鳥取市田島の新築戸建
掲載情報更新日:2026年04月14日 次回更新予定日:2026年04月28日
- 2,990万円
-
- 借入ご希望金額
万円 - 借入期間
年 - 借入金利
% - 月々のお支払い金額
円
- 借入ご希望金額
※ 月々のお支払例は目安の試算となりますので、実際の金額とは異なる場合がございます。詳しくは店舗までお問合わせください。
- 鳥取市田島
-
JR山陰本線『鳥取』 徒歩33分 (約2580m)
鳥取市田島一戸建て | 物件情報
初期費用負担ゼロで太陽光発電設置【外構込み】
■建物おすすめポイント
・タタミコーナーと合わせて19.8帖の広々LDK
・家じゅうキレイに整う。適材適所に収納充実
・高気密・高断熱でエアコン負荷を最大50%削減
■土地おすすめポイント
・コンビニまで徒歩8分。
・市街地アクセス良好。国道9号線へ車3分。
・鳥取市立富桑小学校・鳥取市立西中学校エリア
■うれしい設備・仕様
・玄関:FreePaお出迎え省エネセンサーLEDライト
・キッチン:クリナップ製、食器洗乾燥機、人工大理石ワークトップ
・浴室:ハウステック製1坪タイプ、高断熱浴槽、換気暖房乾燥機
・トイレ:リクシル製、各階完備
物件の設備
- 電気
- オール電化
- 公営水道
- 公共下水
- 給湯
- 食器洗浄乾燥機
- IHクッキングヒータ
- カウンターキッチン
- システムキッチン
- オートバス
- バス1坪以上
- 追焚機能
- 浴室暖房
- 浴室乾燥機
- トイレ2箇所
- 温水洗浄便座
- 室内洗濯機置場
- 洗髪洗面化粧台
- 洗面所独立
- 太陽光発電システム
- 省エネ給湯器
- モニタ付インターホン
- 火災警報器/報知機
- LDK15畳以上
- 和室
- 複層ガラス
- フローリング
- 24時間換気システム
- クローゼット
- ウォークインクローゼット
- 全居室収納
- シューズインクローク
物件の特徴
- 高気密高断熱住宅
- 耐震構造
- 制震構造
- 前道6m以上
- 閑静な住宅街
- 市街地が近い
- 陽当り良好
- 2階建
- 角地
物件詳細情報
| 価格 | 2,990万円 | 間取り | 4LDK |
|---|---|---|---|
| 物件種別 | 新築一戸建て | ||
| 所在地 | 鳥取県鳥取市田島 | ||
| アクセス |
|
||
| 建物面積 | 104.33㎡ | 駐車場 | あり 普通:3台 |
| 築年月 | 2026年(令和8年)06月予定 | 建築確認 | 第025A確建鳥393号 |
| 建物構造 | 木造 2階建 | 工法 | 軸組工法 |
| 主要採光 | バルコニー | ||
| 保証・評価 | |||
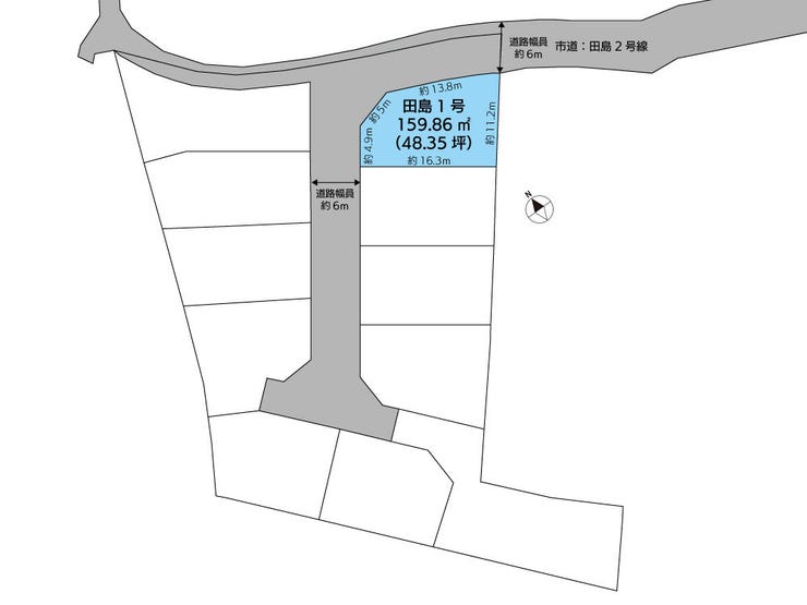
| 土地面積 | 159.86㎡(48.35坪) | 接道 | 北側幅 約6.0m 間口 約13.80m 西側幅 約6.0m 間口 約4.90m |
| 私道 | セットバック | ||
| 地目 | 宅地 | 地勢 | |
| 権利 | 所有権 |
||
| 都市計画 | 市街化区域 |
用途地域 | 1種中高 |
| 建ぺい/容積率 | 60% / 200% | 土地国土法 | |
| 許可番号 | 建築基準法 | ||
| 法令制限 | 景観法・準防火地域・地役権設定あり | ||
| 小学区 | 富桑小学校 徒歩15分 (約1193m) | 中学区 | 西中学校 徒歩15分 (約1201m) |
| 現況 | 建築中 | 引渡 | 未記入 |
| その他費用 | |||
| 周辺環境 | ローソン鳥取田島店 徒歩9分 (約680m) エスマート田園町店 徒歩14分 (約1100m) 富桑小学校 徒歩16分 (約1201m) マルイ薬師町店 徒歩13分 (約1040m) 鳥取西中学校 徒歩16分 (約1201m) |
||
| 備考 | |||
| 物件番号 | 4607567 | 取引態様 | 媒介 |
取扱店舗情報
| 電話番号 | 0857-54-1455 |
|---|---|
| 所在地 | 〒680-0903 鳥取県鳥取市南隈881番地 サウスIII101号 |
| 営業時間 | 10:00~18:00 |
| 定休日 | 水曜日、木曜日、祝日、年末年始 |
| 宅建免許番号 | 鳥取県知事(1)第1434号 |
| アクセス | 店舗への地図はこちら |

