愛甲郡愛川町半原の土地
NEW 03.12掲載情報更新日:2026年03月26日 次回更新予定日:2026年04月09日
- 380万円
-
- 借入ご希望金額
万円 - 借入期間
年 - 借入金利
% - 月々のお支払い金額
円
- 借入ご希望金額
※ 月々のお支払例は目安の試算となりますので、実際の金額とは異なる場合がございます。詳しくは店舗までお問合わせください。
- 愛甲郡愛川町半原
-
小田急小田原線『本厚木』 バス乗車42分 原臼 停 徒歩8分 (約640m)
愛甲郡愛川町半原土地 | 物件情報
□建築条件なし □土地広々約90坪以上あり! □小学校徒歩約5分
物件の設備
- 上水道
- 下水道
物件の特徴
- 小学校徒歩10分以内
- 建築条件無
物件詳細情報
| 価格 | 380万円 | 坪単価 | 坪4.2万円 |
|---|---|---|---|
| 物件種別 | 土地 | ||
| 所在地 | 神奈川県愛甲郡愛川町半原 | ||
| アクセス |
|
||
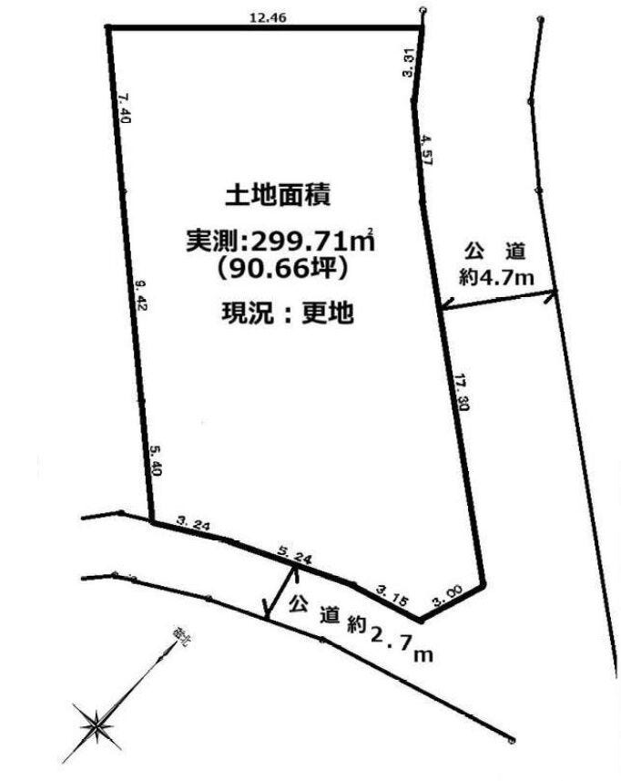
| 土地面積 | 実299.71㎡(90.66坪) | 接道 | 北東側(公道)幅 約4.7m 南東側(公道)幅 約2.7m |
| 私道 | セットバック | ||
| 最適用途 | 造成完了時期 | ||
| 地目 | 畑 | 地勢 | |
| 権利 | 所有権 |
||
| 都市計画 | 市街化区域 |
用途地域 | 準工業 |
| 建ぺい/容積率 | 60% / 200% | 土地国土法 | |
| 許可番号 | 建築基準法 | ||
| 法令制限 | |||
| 小学区 | 半原小学校 徒歩5分 (約365m) | 中学区 | 愛川中学校 徒歩30分 (約2350m) |
| 現況 | 更地 | 引渡 | 相談 |
| 建築条件 | 建築条件なし | ||
| その他費用 | |||
| 周辺環境 | クリエイトSD 愛川半原店 徒歩7分 (約530m) たからや フレサ 半原店 徒歩10分 (約730m) |
||
| 備考 | □建築条件なし □土地広々約90坪以上あり! □小学校徒歩約5分 |
||
| 物件番号 | 4633898 | 取引態様 | 媒介 |
取扱店舗情報
| 電話番号 | 046-297-7353 |
|---|---|
| 所在地 | 〒243-0815 神奈川県厚木市妻田西1丁目20-8 |
| 営業時間 | 9:00~18:00 |
| 定休日 | 水曜日 |
| 宅建免許番号 | 神奈川県知事(1)第32223号 |
| アクセス | 店舗への地図はこちら |

来店ご予約
- 神奈川県
マイページ物件数 - 2,954件
神奈川県土地新着物件
- お近くの店舗を探す
-
おすすめ物件
-
-

-
- 土地
- 3,880万円
-
平塚市纒1丁目
-
JR東海道本線平塚
-
-
-

-
- 土地
- 3,180万円
-
藤沢市大鋸3丁目
-
JR東海道本線藤沢
-
-
-

-
- 土地
- 900万円
-
平塚市大神4丁目
-
JR東海道本線平塚
-
-
-

-
- 土地
- 690万円
-
中郡二宮町富士見が丘1丁目
-
JR東海道本線二宮
-
-
-

-
- 土地
- 5,980万円
-
横浜市中区本牧緑ケ丘
-
JR京浜東北・根岸線山手
-
-
-

-
- 土地
- 1,980万円
-
伊勢原市沼目2丁目
-
小田急小田原線伊勢原
-
-
-

-
- 土地
- 1,390万円
-
伊勢原市東大竹
-
小田急小田原線伊勢原
-
-
-

-
- 土地
- 1,590万円
-
伊勢原市東大竹
-
小田急小田原線伊勢原
-
-
-

-
- 土地
- 2,080万円
-
平塚市田村4丁目
-
JR相模線宮山
-
-
-

-
- 土地
- 2,180万円
-
伊勢原市沼目2丁目
-
小田急小田原線伊勢原
-






