売地 流山市西平井
掲載情報更新日:2026年05月24日 次回更新予定日:2026年06月07日
- 2,590万円
-
- 借入ご希望金額
万円 - 借入期間
年 - 借入金利
% - 月々のお支払い金額
円
- 借入ご希望金額
※ 月々のお支払例は目安の試算となりますので、実際の金額とは異なる場合がございます。詳しくは店舗までお問合わせください。
- 流山市大字西平井
-
つくばエクスプレス『南流山』 徒歩22分 (約1760m)
流鉄流山線『平和台』 徒歩5分 (約400m)
JR武蔵野線『南流山』 バス乗車12分 平和台駅前 停 徒歩3分 (約240m)
売地 流山市西平井土地 | 物件情報
【建築条件なし】ハウスメーカー・設計事務所も自由!理想のこだわり住宅が叶う売地です♪
■建築条件無し
■駅まで平坦な道のり×閑静な住宅街!周辺はスーパー等々生活便利な施設が充実しており、お買い物には困りません!
■「南流山駅」と「流山おおたかの森駅」の2駅へバス便あり!悪天候の日や荷物が多い日も安心です!
物件の設備
- 公営水道
- 浄化槽
- 個別浄化槽
- 都市ガス
物件の特徴
- 3沿線以上利用可
- 駅まで平坦
- 小学校徒歩10分以内
- 緑豊かな住宅地
- スーパーが近い
- 閑静な住宅街
- 周辺交通量少なめ
- 陽当り良好
- 平坦地
- 整形地
- 更地渡
- 建築条件無
物件詳細情報
| 価格 | 2,590万円 | 坪単価 | 坪114.3万円 |
|---|---|---|---|
| 物件種別 | 土地 | ||
| 所在地 | 千葉県流山市大字西平井 A | ||
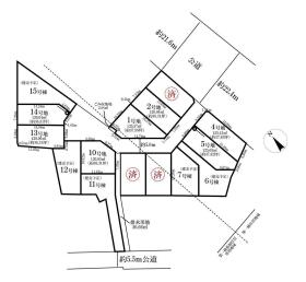
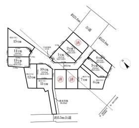
| アクセス |
|
||
| 土地面積 | 実74.93㎡(22.66坪) | 接道 | 北側(公道)幅 約5.0m 間口 約5.72m |
| 私道 | セットバック | ||
| 最適用途 | 造成完了時期 | ||
| 地目 | 宅地 | 地勢 | |
| 権利 | 所有権 |
||
| 分譲情報 | |||
| 都市計画 | 市街化区域 |
用途地域 | 1種住居 |
| 建ぺい/容積率 | 60% / 200% | 土地国土法 | |
| 許可番号 | 建築基準法 | ||
| 法令制限 | 法22条区域・第2種高度地区 | ||
| 小学区 | 流山小学校 徒歩7分 (約550m) | 中学区 | 南部中学校 徒歩23分 (約1800m) |
| 現況 | 更地 | 引渡 | 相談(更地渡し) |
| 建築条件 | 建築条件なし | ||
| その他費用 | |||
| 周辺環境 | マミープラス西平井店 徒歩3分 (約200m) マツモトキヨシ西平井店 徒歩3分 (約200m) ヨークマート平和台店 徒歩5分 (約330m) 流山2号公園 徒歩7分 (約510m) 城の星保育園 徒歩8分 (約640m) ミニストップ 流山平和台店 徒歩9分 (約690m) イトーヨーカドー流山店 徒歩9分 (約660m) 平和台幼稚園 徒歩7分 (約520m) すずき内科クリニック 徒歩8分 (約600m) 流山市立平和台保育所 徒歩9分 (約720m) |
||
| 備考 | |||
| 物件番号 | 4657026 | 取引態様 | 媒介 |
取扱店舗情報
| 電話番号 | 04-7157-6500 |
|---|---|
| 所在地 | 〒270-0164 千葉県流山市流山1丁目269番地 |
| 営業時間 | 9:00~18:00 |
| 定休日 | 火曜日、水曜日 |
| 宅建免許番号 | 千葉県知事(5)第14328号 |
| アクセス | 店舗への地図はこちら |

