妻田南1丁目
掲載情報更新日:2026年05月01日 次回更新予定日:2026年05月15日
- 2,450万円
-
- 借入ご希望金額
万円 - 借入期間
年 - 借入金利
% - 月々のお支払い金額
円
- 借入ご希望金額
※ 月々のお支払例は目安の試算となりますので、実際の金額とは異なる場合がございます。詳しくは店舗までお問合わせください。
- 厚木市妻田南1丁目
-
小田急小田原線『本厚木』 バス乗車10分 木売場 停 徒歩6分 (約480m)
妻田南1丁目土地 | 物件情報
★開放的な角地!妻田小学校まで徒歩約3分で安心です♪お問合せお待ちしております★
建築条件付きですがフリープランご希望に添います!周辺環境だけでもご覧になってみませんか?住宅ローンや減税対策など、気になる事は当社へお任せ下さい!
物件の設備
- 上水道
- 下水道
物件詳細情報
| 価格 | 2,450万円 | 坪単価 | 坪67.5万円 |
|---|---|---|---|
| 物件種別 | 土地 | ||
| 所在地 | 神奈川県厚木市妻田南1丁目 | ||
| アクセス |
|
||
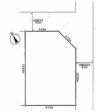
| 土地面積 | 公119.95㎡(36.28坪) | 接道 | 北側(公道)幅 約4.5m 東側(公道)幅 約4.0m |
| 私道 | セットバック | ||
| 最適用途 | 住宅用地 | 造成完了時期 | |
| 地目 | 宅地 | 地勢 | |
| 権利 | 所有権 |
||
| 都市計画 | 市街化区域 |
用途地域 | 1種住居 |
| 建ぺい/容積率 | 70% / 200% | 土地国土法 | |
| 許可番号 | 建築基準法 | ||
| 法令制限 | 準防火地域・日影制限有・道路斜線1.25%・北側斜線無し | ||
| 小学区 | 妻田小学校 徒歩2分 (約150m) | 中学区 | 睦合東中学校 徒歩28分 (約2200m) |
| 現況 | 古家付 | 引渡 | 相談 |
| 建築条件 | 建築条件付 | ||
| その他費用 | |||
| 周辺環境 | 厚木市立妻田小学校 徒歩3分 (約200m) 厚木市立睦合東中学校 徒歩42分 (約3300m) ローソン厚木妻田南一丁目店 徒歩3分 (約200m) クリエイト薬局厚木東妻田店 徒歩5分 (約390m) やながわ歯科 徒歩10分 (約790m) 厚木市立病院 徒歩8分 (約640m) 妻田東公園 徒歩8分 (約610m) 厚木のぞみ幼稚園 徒歩8分 (約620m) MEGAドン・キホーテ厚木店 徒歩9分 (約710m) えいすう幼稚園 徒歩12分 (約920m) |
||
| 備考 | 建築条件付売地 現況古家有(解体予定)更地渡し |
||
| 物件番号 | 4540077 | 取引態様 | 媒介 |
取扱店舗情報
| 電話番号 | 0462-44-4441 |
|---|---|
| 所在地 | 〒243-0016 神奈川県厚木市田村町8-8柳田ビル1階 |
| 営業時間 | 9:00~18:00 |
| 定休日 | 水曜日、年末年始 |
| 宅建免許番号 | 神奈川県知事(1)第33037号 |
| アクセス | 店舗への地図はこちら |

来店ご予約
神奈川県厚木市で価格が似ている物件はこちら
- 神奈川県
マイページ物件数 - 3,288件
最近見た物件
-
-

-
- 新築一戸建て
- 2,790万円
-
熊本市南区野田2丁目
-
JR鹿児島本線川尻
-
-
-

-
- 土地
- 1,130万円
-
鹿児島市坂元町
-
JR日豊本線鹿児島
-
-
-

-
- 土地
- 1,590万円
-
松阪市若葉町
-
近鉄山田鳥羽志摩線松阪
-
神奈川県土地新着物件
-
-

-
- 土地
- 499万円
-
相模原市緑区根小屋
-
JR横浜線橋本駅
-
-
-

-
- 土地
- 1,400万円
-
相模原市南区御園5丁目
-
小田急小田原線相模大野駅
-
-
-

-
- 土地
- 2,770万円
-
厚木市鳶尾5丁目
-
小田急小田原線本厚木駅
-
-
-

-
- 土地
- 2,350万円
-
厚木市鳶尾2丁目
-
小田急小田原線本厚木駅
-
-
-

-
- 土地
- 1,700万円
-
横須賀市平作5丁目
-
JR横須賀線衣笠駅
-
-
-

-
- 土地
- 4,180万円
-
相模原市南区東林間2丁目
-
小田急江ノ島線東林間駅
-
-
-

-
- 土地
- 2,680万円
-
厚木市温水
-
小田急小田原線本厚木駅
-
- お近くの店舗を探す
-
おすすめ物件
-
-

-
- 土地
- 2,180万円
-
伊勢原市沼目2丁目
-
小田急小田原線伊勢原
-
-
-

-
- 土地
- 1,380万円
-
平塚市西真土3丁目
-
JR東海道本線平塚
-
-
-

-
- 土地
- 980万円
-
平塚市片岡
-
小田急小田原線東海大学前
-
-
-

-
- 土地
- 1,690万円
-
伊勢原市東大竹
-
小田急小田原線伊勢原
-
-
-

-
- 土地
- 2,480万円
-
平塚市東真土3丁目
-
JR東海道本線平塚
-
-
-

-
- 土地
- 1,880万円
-
平塚市田村4丁目
-
JR相模線宮山
-
-
-

-
- 土地
- 1,590万円
-
伊勢原市東大竹
-
小田急小田原線伊勢原
-
-
-

-
- 土地
- 690万円
-
中郡二宮町富士見が丘1丁目
-
JR東海道本線二宮
-
-
-

-
- 土地
- 1,390万円
-
伊勢原市東大竹
-
小田急小田原線伊勢原
-
-
-

-
- 土地
- 900万円
-
平塚市大神4丁目
-
JR東海道本線平塚
-



