相模原市中央区横山台1丁目の土地
掲載情報更新日:2026年04月30日 次回更新予定日:2026年05月14日
- 1,700万円
-
- 借入ご希望金額
万円 - 借入期間
年 - 借入金利
% - 月々のお支払い金額
円
- 借入ご希望金額
※ 月々のお支払例は目安の試算となりますので、実際の金額とは異なる場合がございます。詳しくは店舗までお問合わせください。
- 相模原市中央区横山台1丁目
-
JR相模線『南橋本』 徒歩18分 (約1378m)
JR横浜線『相模原』 バス乗車8分 日金沢上 停 徒歩12分 (約960m)
JR相模線『上溝』 バス乗車10分 作の口 停 徒歩7分 (約560m)
相模原市中央区横山台1丁目土地 | 物件情報
物件の設備
- 下水道
- 公共下水
- プロパンガス
物件の特徴
- 2沿線利用可
- 小学校徒歩10分以内
- 前道6m以上
- スーパーが近い
- 角地
- 更地渡
- 建築条件無
物件詳細情報
| 価格 | 1,700万円 | 坪単価 | 坪79.1万円 |
|---|---|---|---|
| 物件種別 | 土地 | ||
| 所在地 | 神奈川県相模原市中央区横山台1丁目 | ||
| アクセス |
|
||
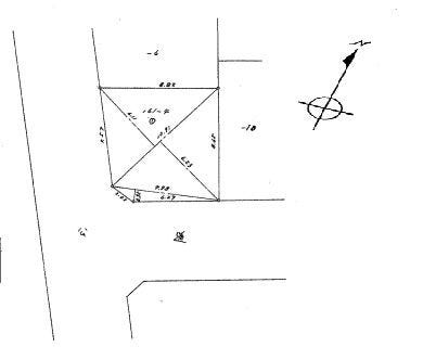
| 土地面積 | 公71.1㎡(21.50坪) | 接道 | 北西側(公道)幅 約6.0m |
| 私道 | セットバック | ||
| 最適用途 | 造成完了時期 | ||
| 地目 | 宅地 | 地勢 | |
| 権利 | 所有権 |
||
| 都市計画 | 市街化区域 |
用途地域 | 準工業 |
| 建ぺい/容積率 | 60% / 200% | 土地国土法 | |
| 許可番号 | 建築基準法 | ||
| 法令制限 | 宅地造成工事規制区域・道路斜線規制・隣地斜線規制 | ||
| 小学区 | 横山小学校 徒歩5分 (約389m) | 中学区 | 清新中学校 徒歩15分 (約1200m) |
| 現況 | 古家付 | 引渡 | 相談(更地渡し) |
| 建築条件 | 建築条件なし | ||
| その他費用 | |||
| 周辺環境 | 横山小学校 徒歩5分 (約400m) 清新中学校 徒歩16分 (約1220m) 小町通みたけ保育園 徒歩10分 (約800m) てるて幼稚園 徒歩8分 (約600m) オーケー下九沢店 徒歩7分 (約510m) ファミリーマート作の口小学校前店 徒歩4分 (約320m) セイムス作の口店 徒歩9分 (約670m) 相模原真心クリニック 徒歩5分 (約340m) 横山台2丁目公園 徒歩7分 (約530m) |
||
| 備考 | ■小町通みたけこども園・・・約791m(徒歩10分) ■てるて幼稚園・・・約637m(徒歩8分) ■オーケー下九沢店・・・約501m(徒歩7分) ■ファミリーマート 作の口小学校前店・・・約308m(徒歩4分) ■ドラッグセイムス 作の口店・・・約613m(徒歩8分) ■相模原真心クリニック・・・約431m(徒歩6分) ■横山台2丁目公園・・・約529m(徒歩7分) |
||
| 物件番号 | 4562866 | 取引態様 | 専任媒介 |
取扱店舗情報
ハウスドゥ 相模原横山台 夢のなかまたち株式会社 店舗詳細ページへ
| 電話番号 | 042-851-3970 |
|---|---|
| 所在地 | 〒252-0241 神奈川県相模原市中央区横山台2丁目13番1号1F |
| 営業時間 | 9:00~18:00 |
| 定休日 | 火曜日、水曜日 |
| 宅建免許番号 | 神奈川県知事(2)第30659号 |
| アクセス | 店舗への地図はこちら |

来店ご予約
神奈川県相模原市中央区で価格が似ている物件はこちら
- 神奈川県
マイページ物件数 - 3,299件
最近見た物件
-
-

-
- 土地
- 350万円
-
北見市東相内町
-
JR石北本線東相内
-
-
-

-
- 土地
- 4,490万円
-
姫路市花田町小川
-
JR山陽本線姫路
-
-
-

-
- 土地
- 1,350万円
-
多治見市根本町1丁目
-
JR太多線根本
-
神奈川県土地新着物件
- お近くの店舗を探す
-
おすすめ物件
-
-

-
- 土地
- 2,180万円
-
伊勢原市沼目2丁目
-
小田急小田原線伊勢原
-
-
-

-
- 土地
- 1,690万円
-
伊勢原市東大竹
-
小田急小田原線伊勢原
-
-
-

-
- 土地
- 980万円
-
平塚市片岡
-
小田急小田原線東海大学前
-
-
-

-
- 土地
- 2,480万円
-
平塚市東真土3丁目
-
JR東海道本線平塚
-
-
-

-
- 土地
- 1,390万円
-
伊勢原市東大竹
-
小田急小田原線伊勢原
-
-
-

-
- 土地
- 690万円
-
中郡二宮町富士見が丘1丁目
-
JR東海道本線二宮
-
-
-

-
- 土地
- 1,880万円
-
平塚市田村4丁目
-
JR相模線宮山
-
-
-

-
- 土地
- 1,590万円
-
伊勢原市東大竹
-
小田急小田原線伊勢原
-
-
-

-
- 土地
- 1,980万円
-
伊勢原市沼目2丁目
-
小田急小田原線伊勢原
-
-
-

-
- 土地
- 3,080万円
-
藤沢市大鋸3丁目
-
JR東海道本線藤沢
-