来店ご予約
千葉県流山市で価格が似ている物件はこちら
- 千葉県
マイページ物件数 - 2,046件
最近見た物件
-
-

-
- 土地
- 1,980万円
-
豊橋市東脇4丁目
-
JR東海道本線豊橋
-
-
-

-
- 土地
- 1,745万円
-
鹿児島市草牟田2丁目
-
工業高校前バス停
-
-
-

-
- 土地
- 840万円
-
八戸市大字尻内町字上谷地
-
JR八戸線八戸
-
千葉県土地新着物件
-
-

-
- 土地
- 1,398万円
-
木更津市真舟1丁目
-
JR内房線木更津駅
-
-
-

-
- 土地
- 1,298万円
-
木更津市真舟1丁目
-
JR内房線木更津駅
-
-
-

-
- 土地
- 1,198万円
-
木更津市真舟1丁目
-
JR内房線木更津駅
-
-
-

-
- 土地
- 3,080万円
-
木更津市瓜倉
-
JR内房線巌根駅
-
-
-

-
- 土地
- 2,380万円
-
千葉市若葉区小倉台6丁目
-
千葉都市モノレール小倉台駅
-
-
-

-
- 土地
- 2,790万円
-
千葉市若葉区小倉台7丁目
-
千葉都市モノレール千城台北駅
-
-
-

-
- 土地
- 2,780万円
-
千葉市若葉区桜木北1丁目
-
千葉都市モノレール桜木駅
-
- お近くの店舗を探す
-
おすすめ物件
-
-

-
- 土地
- 4,180万円
-
流山市若葉台
-
東武野田線初石
-
-
-

-
- 土地
- 780万円
-
香取郡神崎町四季の丘
-
JR成田線下総神崎
-
-
-

-
- 土地
- 2,510万円
-
流山市前ケ崎
-
JR千代田・常磐緩行線北小金
-
-
-

-
- 土地
- 2,590万円
-
四街道市下志津新田
-
JR総武本線四街道
-
-
-

-
- 土地
- 580万円
-
船橋市豊富町
-
京成電鉄松戸線三咲
-
-
-

-
- 土地
- 4,580万円
-
流山市宮園2丁目
-
つくばエクスプレス流山セントラルパーク
-
-
-

-
- 土地
- 5,300万円
-
船橋市宮本8丁目
-
京成本線船橋競馬場
-
-
-

-
- 土地
- 2,830万円
-
四街道市下志津新田
-
JR総武本線四街道
-
-
-

-
- 土地
- 2,490万円
-
四街道市下志津新田
-
JR総武本線四街道
-
-
-

-
- 土地
- 980万円
-
流山市大字東深井
-
東武野田線運河
-









担当エージェント:竹之内 サエラ
建築条件無売地♪随時ご案内可能です♪
また、弊社にて建築も行っておりますので、注文住宅のご相談もOKです♪当物件はもちろんですが、他に気になる物件のご案内、資金計画、物件詳細、住宅ローン等お気軽にお問い合わせください!!
◆ご案内方法について♪
鍵の手配や居住者様立会等々で日程調整が必要な場合がございますので、お早目にご連絡をいただけるとご案内がスムーズです。
現地での待ち合わせ、最寄り駅での待ち合わせ等々ご対応可能です。また、前もって御連絡下さればお近くまでお迎えにあがります。お気軽にご相談ください。
◆住宅ローンのご相談について♪
20行以上の金融機関と実績があります。
「審査と聞くと心配」「頭金0円で買えるの?」「勤続が短いんですが・・・」等々、お気軽にご相談ください。
◆駐車場について♪
店舗にてご相談も可能です。流山街道裏手にある弊社駐車場をご利用下さい。
◆キッズスペースについて♪
弊社では、お子様が退屈しないようにTVやレゴ、絵本・ぬりえなどをご用意しております。
ご希望があれば、スタッフが見守り対応を致します!