来店ご予約
鳥取県鳥取市で価格が似ている物件はこちら
- 鳥取県
マイページ物件数 - 476件
最近見た物件
-
-

-
- 中古一戸建て
- 3,380万円
-
南アルプス市在家塚
-
JR中央本線甲府
-
-
-

-
- 中古マンション
- 2億円
-
世田谷区三軒茶屋1丁目
-
東急田園都市線三軒茶屋
-
-
-

-
- 土地
- 1,100万円
-
泉南郡熊取町七山2丁目
-
JR阪和線東佐野
-
鳥取県新築一戸建て新着物件
- お近くの店舗を探す
-
おすすめ物件
-
-

-
- 新築一戸建て
- 2,990万円
-
鳥取市湖山町南5丁目
-
JR山陰本線鳥取大学前
-
-
-

-
- 新築一戸建て
- 2,690万円
-
鳥取市浜坂1丁目
-
JR山陰本線鳥取
-
-
-

-
- 新築一戸建て
- 2,990万円
-
鳥取市田島
-
JR山陰本線鳥取
-
-
-

-
- 新築一戸建て
- 2,848万円
-
境港市中野町
-
JR境線上道
-
-
-

-
- 新築一戸建て
- 2,800万円
-
鳥取市安長
-
JR山陰本線鳥取
-
-
-

-
- 新築一戸建て
- 2,250万円
-
鳥取市卯垣2丁目
-
JR山陰本線鳥取
-
-
-

-
- 新築一戸建て
- 3,570万円
-
鳥取市吉成
-
JR山陰本線鳥取
-
-
-

-
- 新築一戸建て
- 2,740万円
-
鳥取市卯垣2丁目
-
JR山陰本線鳥取
-
-
-

-
- 新築一戸建て
- 2,698万円
-
鳥取市浜坂7丁目
-
JR山陰本線鳥取
-
-
-

-
- 新築一戸建て
- 3,680万円
-
鳥取市安長
-
JR山陰本線湖山
-


























