 | 相談(更地渡し) |
| 建築条件 | 建築条件なし | ||
| その他費用 | |||
| 周辺環境 | 北小金駅 徒歩17分 (約1360m) 松戸市立小金北小学校 徒歩8分 (約600m) 松戸市立小金北中学校 徒歩11分 (約820m) |
||
| 備考 | ◆北小金駅17分! ◆前面道路広々! ◆小中学校10分圏内! ◆建築条件なし♪期間限定売地! | ||
| 物件番号 | 4418730 | 取引態様 | 媒介 |
取扱店舗情報
| 電話番号 | 047-710-7935 |
|---|---|
| 所在地 | 〒271-0065 千葉県松戸市南花島1丁目7-6 |
| 営業時間 | 10:00~18:00 |
| 定休日 | 水曜日 |
| 宅建免許番号 | 国土交通大臣(2)第9365号 |
| アクセス | 店舗への地図はこちら |

来店ご予約
千葉県松戸市で価格が似ている物件はこちら
- 千葉県
マイページ物件数 - 2,825件
千葉県土地新着物件
- お近くの店舗を探す
-
おすすめ物件
-
-

-
- 土地
- 1,380万円
-
流山市大字小屋
-
東武野田線初石
-
-
-

-
- 土地
- 400万円
-
香取郡神崎町四季の丘
-
JR成田線下総神崎
-
-
-

-
- 土地
- 6,980万円
-
流山市おおたかの森東4丁目
-
つくばエクスプレス流山おおたかの森
-
-
-

-
- 土地
- 2,980万円
-
柏市大青田
-
つくばエクスプレス柏たなか
-
-
-

-
- 土地
- 3,180万円
-
流山市松ケ丘6丁目
-
JR千代田・常磐緩行線南柏
-
-
-

-
- 土地
- 2,100万円
-
流山市大字東深井
-
東武野田線運河
-
-
-

-
- 土地
- 5,780万円
-
流山市西平井1丁目
-
流鉄流山線平和台
-
-
-

-
- 土地
- 2,980万円
-
流山市大字東深井
-
東武野田線運河
-
-
-

-
- 土地
- 1,220万円
-
柏市西原1丁目
-
東武野田線江戸川台
-
















担当エージェント:柿本 佳崇人
【家を買うならハウスドゥ 松戸中央!へ】
【松戸市は子育て世帯にやさしい!】
■共働き子育てしやすい街2年連続1位!
■待機児童9年連続ゼロ!
◆物件のご見学、詳細を知りたい
◆住宅ローンのご相談
など、少しでも気になると思ったら
お気軽にフリーダイヤル【0800-800-7935】までお問い合わせ下さい!