柏市柏の土地
掲載情報更新日:2026年01月27日 次回更新予定日:2026年02月10日
- 2,490万円
-
- 借入ご希望金額
万円 - 借入期間
年 - 借入金利
% - 月々のお支払い金額
円
- 借入ご希望金額
※ 月々のお支払例は目安の試算となりますので、実際の金額とは異なる場合がございます。詳しくは店舗までお問合わせください。
- 柏市柏
-
JR常磐線『柏』 徒歩16分 (約1280m)
JR千代田・常磐緩行線『柏』 徒歩16分 (約1280m)
JR千代田・常磐緩行線『北柏』 徒歩14分 (約1120m)
柏市柏土地 | 物件情報
◆柏駅16分!北柏駅14分! ◆建築条件なし♪ ◆慈恵医大病院近く! ◆閑静な住宅街です◎
◆柏駅16分!北柏駅14分! ◆建築条件なし♪ ◆慈恵医大病院近く! ◆閑静な住宅街です◎
物件の設備
- 電気
- 公営水道
- 公共下水
- 都市ガス
物件の特徴
- 始発駅
- 2沿線利用可
- 駅まで平坦
- 平坦地
- 建築条件無
物件詳細情報
| 価格 | 2,490万円 | 坪単価 | 坪75.8万円 |
|---|---|---|---|
| 物件種別 | 土地 | ||
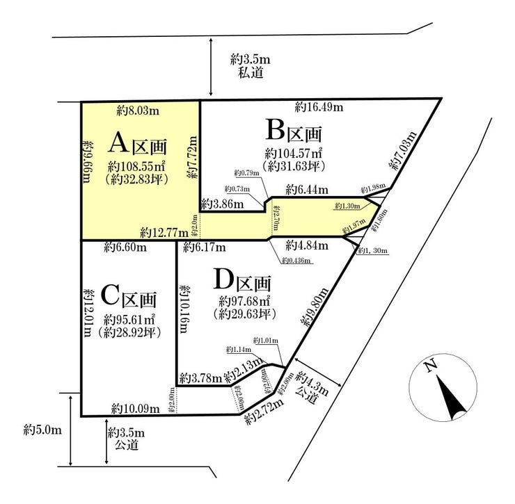
| 所在地 | 千葉県柏市柏 A区画 | ||
| アクセス |
|
||
| 土地面積 | 実108.55㎡(32.83坪) | 接道 | 北東側(私道)幅 約3.5m |
| 私道 | セットバック | ||
| 最適用途 | 住宅用地 | 造成完了時期 | |
| 地目 | 宅地 | 地勢 | |
| 権利 | 所有権 |
||
| 分譲情報 | 【販売区画】:3区画 【価格】:2,490万円 ~2,690万円 【最多価格】:2,400万円 ~2,500万円(1戸) 【土地面積】:95.61㎡ ~108.55㎡ |
||
| 都市計画 | 市街化区域 |
用途地域 | 1種低層 |
| 建ぺい/容積率 | 50% / 100% | 土地国土法 | |
| 許可番号 | 建築基準法 | ||
| 法令制限 | 高さ最高限度有・法22条区域・最高高さ:10m | ||
| 小学区 | 柏第一小学校 徒歩13分 (約1020m) | 中学区 | 柏中学校 徒歩26分 (約2080m) |
| 現況 | 更地 | 引渡 | 相談 |
| 建築条件 | 建築条件なし | ||
| その他費用 | |||
| 周辺環境 | 北柏駅 徒歩14分 (約1120m) 柏駅 徒歩16分 (約1280m) 柏市立柏第一小学校 徒歩13分 (約1020m) 柏市立柏中学校 徒歩26分 (約2080m) |
||
| 備考 | ◆柏駅16分!北柏駅14分! ◆建築条件なし♪ ◆慈恵医大病院近く! ◆閑静な住宅街です◎ | ||
| 物件番号 | 4521840 | 取引態様 | 媒介 |
取扱店舗情報
| 電話番号 | 047-710-7935 |
|---|---|
| 所在地 | 〒271-0065 千葉県松戸市南花島1丁目7-6 |
| 営業時間 | 10:00~18:00 |
| 定休日 | 水曜日 |
| 宅建免許番号 | 国土交通大臣(2)第9365号 |
| アクセス | 店舗への地図はこちら |























担当エージェント:柿本 佳崇人
【家を買うならハウスドゥ 松戸中央!へ】
【柏市は都心へのアクセス良好!】
■JR常磐線・東武野田線の2路線が使いやすい!
■柏駅は駅直結の柏高島屋があり、他商業施設も多数!
◆物件のご見学、詳細を知りたい
◆住宅ローンのご相談
など、少しでも気になると思ったら
お気軽にフリーダイヤル【0800-800-7935】までお問い合わせ下さい!