岡山市北区津高の土地
掲載情報更新日:2026年03月02日 次回更新予定日:2026年03月16日
- 750万円
-
- 借入ご希望金額
万円 - 借入期間
年 - 借入金利
% - 月々のお支払い金額
円
- 借入ご希望金額
※ 月々のお支払例は目安の試算となりますので、実際の金額とは異なる場合がございます。詳しくは店舗までお問合わせください。
- 岡山市北区津高
-
JR山陽本線『岡山』 バス乗車25分 半田山津高台線 半田山ハイツ東区 停 徒歩2分 (約160m)
岡山市北区津高土地 | 物件情報
建築条件なしの半田山ハイツの土地です!
●坪単価13.6万円
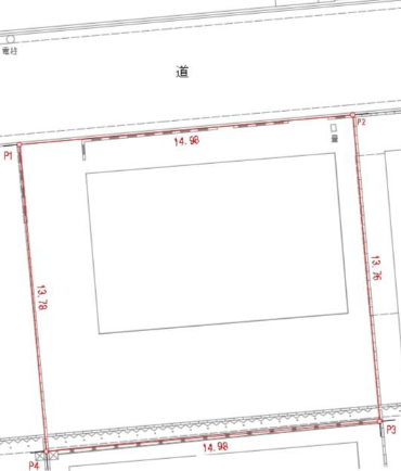
●地積206.24㎡(62.38坪)
●間口約14.9m
●建築条件なし
●半田山ハイツ
物件の設備
- 上水道
- 公営水道
- 下水道
- 公共下水
- 都市ガス
物件の特徴
- 建築条件無
物件詳細情報
| 価格 | 750万円 | 坪単価 | 坪12.0万円 |
|---|---|---|---|
| 物件種別 | 土地 | ||
| 所在地 | 岡山県岡山市北区津高 | ||
| アクセス |
|
||
| 土地面積 | 公206.24㎡(62.38坪) | 接道 | 北側(公道)幅 約4.0m 間口 約14.90m |
| 私道 | セットバック | ||
| 最適用途 | 住宅用地 | 造成完了時期 | |
| 地目 | 宅地 | 地勢 | |
| 権利 | 所有権 |
||
| 都市計画 | 市街化区域 |
用途地域 | 1種低層 |
| 建ぺい/容積率 | 50% / 100% | 土地国土法 | |
| 許可番号 | 建築基準法 | ||
| 法令制限 | |||
| 小学区 | 横井小学校 徒歩15分 (約1150m) | 中学区 | 香和中学校 徒歩38分 (約3000m) |
| 現況 | 更地 | 引渡 | 相談 |
| 建築条件 | 建築条件なし | ||
| その他費用 | |||
| 周辺環境 | 岡山駅 徒歩68分 (約5420m) 岡山市立横井小学校 徒歩20分 (約1540m) 岡山市立香和中学校 徒歩52分 (約4130m) 横井幼稚園 徒歩19分 (約1450m) 横井郵便局 徒歩15分 (約1160m) エブリイOkanaka津高 徒歩17分 (約1360m) ザグザグ 津高店 徒歩18分 (約1440m) 森脇内科医院 徒歩20分 (約1550m) ハローズ 津高店 徒歩17分 (約1290m) 国際児童年記念公園こどもの森 徒歩52分 (約4110m) |
||
| 備考 | ●建築条件なし | ||
| 物件番号 | 4485041 | 取引態様 | 媒介 |
取扱店舗情報
ハウスドゥ 岡山駅西口 株式会社アールイープロジェクト 店舗詳細ページへ
| 電話番号 | 086-239-8621 |
|---|---|
| 所在地 | 〒700-0025 岡山県岡山市北区寿町1-3 ウエストサイドオカヤマ1階 |
| 営業時間 | 9:00~18:00 |
| 定休日 | 水曜日 |
| 宅建免許番号 | 岡山県知事(2)第5855号 |
| アクセス | 店舗への地図はこちら |

来店ご予約
岡山県岡山市北区で価格が似ている物件はこちら
- 岡山県
マイページ物件数 - 4,434件
最近見た物件
-
-

-
- 土地
- 435.60万円
-
西条市飯岡
-
JR予讃線中萩
-
岡山県土地新着物件
-
-

-
- 土地
- 430万円
-
岡山市中区桜橋2丁目
-
岡山電軌東山本線門田屋敷駅
-
-
-

-
- 土地
- 965.80万円
-
総社市中原
-
JR伯備線総社駅
-
-
-

-
- 土地
- 890万円
-
総社市中原
-
JR伯備線総社駅
-
-
-

-
- 土地
- 999.10万円
-
総社市中原
-
JR伯備線総社駅
-
-
-

-
- 土地
- 992.80万円
-
総社市中原
-
JR伯備線総社駅
-
-
-

-
- 土地
- 1,021万円
-
総社市中原
-
JR伯備線総社駅
-
-
-

-
- 土地
- 1,374.99万円
-
倉敷市連島中央2丁目
-
水島臨海鉄道弥生駅
-
- お近くの店舗を探す
-










