たつの市誉田町高駄 売地
掲載情報更新日:2026年04月16日 次回更新予定日:2026年04月30日
- 1,500万円
-
- 借入ご希望金額
万円 - 借入期間
年 - 借入金利
% - 月々のお支払い金額
円
- 借入ご希望金額
※ 月々のお支払例は目安の試算となりますので、実際の金額とは異なる場合がございます。詳しくは店舗までお問合わせください。
- たつの市誉田町高駄
-
JR姫新線『本竜野』 徒歩22分 (約1760m)
たつの市誉田町高駄 売地土地 | 物件情報
☆これだ!!という物件☆ お探しの物件を全てお見せします! 『資料請求』より来店・見学予約可能!
太子・龍野の不動産の事ならお任せください!
無料相談も承っております!
物件はもちろん、周辺環境やお店の情報などなんでもお尋ねください。スタッフが親身におこたえします!
こんな物件探してる人におすすめ!
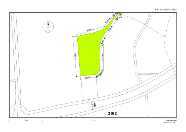
・土地面積1170㎡で広い!!!
・バス乗り口が近いため便利です!
・コンビニも徒歩10分で気軽にお買い物もできる!
物件の設備
- 電気
物件の特徴
- 建築条件無
物件詳細情報
| 価格 | 1,500万円 | 坪単価 | 坪4.2万円 |
|---|---|---|---|
| 物件種別 | 土地 | ||
| 所在地 | 兵庫県たつの市誉田町高駄 | ||
| アクセス |
|
||
| 土地面積 | 公1170㎡(353.92坪) | 接道 | |
| 私道 | セットバック | ||
| 最適用途 | 造成完了時期 | ||
| 地目 | 田 | 地勢 | |
| 権利 | 所有権 |
||
| 都市計画 | 調整区域 調整区域につき建築許可要。建築主の許可要件あり |
用途地域 | 指定無 |
| 建ぺい/容積率 | 60% / 200% | 土地国土法 | |
| 許可番号 | 建築基準法 | ||
| 法令制限 | |||
| 小学区 | 誉田小学校 徒歩14分 (約1100m) | 中学区 | 龍野東中学校 徒歩30分 (約2400m) |
| 現況 | 更地 | 引渡 | 相談 |
| 建築条件 | 建築条件なし | ||
| その他費用 | |||
| 周辺環境 | ローソン 龍野堂本中央店 徒歩10分 (約760m) ダイソー たつの南店 徒歩10分 (約750m) しまむら 龍野店 徒歩10分 (約780m) ドラッグストアコスモス 堂本店 徒歩13分 (約980m) |
||
| 備考 | 建築許可理由:調整区域につき建築許可要。建築主の許可要件あり | ||
| 物件番号 | 4033159 | 取引態様 | 媒介 |
取扱店舗情報
| 電話番号 | 079-280-9922 |
|---|---|
| 所在地 | 〒671-1511 兵庫県揖保郡太子町太田1563-5 |
| 営業時間 | 9:00~18:00 |
| 定休日 | 水曜日、年末年始 |
| 宅建免許番号 | 兵庫県知事(1)第451762号 |
| アクセス | 店舗への地図はこちら |

来店ご予約
兵庫県たつの市で価格が似ている物件はこちら
- 兵庫県
マイページ物件数 - 3,157件
兵庫県土地新着物件
-
-

-
- 土地
- 1,720万円
-
加古川市平岡町一色西2丁目
-
山陽電鉄本線別府駅
-
-
-

-
- 土地
- 490万円
-
加古川市尾上町池田
-
山陽電鉄本線尾上の松駅
-
-
-

-
- 土地
- 4,299万円
-
明石市上ノ丸2丁目
-
JR山陽本線明石駅
-
-
-

-
- 土地
- 1,180万円
-
加古郡播磨町北本荘6丁目
-
山陽電鉄本線別府駅
-
-
-

-
- 土地
- 1,280万円
-
加古川市西条山手1丁目
-
JR加古川線神野駅
-
-
-

-
- 土地
- 850万円
-
加古郡稲美町野谷
-
JR山陽本線土山駅
-
-
-

-
- 土地
- 1,200万円
-
明石市魚住町錦が丘2丁目
-
JR山陽本線魚住駅
-
- お近くの店舗を探す
-
おすすめ物件
-
-

-
- 土地
- 1,680万円
-
神戸市垂水区桃山台2丁目
-
JR山陽本線塩屋
-
-
-

-
- 土地
- 1,598万円
-
高砂市米田町米田
-
JR山陽本線宝殿
-
-
-

-
- 土地
- 470万円
-
加古川市野口町水足
-
JR山陽本線加古川
-
-
-

-
- 土地
- 4,698万円
-
神戸市垂水区霞ケ丘6丁目
-
山陽電鉄本線霞ヶ丘
-
-
-

-
- 土地
- 530万円
-
たつの市揖保川町片島
-
JR山陽本線竜野
-
-
-

-
- 土地
- 2,180万円
-
川西市大和東5丁目
-
能勢電鉄笹部
-
-
-

-
- 土地
- 1,700万円
-
加古川市東神吉町出河原
-
JR山陽本線加古川
-
-
-

-
- 土地
- 990万円
-
加古川市東神吉町西井ノ口
-
JR山陽本線宝殿
-
-
-

-
- 土地
- 950万円
-
加古川市別府町別府
-
山陽電鉄本線別府
-
-
-

-
- 土地
- 100万円
-
加古川市上荘町薬栗
-
JR加古川線厄神
-









担当エージェント:北爪 海斗
これだ!!と思ってもらえる物件をお客様にご提供いたします!