相模原市中央区田名の土地
掲載情報更新日:2026年04月10日 次回更新予定日:2026年04月24日
- 1,289万円
-
- 借入ご希望金額
万円 - 借入期間
年 - 借入金利
% - 月々のお支払い金額
円
- 借入ご希望金額
※ 月々のお支払例は目安の試算となりますので、実際の金額とは異なる場合がございます。詳しくは店舗までお問合わせください。
- 相模原市中央区田名
-
JR横浜線『相模原』 バス乗車22分 四ツ谷 停 徒歩6分 (約480m)
JR相模線『原当麻』 バス乗車23分 田名小学校前 停 徒歩6分 (約480m)
JR相模線『番田』 徒歩37分 (約2960m)
相模原市中央区田名土地 | 物件情報
【建築条件なし】田名小・中学校まで徒歩6分圏内!更地渡しで夢のマイホーム!
神奈川県相模原市中央区田名に位置する、広さ約36.88坪の売土地です。現況は更地となっており、引渡しもスムーズにご相談いただけます。
本物件の最大の特徴は、教育施設と生活利便施設が至近に揃う立地です。田名小学校まで徒歩約6分、田名中学校まで徒歩約4分と、お子様の通学も安心の距離です。また、ヨークフーズ(徒歩約7~8分)やローソン(徒歩約4分)など、日々のお買い物にも困りません。
「建築条件なし」のため、こだわりの注文住宅を建てたい方に最適です。都市計画は市街化区域内にあり、建ぺい率60%・容積率150%と、ゆとりある設計が可能です。
物件の設備
- 電気
- 上水道
- 下水道
物件の特徴
- 小学校徒歩10分以内
- 建築条件無
物件詳細情報
| 価格 | 1,289万円 | 坪単価 | 坪35.0万円 |
|---|---|---|---|
| 物件種別 | 土地 | ||
| 所在地 | 神奈川県相模原市中央区田名 | ||
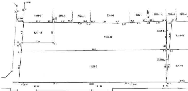
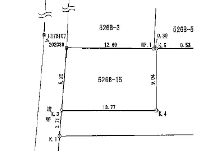
| アクセス |
|
||
| 土地面積 | 実121.92㎡(36.88坪) | 接道 | 南西側(公道)幅 約3.5m |
| 私道 | セットバック | ||
| 最適用途 | 造成完了時期 | ||
| 地目 | 畑 | 地勢 | |
| 権利 | 所有権 |
||
| 都市計画 | 市街化区域 |
用途地域 | 1種中高 |
| 建ぺい/容積率 | 60% / 150% | 土地国土法 | |
| 許可番号 | 建築基準法 | ||
| 法令制限 | 景観法・準防火地域・日影規制・道路斜線制限・隣地斜線制限 | ||
| 小学区 | 田名小学校 徒歩6分 (約476m) | 中学区 | 田名中学校 徒歩4分 (約299m) |
| 現況 | 更地 | 引渡 | 相談 |
| 建築条件 | 建築条件なし | ||
| その他費用 | |||
| 周辺環境 | 田名小学校 徒歩3分 (約240m) 田名中学校 徒歩1分 (約80m) 田名保育園 徒歩10分 (約740m) 上田名幼稚園 徒歩2分 (約90m) ヨークフーズ田名店 徒歩8分 (約580m) ローソン相模原田名店 徒歩4分 (約290m) ウエルシア相模原田名店 徒歩9分 (約690m) 羽田内科クリニック 徒歩5分 (約360m) |
||
| 備考 | ■相模原市立田名保育園・・・約679m(徒歩9分) ■うえだな幼稚園・・・約119m(徒歩2分) ■ヨークフーズ 田名店・・・約491m(徒歩7分) ■ローソン 相模原田名店・・・約282m(徒歩4分) ■ウエルシア 相模原田名店・・・約642m(徒歩9分) ■羽田内科クリニック・・・約360m(徒歩5分) ■三角山公園・・・約272m(徒歩4分) |
||
| 物件番号 | 4462218 | 取引態様 | 媒介 |
取扱店舗情報
ハウスドゥ 相模原横山台 夢のなかまたち株式会社 店舗詳細ページへ
| 電話番号 | 042-851-3970 |
|---|---|
| 所在地 | 〒252-0241 神奈川県相模原市中央区横山台2丁目13番1号1F |
| 営業時間 | 9:00~18:00 |
| 定休日 | 火曜日、水曜日 |
| 宅建免許番号 | 神奈川県知事(2)第30659号 |
| アクセス | 店舗への地図はこちら |

来店ご予約
神奈川県相模原市中央区で価格が似ている物件はこちら
- 神奈川県
マイページ物件数 - 2,979件
神奈川県土地新着物件
- お近くの店舗を探す
-
おすすめ物件
-
-

-
- 土地
- 2,080万円
-
平塚市田村4丁目
-
JR相模線宮山
-
-
-

-
- 土地
- 2,480万円
-
平塚市東真土3丁目
-
JR東海道本線平塚
-
-
-

-
- 土地
- 1,390万円
-
伊勢原市東大竹
-
小田急小田原線伊勢原
-
-
-

-
- 土地
- 2,180万円
-
伊勢原市沼目2丁目
-
小田急小田原線伊勢原
-
-
-

-
- 土地
- 1,590万円
-
伊勢原市東大竹
-
小田急小田原線伊勢原
-
-
-

-
- 土地
- 1,980万円
-
伊勢原市沼目2丁目
-
小田急小田原線伊勢原
-
-
-

-
- 土地
- 900万円
-
平塚市大神4丁目
-
JR東海道本線平塚
-
-
-

-
- 土地
- 3,080万円
-
藤沢市大鋸3丁目
-
JR東海道本線藤沢
-
-
-

-
- 土地
- 690万円
-
中郡二宮町富士見が丘1丁目
-
JR東海道本線二宮
-
-
-

-
- 土地
- 6,380万円
-
横浜市中区本牧町1丁目
-
JR京浜東北・根岸線山手
-


















相模原市中央区田名の閑静な住宅街。建築条件はございませんので、お好みのハウスメーカーで建築可能です。小・中学校やスーパーが徒歩10分圏内に揃う、子育て世帯に嬉しい住環境が魅力の整形地です。