高岡市野村の土地
掲載情報更新日:2025年12月23日 次回更新予定日:2026年01月06日
- 1,132.35万円
-
- 借入ご希望金額
万円 - 借入期間
年 - 借入金利
% - 月々のお支払い金額
円
- 借入ご希望金額
※ 月々のお支払例は目安の試算となりますので、実際の金額とは異なる場合がございます。詳しくは店舗までお問合わせください。
- 高岡市野村
-
万葉線『市民病院前』 徒歩20分 (約1600m)
高岡市野村土地 | 物件情報
人気の野村エリアで80坪の土地!
物件の設備
- 上水道
- 下水道
物件の特徴
- 前道6m以上
- 即引渡可
- 建築条件無
物件詳細情報
| 価格 | 1,132.35万円 | 坪単価 | 坪12.8万円 |
|---|---|---|---|
| 物件種別 | 土地 | ||
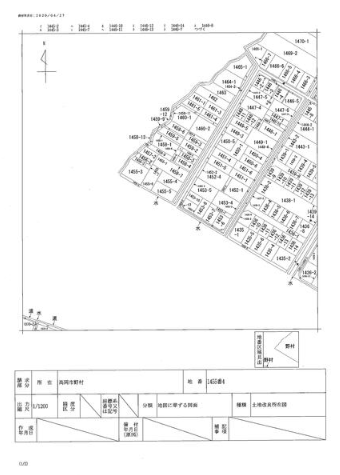
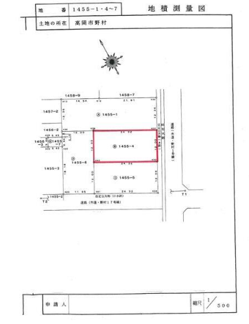
| 所在地 | 富山県高岡市野村1455-4 | ||
| アクセス |
|
||
| 土地面積 | 公291.78㎡(88.26坪) | 接道 | 南西側(公道)幅 約7.0m 間口 約12.00m |
| 私道 | セットバック | ||
| 最適用途 | 造成完了時期 | ||
| 地目 | 宅地 | 地勢 | |
| 権利 | 所有権 |
||
| 都市計画 | 市街化区域 |
用途地域 | 1種中高 |
| 建ぺい/容積率 | 60% / 200% | 土地国土法 | |
| 許可番号 | 建築基準法 | ||
| 法令制限 | |||
| 小学区 | 野村小学校 徒歩21分 (約1680m) | 中学区 | 芳野中学校 徒歩37分 (約2940m) |
| 現況 | 更地 | 引渡 | 即 |
| 建築条件 | 建築条件なし | ||
| その他費用 | |||
| 周辺環境 | 野村小学校 徒歩21分 (約1680m) 芳野中学校 徒歩37分 (約2940m) イオン高岡店 徒歩15分 (約1170m) セブンイレブン高岡広小路店 徒歩20分 (約1600m) |
||
| 備考 | 区画番号:B号地 水道加入金91,000円、下水道負担金200,000円は価格に含みます。 |
||
| 物件番号 | 4225780 | 取引態様 | 媒介 |
取扱店舗情報
| 電話番号 | 0766-54-0402 |
|---|---|
| 所在地 | 〒934-0004 富山県射水市西新湊12-8 |
| 営業時間 | 9:30~18:00 |
| 定休日 | 水曜日、祝日 |
| 宅建免許番号 | 富山県知事(1)第3229号 |
| アクセス | 店舗への地図はこちら |

来店ご予約
富山県高岡市で価格が似ている物件はこちら
- 富山県
マイページ物件数 - 765件
富山県土地新着物件
- お近くの店舗を探す
-





















