川崎市幸区小倉4丁目の土地
NEW 03.02掲載情報更新日:2026年03月02日 次回更新予定日:2026年03月16日
- 3,680万円
-
- 借入ご希望金額
万円 - 借入期間
年 - 借入金利
% - 月々のお支払い金額
円
- 借入ご希望金額
※ 月々のお支払例は目安の試算となりますので、実際の金額とは異なる場合がございます。詳しくは店舗までお問合わせください。
- 川崎市幸区小倉4丁目
-
JR南武線『矢向』 徒歩13分 (約1040m)
湘南新宿ライン宇須『新川崎』 徒歩23分 (約1840m)
JR南武線『鹿島田』 徒歩24分 (約1920m)
川崎市幸区小倉4丁目土地 | 物件情報
物件の設備
- 電気
- 公営水道
- 公共下水
- 都市ガス
物件の特徴
- 陽当り良好
- 整形地
- 建築条件無
物件詳細情報
| 価格 | 3,680万円 | 坪単価 | 坪186.0万円 |
|---|---|---|---|
| 物件種別 | 土地 | ||
| 所在地 | 神奈川県川崎市幸区小倉4丁目 B区画/2区画 | ||
| アクセス |
|
||
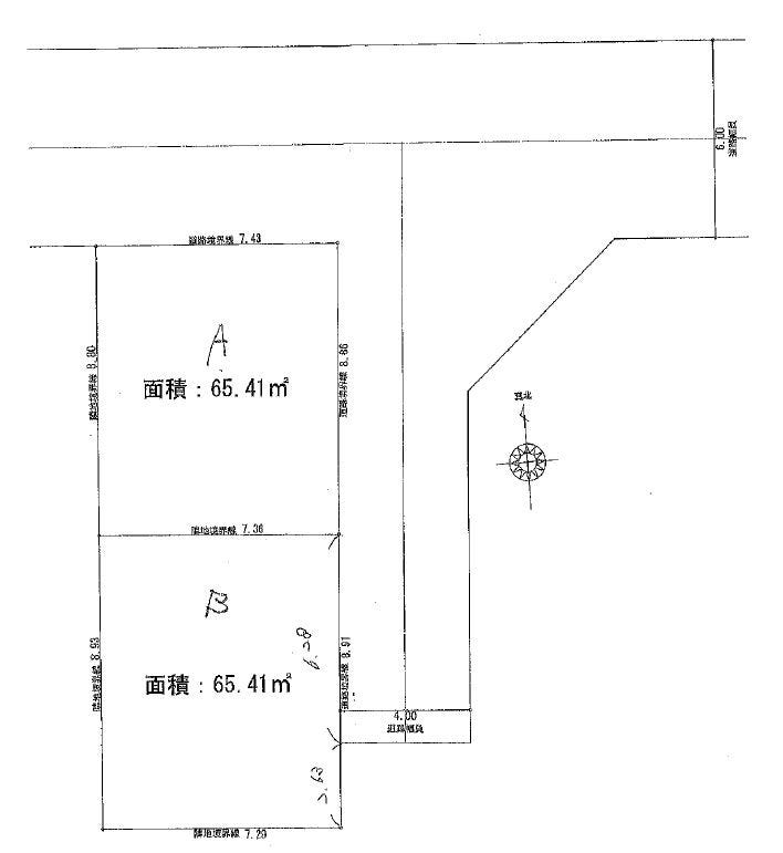
| 土地面積 | 65.41㎡(19.78坪) | 接道 | 東側(公道)幅 約4.0m |
| 私道 | セットバック | ||
| 最適用途 | 造成完了時期 | ||
| 地目 | 宅地 | 地勢 | |
| 権利 | 所有権 |
||
| 分譲情報 | |||
| 都市計画 | 市街化区域 |
用途地域 | 1種中高 |
| 建ぺい/容積率 | 60% / 200% | 土地国土法 | |
| 許可番号 | 建築基準法 | ||
| 法令制限 | 宅地造成工事規制区域・準防火地域・日影制限有 | ||
| 小学区 | 小倉小学校 徒歩13分 (約1000m) | 中学区 | 南加瀬中学校 徒歩18分 (約1400m) |
| 現況 | 更地 | 引渡 | 相談 |
| 建築条件 | 建築条件なし | ||
| その他費用 | |||
| 備考 | ■小倉はなかご保育園・・・約132m(徒歩2分) ■小峰幼稚園・・・約509m(徒歩7分) ■まいばすけっと 川崎小倉店・・・約42m(徒歩1分) ■ローソン 川崎小倉四丁目店・・・約168m(徒歩3分) ■ツルハドラッグ 小倉店・・・約603m(徒歩8分) ■柁原医院・・・約336m(徒歩5分) ■小倉下町公園・・・約34m(徒歩1分) |
||
| 物件番号 | 4620487 | 取引態様 | 媒介 |
取扱店舗情報
ハウスドゥ 相模原横山台 夢のなかまたち株式会社 店舗詳細ページへ
| 電話番号 | 042-851-3970 |
|---|---|
| 所在地 | 〒252-0241 神奈川県相模原市中央区横山台2丁目13番1号1F |
| 営業時間 | 9:00~18:00 |
| 定休日 | 火曜日、水曜日 |
| 宅建免許番号 | 神奈川県知事(2)第30659号 |
| アクセス | 店舗への地図はこちら |

来店ご予約
- 神奈川県
マイページ物件数 - 3,121件
最近見た物件
-
-

-
- 土地
- 1,298万円
-
南城市玉城字親慶原
-
親慶原入口バス停
-
-
-

-
- 土地
- 3,980万円
-
大阪市住吉区万代5丁目
-
阪堺電気軌道上町線帝塚山四丁目
-
-
-

-
- 土地
- 1,610万円
-
郡山市大槻町字林ノ東
-
JR東北本線郡山
-
神奈川県土地新着物件
-
-

-
- 土地
- 2,480万円
-
川崎市麻生区千代ケ丘7丁目
-
小田急小田原線新百合ヶ丘駅
-
-
-

-
- 土地
- 3,680万円
-
川崎市幸区小倉4丁目
-
JR南武線矢向駅
-
-
-

-
- 土地
- 3,980万円
-
川崎市幸区小倉4丁目
-
JR南武線矢向駅
-
-
-

-
- 土地
- 1,980万円
-
厚木市戸室3丁目
-
小田急小田原線本厚木駅
-
-
-

-
- 土地
- 2,100万円
-
平塚市唐ケ原
-
JR東海道本線平塚駅
-
-
-

-
- 土地
- 4,080万円
-
厚木市愛甲2丁目
-
小田急小田原線愛甲石田駅
-
-
-

-
- 土地
- 600万円
-
厚木市岡津古久
-
小田急小田原線愛甲石田駅
-
- お近くの店舗を探す
-











