売土地 三養基郡みやき町簑原 14号地 KM
NEW 02.06掲載情報更新日:2026年02月06日 次回更新予定日:2026年02月20日
- 987万円
-
- 借入ご希望金額
万円 - 借入期間
年 - 借入金利
% - 月々のお支払い金額
円
- 借入ご希望金額
※ 月々のお支払例は目安の試算となりますので、実際の金額とは異なる場合がございます。詳しくは店舗までお問合わせください。
- 三養基郡みやき町大字簑原
-
JR長崎本線『中原』 徒歩900分 (約72000m)
売土地 三養基郡みやき町簑原 14号地 KM土地 | 物件情報
物件の設備
- 上水道
- 浄化槽
- 個別浄化槽
- 側溝
物件の特徴
- 前道6m以上
- 建築条件無
物件詳細情報
| 価格 | 987万円 | 坪単価 | 坪13.7万円 |
|---|---|---|---|
| 物件種別 | 土地 | ||
| 所在地 | 佐賀県三養基郡みやき町大字簑原 | ||
| アクセス |
|
||
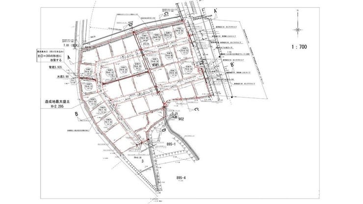
| 土地面積 | 238.19㎡(72.05坪) | 接道 | |
| 私道 | セットバック | ||
| 最適用途 | 造成完了時期 | ||
| 地目 | 宅地 | 地勢 | |
| 権利 | 所有権 |
||
| 分譲情報 | 【販売区画】:34区画 |
||
| 都市計画 | 非線引区域 |
用途地域 | 指定無 |
| 建ぺい/容積率 | 60% / 200% | 土地国土法 | |
| 許可番号 | 建築基準法 | ||
| 法令制限 | |||
| 小学区 | 中原小学校 徒歩14分 (約1100m) | 中学区 | 中原中学校 徒歩10分 (約750m) |
| 現況 | 更地 | 引渡 | 相談 |
| 建築条件 | 建築条件なし | ||
| その他費用 | |||
| 周辺環境 | アスタラビスタ みやき店 徒歩3分 (約240m) 佐賀県立三養基高校 徒歩5分 (約390m) 風の子保育園 徒歩7分 (約540m) 中原庁舎 徒歩11分 (約880m) みやき町立図書館 徒歩12分 (約910m) 中原中学校 徒歩12分 (約950m) JR長崎本線 中原 徒歩12分 (約950m) 坂本ストアー 徒歩14分 (約1050m) 中原幼稚園 徒歩14分 (約1100m) 中原小学校 徒歩16分 (約1240m) |
||
| 備考 | 農地転用許可済・開発許可済 上水道(別途加入金8万8千円) 個別合併浄化槽(補助制度あり) 側溝 ※組合費等が別途必要 ※敷地内道路とゴミ市はみやき町へ移管予定 |
||
| 物件番号 | 4587800 | 取引態様 | 媒介 |
取扱店舗情報
| 電話番号 | 0942-50-5735 |
|---|---|
| 所在地 | 〒841-0051 佐賀県鳥栖市元町1246番地3 |
| 営業時間 | 10:00~18:00 |
| 定休日 | 水曜日 |
| 宅建免許番号 | 佐賀県知事(2)第2561号 |
| アクセス | 店舗への地図はこちら |

来店ご予約
佐賀県三養基郡みやき町で価格が似ている物件はこちら
- 佐賀県
マイページ物件数 - 1,490件
最近見た物件
-
-

-
- 新築一戸建て
- 3,788万円
-
熊本市西区城山半田1丁目
-
JR鹿児島本線西熊本
-
-
-

-
- 中古一戸建て
- 280万円
-
和歌山市古屋
-
南海電気鉄道加太線八幡前
-
-
-

-
- 中古一戸建て
- 2,250万円
-
下関市東観音町
-
JR山陽本線小月
-
佐賀県土地新着物件
-
-

-
- 土地
- 772.52万円
-
三養基郡みやき町大字簑原
-
JR長崎本線中原駅
-
-
-

-
- 土地
- 987万円
-
三養基郡みやき町大字簑原
-
JR長崎本線中原駅
-
-
-

-
- 土地
- 897万円
-
神埼郡吉野ヶ里町田手
-
JR長崎本線吉野ヶ里公園駅
-
-
-

-
- 土地
- 2,625万円
-
三養基郡基山町大字宮浦
-
JR鹿児島本線基山駅
-
-
-

-
- 土地
- 900万円
-
佐賀市多布施1丁目
-
バス停「護国神社前」
-
-
-

-
- 土地
- 783万円
-
神埼郡吉野ヶ里町田手
-
JR長崎本線吉野ヶ里公園駅
-
-
-

-
- 土地
- 1,180万円
-
佐賀市木原2丁目
-
バス停「中原眼科前」
-
- お近くの店舗を探す
-
おすすめ物件
-
-

-
- 土地
- 890万円
-
佐賀市嘉瀬町大字荻野
-
バス停「嘉瀬元町」
-
-
-

-
- 土地
- 848.49万円
-
神埼市神埼町的
-
JR長崎本線神埼
-
-
-

-
- 土地
- 845.19万円
-
神埼郡吉野ヶ里町吉田
-
JR長崎本線吉野ヶ里公園
-
-
-

-
- 土地
- 869.32万円
-
神埼市神埼町的
-
JR長崎本線神埼
-
-
-

-
- 土地
- 811.67万円
-
三養基郡上峰町大字坊所
-
JR長崎本線中原
-
-
-

-
- 土地
- 1,580万円
-
鳥栖市桜町
-
JR鹿児島本線田代
-
-
-

-
- 土地
- 761.30万円
-
三養基郡上峰町大字坊所
-
JR長崎本線中原
-
-
-

-
- 土地
- 864.21万円
-
三養基郡上峰町大字坊所
-
JR長崎本線吉野ヶ里公園
-
-
-

-
- 土地
- 1,000万円
-
神埼郡吉野ヶ里町箱川
-
JR長崎本線吉野ヶ里公園
-
-
-

-
- 土地
- 1,146万円
-
鳥栖市原古賀町
-
JR九州新幹線新鳥栖
-





