小山市大字出井の土地
NEW 10.06掲載情報更新日:2025年10月07日 次回更新予定日:2025年10月21日
- 850万円
-
- 借入ご希望金額
万円 - 借入期間
年 - 借入金利
% - 月々のお支払い金額
円
- 借入ご希望金額
※ 月々のお支払例は目安の試算となりますので、実際の金額とは異なる場合がございます。詳しくは店舗までお問合わせください。
- 小山市大字出井
-
JR東北本線『小金井』 車10分(約4.2km)
小山市大字出井土地 | 物件情報
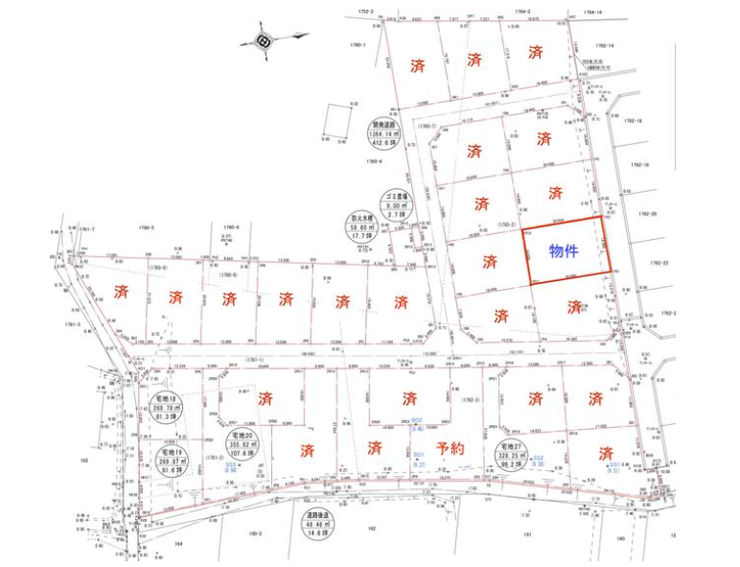
【全29区画の分譲地内】開放感のある広い区画面積
□分譲地内
□開放感のある面積
□上水道・排水桝は引込済み
物件の設備
- 電気
- 上水道
- 浄化槽
- プロパンガス
物件の特徴
- 前道6m以上
- 建築条件無
物件詳細情報
価格 | 850万円 | 坪単価 | 坪10.0万円 |
---|---|---|---|
物件種別 | 土地 | ||
所在地 | 栃木県小山市大字出井 | ||
アクセス |
|
||
土地面積 | 公279.99㎡(84.69坪) | 接道 | 北側(公道)幅 約6.0m |
私道 | セットバック | ||
最適用途 | 住宅用地 | 造成完了時期 | |
地目 | 宅地 | 地勢 | |
権利 | 所有権 |
||
都市計画 | 調整区域 |
用途地域 | 指定無 |
建ぺい/容積率 | 60% / 200% | 土地国土法 | |
許可番号 | 建築基準法 | ||
法令制限 | |||
小学区 | 羽川小学校 徒歩22分 (約1700m) | 中学区 | 桑中学校 徒歩15分 (約1200m) |
現況 | 更地 | 引渡 | 相談 |
建築条件 | 建築条件なし | ||
その他費用 | |||
周辺環境 | セブンイレブン 小山羽川北店 徒歩42分 (約3290m) クスリのアオキ小金井店 徒歩42分 (約3360m) イオンモール 小山店 徒歩43分 (約3370m) ローソン小山中久喜五丁目店 徒歩43分 (約3400m) スポーツカムイ小山店 徒歩49分 (約3880m) ピーシーデポ スマートライフ小山店 徒歩49分 (約3880m) |
||
備考 | □上水道並びに排水桝宅内引込済み □境界ブロックフェンス施工済み □排水の為の水路使用料金要(年間6,000円) |
||
物件番号 | 4438843 | 取引態様 | 媒介 |
取扱店舗情報
電話番号 | 0296-45-6730 |
---|---|
所在地 | 〒307-0052 茨城県結城市中央町2丁目6番地4 |
営業時間 | 10:00~18:00(定休日はその他都合により変更する場合がございます) |
定休日 | 水曜日、GW休暇、夏期休暇、年末年始休暇 |
宅建免許番号 | 茨城県知事(1)第7387号 |
アクセス | 店舗への地図はこちら |
来店ご予約
栃木県小山市で価格が似ている物件はこちら
- 栃木県
マイページ物件数 - 6,418件
最近見た物件
-
-
-
- 収益
- 1,780万円
-
川崎市多摩区枡形1丁目
-
小田急小田原線生田
-
-
-
-
- 新築一戸建て
- 5,790万円
-
戸田市喜沢2丁目
-
JR京浜東北・根岸線西川口
-
-
-
-
- 収益
- 3,780万円
-
横須賀市長井5丁目
-
京急久里浜線三崎口
-
栃木県土地新着物件
- お近くの店舗を探す
-
おすすめ物件
-
-
-
- 土地
- 600万円
-
佐野市石塚町
-
さーのって「石塚町南」
-
-
-
-
- 土地
- 2,100万円
-
宇都宮市西川田町
-
東武宇都宮線西川田
-
-
-
-
- 土地
- 1億1,700万円
-
宇都宮市下栗1丁目
-
湘南新宿ライン宇須宇都宮
-
-
-
-
- 土地
- 1,250万円
-
河内郡上三川町大字上三川
-
湘南新宿ライン宇須石橋
-
-
-
-
- 土地
- 1,180万円
-
宇都宮市宝木町2丁目
-
関東バス「山崎街道入口」
-
-
-
-
- 土地
- 3,500万円
-
宇都宮市東簗瀬1丁目
-
JR東北本線宇都宮
-
-
-
-
- 土地
- 1,500万円
-
小山市大字神鳥谷
-
JR東北本線小山
-
-
-
-
- 土地
- 650万円
-
宇都宮市大和3丁目
-
関東バス市営球場入口
-
-
-
-
- 土地
- 1,200万円
-
宇都宮市新富町
-
湘南新宿ライン宇須雀宮
-
-
-
-
- 土地
- 430万円
-
宇都宮市中里町
-
関東バス中里原南
-
担当エージェント:関 卓之
◎様々な情報提供が可能
土地、中古、新築問わず、お客様のご希望やライフスタイルに合わせた情報を提供することができます。無理な営業はいたしません。ハウスドゥ結城へお気軽にご来店ください。
◎キッズコーナー完備♪
お打合せをしているご家族様の目の届く所にキッズコーナーがあるので、安心してお打合せ頂くことができます。おもちゃ、ぬりえ、お菓子等を準備してお待ちしています☆
◎12台分の駐車場完備
12台の車を停めることのできる広い駐車場を完備しております。
二世帯のご相談など複数台での来店にも対応可能です☆皆様でご来店ください。
◎感染症対策を行っております
入口にアルコール消毒の設置や、お客様ごとのテーブルの消毒を行っております。