Loading
  1. TOP>
  2. 土地>
  3. 中国>
  4. 岡山県>
  5. 岡山市北区>
  6. 今7丁目>
  7. 岡山市北区今7丁目の土地

岡山市北区今7丁目の土地

掲載情報更新日:2025年10月09日 次回更新予定日:2025年10月23日

  • 2,096万円
    • 借入ご希望金額
      万円
    • 借入期間
    • 借入金利
    • 月々のお支払い金額

※ 月々のお支払例は目安の試算となりますので、実際の金額とは異なる場合がございます。詳しくは店舗までお問合わせください。

  • 岡山市北区今7丁目
  • JR山陽本線『北長瀬』 徒歩25分 (約2000m)
取扱会社:ハウスドゥ 岡山駅西口  株式会社アールイープロジェクト
  • この物件に資料請求・問い合わせをする
  • ■お電話はこちら 通話料無料 0120-833-877

岡山市北区今7丁目土地 | 物件情報

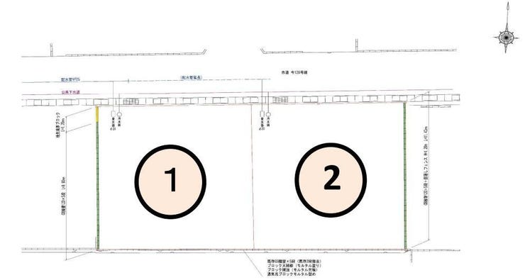
【区画図】

【区画図】

【外観】

【外観】

取扱会社
ハウスドゥ 岡山駅西口  
  • この物件に資料請求・問い合わせをする
  • ■お電話はこちら 通話料無料 0120-833-877

物件の設備

  • 上水道
  • 下水道
  • 公共下水

物件の特徴

  • 前道6m以上

物件詳細情報

価格 2,096万円 坪単価 坪59.4万円
物件種別 土地
所在地 岡山県岡山市北区今7丁目
アクセス
  • JR山陽本線『北長瀬』 徒歩25分 (約2000m)
土地面積 公116.75㎡(35.31坪) 接道 北側(公道)幅 約10.3m
私道 セットバック
最適用途 造成完了時期
地目 宅地 地勢
権利 所有権
都市計画 市街化区域
用途地域 2種中高
建ぺい/容積率 60% / 200% 土地国土法
許可番号 建築基準法
法令制限
小学区 西小学校 徒歩13分 (約1000m) 中学区 御南中学校 徒歩19分 (約1500m)
現況 更地 引渡 相談(現況渡し)
建築条件 建築条件付
その他費用
周辺環境 備前西市駅 徒歩21分 (約1630m)
岡山市立西小学校 徒歩14分 (約1090m)
岡山市立御南中学校 徒歩18分 (約1410m)
岡山市立今認定こども園 徒歩3分 (約200m)
天満屋ハピーズ下中野店 徒歩10分 (約730m)
業務スーパー下中野店 徒歩9分 (約680m)
ザグザグ今店 徒歩9分 (約680m)
セブンイレブン岡山今6丁目店 徒歩6分 (約470m)
おおもと病院 徒歩19分 (約1490m)
中国銀行 岡山西店 徒歩7分 (約540m)
備考 上下水道工事負担金 550,000円が別途必要。
水道メーター22mm負担金 242,000円が別途必要。
新設給水管は申請中につき、2025/2工事完了予定です。
物件番号 4246048 取引態様 媒介

取扱店舗情報

ハウスドゥ 岡山駅西口  株式会社アールイープロジェクト 店舗詳細ページへ

電話番号 086-239-8621
所在地 〒700-0025
岡山県岡山市北区寿町1-3 ウエストサイドオカヤマ1階
営業時間 9:00~18:00
定休日 水曜日
宅建免許番号 岡山県知事(2)第5855号
アクセス 店舗への地図はこちら

ハウスドゥ  岡山駅西口の外観

この物件に関する資料請求・お問合せ

通話料無料 0120-833-877

お問い合わせの際に「ホームページを見た」といっていただくとお話がスムーズになります。

来店ご予約

ウィンドウを閉じる

ハウスドゥ 岡山駅西口  株式会社アールイープロジェクトへの地図

  • ハウスドゥ  岡山駅西口の地図
  • ハウスドゥ  岡山駅西口の外観

GoogleMapで地図を見る

ウィンドウを閉じる

岡山県岡山市北区で価格が似ている物件はこちら

戻る

次へ

岡山県岡山市北区の 土地 一覧から探す

岡山県岡山市北区で種別を変更して探す

岡山県
マイページ物件数
4,434

マイページサービス

新規登録(無料)
  • 物件探しがもっと便利に
  • 希望情報をいち早くお届け
  • マイページ物件が閲覧可能

最近見た物件

岡山県土地新着物件

お近くの店舗を探す

おすすめ物件

無料アプリ