松戸市栄町西3丁目の土地
NEW 04.23掲載情報更新日:2026年04月23日 次回更新予定日:2026年05月07日
- 2,580万円
-
- 借入ご希望金額
万円 - 借入期間
年 - 借入金利
% - 月々のお支払い金額
円
- 借入ご希望金額
※ 月々のお支払例は目安の試算となりますので、実際の金額とは異なる場合がございます。詳しくは店舗までお問合わせください。
- 松戸市栄町西3丁目
-
JR千代田・常磐緩行線『馬橋』 徒歩24分 (約1920m)
松戸市栄町西3丁目土地 | 物件情報
建築条件無し売地なので、お好きなハウスメーカー、工務店、建築設計事務所等で建築することができます♪
■建築条件無し×更地×上下水道取出工事済!
■開発分譲地内なので、顔なじみが作りやすく、防犯面でも心強いです!
■流山街道に近く、車の便も◎
■駅まで平坦な道のり×閑静な住宅街!周辺は生活便利な施設が充実しており、お買い物には困りません!
物件の設備
- 公営水道
- 公共下水
- プロパンガス
物件の特徴
- 始発駅
- 2沿線利用可
- 駅まで平坦
- 小学校徒歩10分以内
- 緑豊かな住宅地
- 閑静な住宅街
- 周辺交通量少なめ
- 陽当り良好
- 平坦地
- 更地渡
- 建築条件無
物件詳細情報
| 価格 | 2,580万円 | 坪単価 | 坪55.1万円 |
|---|---|---|---|
| 物件種別 | 土地 | ||
| 所在地 | 千葉県松戸市栄町西3丁目 | ||
| アクセス |
|
||
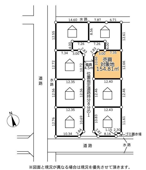
| 土地面積 | 実154.81㎡(46.83坪) | 接道 | 西側(私道)幅 約4.5m 間口 約10.66m(位置指定) 北側(私道)幅 約4.5m 間口 約5.83m(位置指定) |
| 私道 | 別:実237.31㎡(持分 1/8) | セットバック | |
| 最適用途 | 住宅用地 | 造成完了時期 | |
| 地目 | 宅地(一部 公衆用道路含む) | 地勢 | 平坦 |
| 権利 | 所有権 |
||
| 都市計画 | 市街化区域 |
用途地域 | 1種低層 |
| 建ぺい/容積率 | 40% / 60% | 土地国土法 | |
| 許可番号 | 建築基準法 | ||
| 法令制限 | 宅地造成工事規制区域・法22条区域・絶対高さ10m・景観条例・居住誘導区域内・埋蔵文化財(包蔵地外) | ||
| 小学区 | 旭町小学校 徒歩6分 (約450m) | 中学区 | 旭町中学校 徒歩9分 (約650m) |
| 現況 | 更地 | 引渡 | 相談(更地渡し) |
| 建築条件 | 建築条件なし | ||
| その他費用 | |||
| 周辺環境 | ファミリーマート 松戸栄町西四丁目店 徒歩5分 (約400m) 栄町西公園 徒歩10分 (約780m) ウエルシア松戸古ヶ崎店 徒歩11分 (約820m) いわさき第二幼稚園 徒歩13分 (約1020m) 松戸市立 馬橋西保育所 徒歩13分 (約1040m) オリンピック馬橋店 徒歩12分 (約960m) 松戸栄郵便局 徒歩15分 (約1190m) マルエツ 栄町店 徒歩17分 (約1300m) ヤオコー松戸古ケ崎店 徒歩20分 (約1570m) こもりや循環器内科クリニック 徒歩24分 (約1920m) |
||
| 備考 | |||
| 物件番号 | 4687425 | 取引態様 | 媒介 |
取扱店舗情報
| 電話番号 | 04-7157-6500 |
|---|---|
| 所在地 | 〒270-0164 千葉県流山市流山1丁目269番地 |
| 営業時間 | 9:00~18:00 |
| 定休日 | 火曜日、水曜日 |
| 宅建免許番号 | 千葉県知事(5)第14328号 |
| アクセス | 店舗への地図はこちら |

来店ご予約
千葉県松戸市で価格が似ている物件はこちら
- 千葉県
マイページ物件数 - 2,106件
最近見た物件
-
-

-
- 土地
- 1,350万円
-
豊橋市小池町字安海戸
-
豊橋鉄道渥美線小池
-
-
-

-
- 土地
- 1,280万円
-
木津川市山城町北河原内畑
-
JR奈良線棚倉
-
-
-

-
- 土地
- 2,030万円
-
鹿児島市西田2丁目
-
西田本通
-
千葉県土地新着物件
- お近くの店舗を探す
-



















担当エージェント:坂本 祐人
建築条件なし×更地!随時ご案内可能です♪
また、弊社にて建築も行っておりますので、注文住宅のご相談もOKです♪当物件はもちろんですが、他に気になる物件のご案内、資金計画等お気軽にお問い合わせください!!