売土地 東広島市八本松飯田4丁目
掲載情報更新日:2025年09月30日 次回更新予定日:2025年10月14日
- 790万円
-
- 借入ご希望金額
万円 - 借入期間
年 - 借入金利
% - 月々のお支払い金額
円
- 借入ご希望金額
※ 月々のお支払例は目安の試算となりますので、実際の金額とは異なる場合がございます。詳しくは店舗までお問合わせください。
- 東広島市八本松飯田4丁目
-
JR山陽本線『八本松』 徒歩28分 (約2240m)
『川上小学校』 徒歩9分 (約720m)
売土地 東広島市八本松飯田4丁目土地 | 物件情報
建築条件なし!約56坪で広々! 川上小学校まで徒歩約5分で子育て世帯にも嬉しい立地!
上水道、下水道がきているエリアです♪
物件の設備
- 上水道
- 下水道
物件の特徴
- 小学校徒歩10分以内
- セットバック要
- 閑静な住宅街
- 整形地
- 建築条件無
物件詳細情報
価格 | 790万円 | 坪単価 | 坪14.6万円 |
---|---|---|---|
物件種別 | 土地 | ||
所在地 | 広島県東広島市八本松飯田4丁目 | ||
アクセス |
|
||
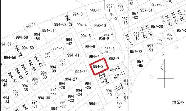
土地面積 | 実178.69㎡(54.05坪) | 接道 | 南西側(公道)幅 約3.8m |
私道 | セットバック | 要 | |
最適用途 | 住宅用地 | 造成完了時期 | |
地目 | 宅地 | 地勢 | |
権利 | |||
都市計画 | 市街化区域 |
用途地域 | 1種低層 |
建ぺい/容積率 | 60% / 150% | 土地国土法 | |
許可番号 | 建築基準法 | ||
法令制限 | |||
小学区 | 川上小学校 徒歩5分 (約387m) | 中学区 | 磯松中学校 徒歩16分 (約1254m) |
現況 | 更地 | 引渡 | 相談(現況渡し) |
建築条件 | 建築条件なし | ||
その他費用 | |||
周辺環境 | 東広島市立川上小学校 徒歩5分 (約370m) ウォンツ八本松店 徒歩20分 (約1540m) 八本松東郵便局 徒歩21分 (約1630m) ゆめマート八本松 徒歩26分 (約2030m) 八本松病院 徒歩25分 (約1990m) JR山陽本線 八本松駅 徒歩28分 (約2220m) 東広島医療センター 徒歩37分 (約2930m) JR山陽本線 寺家駅 徒歩45分 (約3530m) |
||
備考 | 建築条件なし 測量渡し(確定測量済) 地番958-4は分筆後(予定面積12.95㎡)引渡(表記面積含む) 給水管引込み20mm・下水公共桝有 |
||
物件番号 | 3814332 | 取引態様 | 媒介 |
取扱店舗情報
ハウスドゥ 八本松正力 株式会社ノア・コーポレーション 店舗詳細ページへ
電話番号 | 082-490-3341 |
---|---|
所在地 | 〒739-0132 広島県東広島市八本松町正力1089-6 |
営業時間 | 9:00~18:00 |
定休日 | 水曜日、年末年始 |
宅建免許番号 | 広島県知事(1)第11474号 |
アクセス | 店舗への地図はこちら |
来店ご予約
広島県東広島市で価格が似ている物件はこちら
- 広島県
マイページ物件数 - 4,552件
最近見た物件
-
-
-
- 中古マンション
- 3,480万円
-
甲府市中央1丁目
-
JR中央本線甲府
-
広島県土地新着物件
-
-
-
- 土地
- 600万円
-
東広島市八本松町原
-
原小学校前バス停
-
-
-
-
- 土地
- 1,900万円
-
広島市安芸区矢野西2丁目
-
JR呉線矢野駅
-
-
-
-
- 土地
- 1,980万円
-
福山市駅家町大字近田
-
JR福塩線近田駅
-
-
-
-
- 土地
- 290万円
-
尾道市浦崎町
-
浦崎農協前バス停
-
-
-
-
- 土地
- 1,780万円
-
安芸郡海田町新町
-
JR山陽本線海田市駅
-
-
-
-
- 土地
- 1,480万円
-
尾道市高須町
-
JR山陽本線東尾道駅
-
-
-
-
- 土地
- 1,480万円
-
尾道市高須町
-
JR山陽本線東尾道駅
-
- お近くの店舗を探す
-
おすすめ物件
-
-
-
- 土地
- 3,000万円
-
福山市北吉津町4丁目
-
JR山陽本線福山
-
-
-
-
- 土地
- 466万円
-
尾道市因島三庄町
-
平木
-
-
-
-
- 土地
- 1,280万円
-
尾道市美ノ郷町三成
-
JR山陽新幹線新尾道
-
-
-
-
- 土地
- 2,045.39万円
-
福山市南蔵王町6丁目
-
JR山陽本線東福山
-
-
-
-
- 土地
- 2,000万円
-
三原市古浜1丁目
-
JR山陽本線三原
-
-
-
-
- 土地
- 1,252万円
-
福山市今津町
-
JR山陽本線松永
-
-
-
-
- 土地
- 1,050万円
-
三原市糸崎7丁目
-
JR山陽本線糸崎
-
-
-
-
- 土地
- 270万円
-
三原市須波西2丁目
-
JR呉線須波
-
-
-
-
- 土地
- 480万円
-
尾道市久保2丁目
-
JR山陽本線尾道
-
-
-
-
- 土地
- 650万円
-
福山市神辺町字道上
-
JR福塩線道上
-