糸満市字兼城の土地
掲載情報更新日:2026年02月10日 次回更新予定日:2026年02月24日
- 1,680万円
-
- 借入ご希望金額
万円 - 借入期間
年 - 借入金利
% - 月々のお支払い金額
円
- 借入ご希望金額
※ 月々のお支払例は目安の試算となりますので、実際の金額とは異なる場合がございます。詳しくは店舗までお問合わせください。
- 糸満市字兼城
-
『仙原』 徒歩10分 (約800m)
糸満市字兼城土地 | 物件情報
【4号地】糸満市兼城に全4区画の売り土地でました♪建築条件なし!
店舗キッズスペースあり!夕方からや土日祝日のご内覧も可能です♪お気軽にお問い合わせください☆
物件の設備
- 電気
- 上水道
- 公営水道
- 下水道
- 公共下水
物件の特徴
- 前道6m以上
- 陽当り良好
- 平坦地
- 建築条件無
物件詳細情報
| 価格 | 1,680万円 | 坪単価 | 坪36.5万円 |
|---|---|---|---|
| 物件種別 | 土地 | ||
| 所在地 | 沖縄県糸満市字兼城831-3 D号地 | ||
| アクセス |
|
||
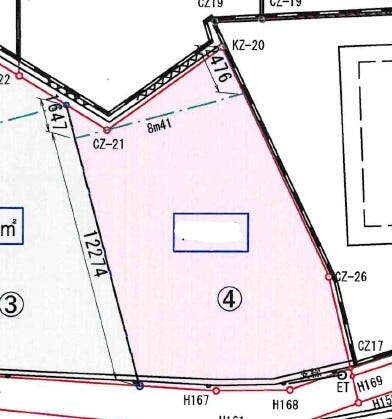
| 土地面積 | 152㎡(45.98坪) | 接道 | 南東側幅 約6.5m |
| 私道 | セットバック | ||
| 最適用途 | 造成完了時期 | ||
| 地目 | 畑 | 地勢 | 平坦 |
| 権利 | 所有権 |
||
| 分譲情報 | |||
| 都市計画 | 市街化区域 |
用途地域 | 1種低層 |
| 建ぺい/容積率 | 50% / 100% | 土地国土法 | |
| 許可番号 | 建築基準法 | ||
| 法令制限 | |||
| 小学区 | 兼城小学校 徒歩18分 (約1400m) | 中学区 | 兼城中学校 徒歩20分 (約1600m) |
| 現況 | 更地 | 引渡 | 相談 |
| 建築条件 | 建築条件なし | ||
| その他費用 | |||
| 周辺環境 | カインズFC サンプラザ糸満店 徒歩17分 (約1310m) タウンプラザかねひで いちゅまん市場 徒歩18分 (約1390m) セブンイレブン糸満兼城サンプラザ糸満店 徒歩18分 (約1400m) 兼城小学校 徒歩18分 (約1440m) 兼城中学校 徒歩20分 (約1570m) ダイレックス糸満店 徒歩21分 (約1650m) |
||
| 備考 | 糸満市兼城に全4区画の売り土地でました♪建築条件なし! ◆農地法5条申請要す ◇周辺環境◇ ・カインズFC サンプラザ糸満店まで徒歩17分(約1310m) ・タウンプラザかねひで いちゅまん市場まで徒歩18分(約1390m) ・セブンイレブン糸満兼城サンプラザ糸満店まで徒歩18分(約1400m) ・ダイレックス糸満店まで徒歩21分(約1650m) |
||
| 物件番号 | 4292830 | 取引態様 | 媒介 |
取扱店舗情報
ハウスドゥ 豊見城 株式会社R-JAPAN 店舗詳細ページへ
| 電話番号 | 098-856-5456 |
|---|---|
| 所在地 | 〒901-0225 沖縄県豊見城市豊崎1-1146 |
| 営業時間 | 10:00~19:00 |
| 定休日 | 水曜日、年末年始 |
| 宅建免許番号 | 国土交通大臣(2)第9251号 |
| アクセス | 店舗への地図はこちら |

