たつの市龍野町島田 売地
掲載情報更新日:2026年02月10日 次回更新予定日:2026年02月24日
- 1,500万円
-
- 借入ご希望金額
万円 - 借入期間
年 - 借入金利
% - 月々のお支払い金額
円
- 借入ご希望金額
※ 月々のお支払例は目安の試算となりますので、実際の金額とは異なる場合がございます。詳しくは店舗までお問合わせください。
- たつの市龍野町島田
-
JR姫新線『東觜崎』 徒歩14分 (約1120m)
たつの市龍野町島田 売地土地 | 物件情報
☆これだ!!という物件☆ お探しの物件を全てお見せします! 『資料請求』より来店・見学予約可能!
太子・龍野の不動産の事ならお任せください!
無料相談も承っております!
物件はもちろん、周辺環境やお店の情報などなんでもお尋ねください。スタッフが親身におこたえします!
こんな物件探してる人におすすめ!
・徒歩5分以内にコンビニ、スーパーがありお買い物も気軽に!
・病院も近いのでもしもの体調不良の時や小さいお子様のいるご家庭では、安心の住環境!
・都市機能と自然が融合した価値ある住環境!
物件の設備
- 電気
- 上水道
- 下水道
物件の特徴
- 前道6m以上
- 建築条件無
物件詳細情報
| 価格 | 1,500万円 | 坪単価 | 坪13.7万円 |
|---|---|---|---|
| 物件種別 | 土地 | ||
| 所在地 | 兵庫県たつの市龍野町島田 | ||
| アクセス |
|
||
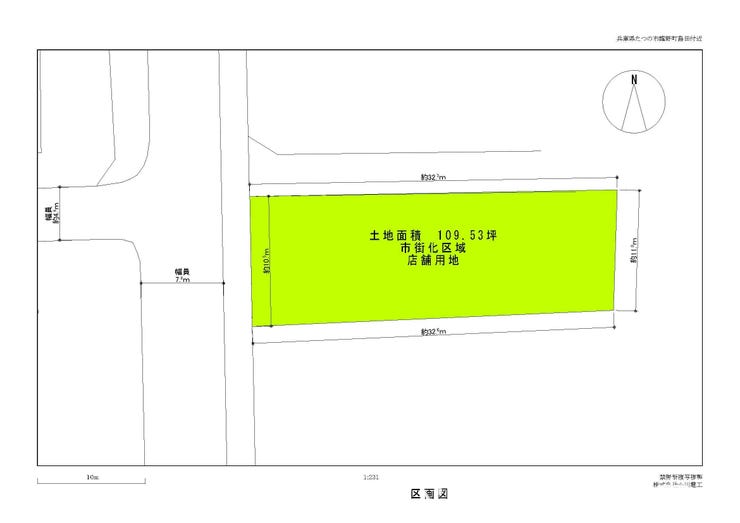
| 土地面積 | 362.1㎡(109.53坪) | 接道 | 西側(公道)幅 約10.5m |
| 私道 | セットバック | ||
| 最適用途 | 店舗用地 | 造成完了時期 | |
| 地目 | 宅地 | 地勢 | 平坦 |
| 権利 | 所有権 |
||
| 都市計画 | 市街化区域 |
用途地域 | 1種住居 |
| 建ぺい/容積率 | 60% / 200% | 土地国土法 | |
| 許可番号 | 建築基準法 | ||
| 法令制限 | |||
| 小学区 | 中学区 | ||
| 現況 | 更地 | 引渡 | 相談 |
| 建築条件 | 建築条件なし | ||
| その他費用 | |||
| 周辺環境 | セリア コープ龍野店 徒歩2分 (約130m) ローソン 龍野東觜崎店 徒歩2分 (約150m) ウエルシア たつの神岡店 徒歩3分 (約200m) とくなが病院 徒歩4分 (約320m) 龍野島田簡易郵便局 徒歩11分 (約810m) |
||
| 備考 | |||
| 物件番号 | 4082777 | 取引態様 | 媒介 |
取扱店舗情報
| 電話番号 | 079-280-9922 |
|---|---|
| 所在地 | 〒671-1511 兵庫県揖保郡太子町太田1563-5 |
| 営業時間 | 9:00~18:00 |
| 定休日 | 水曜日、年末年始 |
| 宅建免許番号 | 兵庫県知事(1)第451762号 |
| アクセス | 店舗への地図はこちら |

来店ご予約
兵庫県たつの市で価格が似ている物件はこちら
- 兵庫県
マイページ物件数 - 3,391件
最近見た物件
-
-

-
- 土地
- 450万円
-
豊橋市東小鷹野4丁目
-
豊橋鉄道東田本線赤岩口
-
-
-

-
- 土地
- 806万円
-
大牟田市大字岬
-
西鉄天神大牟田線東甘木
-
-
-

-
- 土地
- 1,630万円
-
豊川市萩山町1丁目
-
名鉄豊川線諏訪町
-
兵庫県土地新着物件
-
-

-
- 土地
- 780万円
-
加西市北条町北条
-
北条鉄道北条町駅
-
-
-

-
- 土地
- 1,380万円
-
川西市滝山町
-
能勢電鉄滝山駅
-
-
-

-
- 土地
- 150万円
-
たつの市新宮町下莇原
-
JR姫新線西栗栖駅
-
-
-

-
- 土地
- 2,250万円
-
伊丹市山田2丁目
-
阪急電鉄伊丹線新伊丹駅
-
-
-

-
- 土地
- 1,580万円
-
神戸市兵庫区大開通7丁目
-
神戸高速東西線大開駅
-
-
-

-
- 土地
- 680万円
-
加古川市東神吉町西井ノ口
-
JR山陽本線宝殿駅
-
-
-

-
- 土地
- 650万円
-
朝来市和田山町東谷1丁目
-
JR播但線和田山駅
-
- お近くの店舗を探す
-
おすすめ物件
-
-

-
- 土地
- 1,498万円
-
加古川市野口町長砂
-
山陽電鉄本線浜の宮
-
-
-

-
- 土地
- 4,698万円
-
神戸市垂水区霞ケ丘6丁目
-
山陽電鉄本線霞ヶ丘
-
-
-

-
- 土地
- 1,198万円
-
姫路市飾磨区矢倉町2丁目
-
JR山陽本線英賀保
-
-
-

-
- 土地
- 1,698万円
-
加古川市野口町長砂
-
山陽電鉄本線浜の宮
-
-
-

-
- 土地
- 1,580万円
-
加古川市新神野8丁目
-
JR加古川線神野
-
-
-

-
- 土地
- 522万円
-
加古川市米田町船頭
-
JR山陽本線加古川
-
-
-

-
- 土地
- 1,898万円
-
加古川市野口町長砂
-
山陽電鉄本線浜の宮
-
-
-

-
- 土地
- 500万円
-
加古川市野口町水足
-
JR山陽本線加古川
-
-
-

-
- 土地
- 6,480万円
-
姫路市網干区大江島
-
山陽電鉄網干線平松
-
-
-

-
- 土地
- 1,598万円
-
高砂市米田町米田
-
JR山陽本線宝殿
-













担当エージェント:北爪 海斗
これだ!!と思ってもらえる物件をお客様にご提供いたします!