福山市南蔵王町3丁目の土地
掲載情報更新日:2026年05月04日 次回更新予定日:2026年05月18日
- 1,800万円
-
- 借入ご希望金額
万円 - 借入期間
年 - 借入金利
% - 月々のお支払い金額
円
- 借入ご希望金額
※ 月々のお支払例は目安の試算となりますので、実際の金額とは異なる場合がございます。詳しくは店舗までお問合わせください。
- 福山市南蔵王町3丁目
-
JR山陽本線『東福山』 徒歩18分 (約1400m)
福山市南蔵王町3丁目土地 | 物件情報
☆ 福山市南蔵王三丁目 ☆ ~ 福山東部地域で人気の高いエリア◎ ~
■ 国道182号線近くでアクセスも良好
□ 晴れパン福山店まで徒歩1分
■ ミスタードーナツ福山蔵王ショップ徒歩3分
□ エブリイ蔵王店まで徒歩5分
■ しゃぶしゃぶ檸檬福山南蔵王店まで徒歩5分
【内見の流れ】
〇 お電話にて内見のご希望日時をお知らせください
〇 現地集合・もしくはピックアップいたします
【その他物件のご相談】
ご希望の金額で、エリアで、サイズ、毎月の返済などなど、
お客様のニーズに合った物件を一緒にお探しします。
お電話でも気軽にお問い合わせください!
水曜日も休まず営業しております!
成華公式LINE(@857rnlip)
物件の設備
- 公営水道
- 下水道
- 都市ガス
物件の特徴
- 2沿線利用可
- 駅まで平坦
- 前道6m以上
- 整備された歩道
- スーパーが近い
- 市街地が近い
- 平坦地
- 整形地
- 更地渡
- 建築条件無
物件詳細情報
| 価格 | 1,800万円 | 坪単価 | 坪49.3万円 |
|---|---|---|---|
| 物件種別 | 土地 | ||
| 所在地 | 広島県福山市南蔵王町3丁目 | ||
| アクセス |
|
||
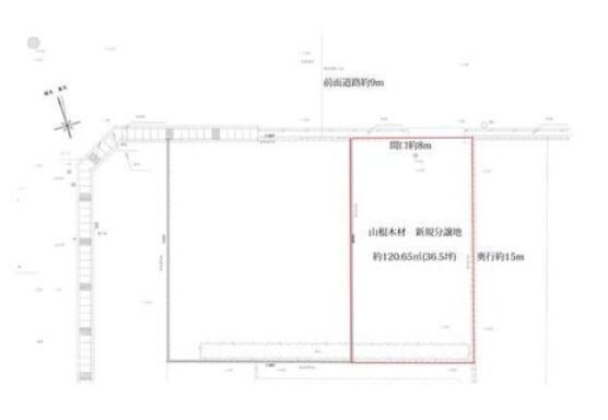
| 土地面積 | 公120.65㎡(36.49坪) | 接道 | 北側幅 約9.0m 間口 約8.00m |
| 私道 | セットバック | ||
| 最適用途 | 住宅用地 | 造成完了時期 | |
| 地目 | 宅地 | 地勢 | 平坦 |
| 権利 | 所有権 |
||
| 都市計画 | 市街化区域 |
用途地域 | 2種住居 |
| 建ぺい/容積率 | 60% / 200% | 土地国土法 | |
| 許可番号 | 建築基準法 | ||
| 法令制限 | |||
| 小学区 | 蔵王小学校 徒歩17分 (約1300m) | 中学区 | 城東中学校 徒歩7分 (約550m) |
| 現況 | 更地 | 引渡 | 相談(更地渡し) |
| 建築条件 | 建築条件なし | ||
| その他費用 | |||
| 備考 | |||
| 物件番号 | 4266346 | 取引態様 | 媒介 |
取扱店舗情報
| 電話番号 | 084-983-0011 |
|---|---|
| 所在地 | 〒721-0955 広島県福山市新涯町5丁目36-1 |
| 営業時間 | 9:30~18:30 |
| 定休日 | 年末年始・GW・夏季休暇 |
| 宅建免許番号 | 広島県知事(1)第11246号 |
| アクセス | 店舗への地図はこちら |

来店ご予約
広島県福山市で価格が似ている物件はこちら
- 広島県
マイページ物件数 - 4,708件
最近見た物件
-
-

-
- 新築一戸建て
- 4,599万円
-
福岡市東区香椎駅東1丁目
-
JR鹿児島本線香椎
-
-
-

-
- 中古一戸建て
- 4,040万円
-
太宰府市長浦台1丁目
-
JR鹿児島本線水城
-
-
-

-
- 中古マンション
- 180万円
-
北九州市小倉北区赤坂4丁目
-
JR鹿児島本線門司
-
広島県土地新着物件
-
-

-
- 土地
- 1,350万円
-
尾道市門田町
-
JR山陽本線尾道駅
-
-
-

-
- 土地
- 1,050万円
-
東広島市八本松飯田7丁目
-
JR山陽本線八本松駅
-
-
-

-
- 土地
- 1,190万円
-
東広島市八本松飯田7丁目
-
JR山陽本線八本松駅
-
-
-

-
- 土地
- 1,280万円
-
東広島市八本松飯田7丁目
-
JR山陽本線八本松駅
-
-
-

-
- 土地
- 598万円
-
福山市大門町1丁目
-
JR山陽本線大門駅
-
-
-

-
- 土地
- 560万円
-
福山市大門町1丁目
-
JR山陽本線大門駅
-
-
-

-
- 土地
- 1,980万円
-
東広島市西条町寺家
-
JR山陽本線寺家駅
-
- お近くの店舗を探す
-















まずはLINEで簡単お問い合わせ! 気になる物件、不動産購入でお困りな事がございましたらいつでもお気軽にご相談ください!即日ご案内も可能です◎