来店ご予約
沖縄県糸満市で価格が似ている物件はこちら
- 沖縄県
マイページ物件数 - 3,591件
最近見た物件
-
-

-
- 土地
- 400万円
-
宇都宮市上田原町
-
自由ヶ丘団地
-
-
-

-
- 土地
- 1,198万円
-
一宮市小信中島字東鵜飼分
-
名鉄名古屋本線名鉄一宮
-
-
-

-
- 土地
- 1,050万円
-
安城市古井町塚下
-
名鉄西尾線碧海古井
-
沖縄県土地新着物件
-
-

-
- 土地
- 1,398万円
-
南城市玉城字親慶原
-
バス停親慶原入口バス停
-
-
-

-
- 土地
- 2,498万円
-
宜野湾市宇地泊2丁目
-
バス停宇地泊
-
-
-

-
- 土地
- 3,198万円
-
島尻郡八重瀬町字伊覇
-
バス停県営屋宜原団地入口
-
-
-

-
- 土地
- 1億5,000万円
-
島尻郡八重瀬町字伊覇
-
バス停県営屋宜原団地入口
-
-
-

-
- 土地
- 3,600万円
-
那覇市若狭2丁目
-
若狭
-
-
-

-
- 土地
- 5,370万円
-
那覇市首里山川町3丁目
-
日航那覇グランドキャッスル
-
-
-

-
- 土地
- 5,547万円
-
中頭郡読谷村字大木
-
バス停大湾西原
-
- お近くの店舗を探す
-
おすすめ物件
-
-

-
- 土地
- 2,898万円
-
島尻郡八重瀬町字上田原
-
伊覇バス停
-
-
-

-
- 土地
- 1,498万円
-
糸満市字兼城
-
西崎入口バス停まで徒歩
-
-
-

-
- 土地
- 1,198万円
-
糸満市字国吉
-
国吉 バス停
-
-
-

-
- 土地
- 980万円
-
中頭郡中城村字新垣
-
バス停新垣バス停
-
-
-

-
- 土地
- 1,100万円
-
島尻郡八重瀬町字新城
-
新城
-
-
-

-
- 土地
- 2,998万円
-
島尻郡八重瀬町字上田原
-
伊覇バス停
-
-
-

-
- 土地
- 798万円
-
糸満市字真壁
-
真壁バス停
-
-
-

-
- 土地
- 3,798万円
-
島尻郡八重瀬町字上田原
-
伊覇公民館前バス停
-
-
-

-
- 土地
- 2,840万円
-
浦添市沢岻1丁目
-
バス停大名小学校入口
-
-
-

-
- 土地
- 2,780万円
-
浦添市港川1丁目
-
沖縄都市モノレール浦添前田
-




担当エージェント:與那城 一樹
ハイサーイ!ハウスドゥ 豊見城の與那城(ヨナシロ)と申します。 宮古島産まれ、那覇育ち、大学から東京に出て2021年に沖縄へ戻りました。 沖縄県民だからこそ感じることを『笑顔!』『元気!』にお伝えし、お客様とお話しできることを楽しみにしております!
★ハウスドゥ 豊見城のHPから『マイページ登録』をして頂くと日々更新される、HPでは一般公開されていない新着物件をいち早くご覧いただけます!登録は無料!是非ご活用くださいませ★
\購入相談会随時同時開催中/
◆住宅ローン
借入限度額や自分に合った支払い額を知りたい方
お家探しの前に資金計画を立てたい方、住替えをお考えの方
一度ご相談ください。専門スタッフがわかりやすくご説明します!!
◆ご家族お揃いでお気軽にお越しください♪
キッズスペース・店舗横に駐車場完備♪
お子様連れのお客様も安心して、物件探しをご相談頂けます♪
◆お客様のご要望に応じた物件をまとめてご案内する物件ツアーも開催しております。