売土地 久留米市上津1期 2号地 CC
掲載情報更新日:2026年04月13日 次回更新予定日:2026年04月27日
- 1,050万円
-
- 借入ご希望金額
万円 - 借入期間
年 - 借入金利
% - 月々のお支払い金額
円
- 借入ご希望金額
※ 月々のお支払例は目安の試算となりますので、実際の金額とは異なる場合がございます。詳しくは店舗までお問合わせください。
- 久留米市上津町
-
『野添バス停』 徒歩8分 (約640m)
売土地 久留米市上津1期 2号地 CC土地 | 物件情報
物件の設備
- 電気
- 上水道
- 下水道
物件の特徴
- 建築条件無
物件詳細情報
| 価格 | 1,050万円 | 坪単価 | 坪14.6万円 |
|---|---|---|---|
| 物件種別 | 土地 | ||
| 所在地 | 福岡県久留米市上津町 | ||
| アクセス |
|
||
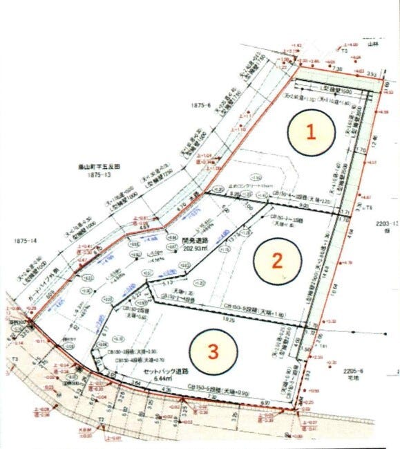
| 土地面積 | 238.47㎡(72.13坪) | 接道 | |
| 私道 | セットバック | ||
| 最適用途 | 造成完了時期 | ||
| 地目 | 宅地 | 地勢 | |
| 権利 | 所有権 |
||
| 分譲情報 | 【販売区画】:3区画 |
||
| 都市計画 | 市街化区域 |
用途地域 | 指定無 |
| 建ぺい/容積率 | 60% / 100% | 土地国土法 | |
| 許可番号 | 建築基準法 | ||
| 法令制限 | |||
| 小学区 | 上津小学校 徒歩21分 (約1680m) | 中学区 | 青陵中学校 徒歩14分 (約1120m) |
| 現況 | 更地 | 引渡 | 相談 |
| 建築条件 | 建築条件なし | ||
| その他費用 | |||
| 周辺環境 | 久留米野添郵便局 徒歩8分 (約590m) 久留米市立上津小学校 徒歩33分 (約2620m) 久留米市立青陵中学校 徒歩14分 (約1120m) ローソン 久留米湯納楚 徒歩19分 (約1450m) 高良台リハビリテーション病院 徒歩18分 (約1400m) スーパーセンタートライアル久留米上津店 徒歩27分 (約2110m) 久留米荒木郵便局 徒歩32分 (約2530m) フレッシュ8上津店 徒歩37分 (約2890m) |
||
| 備考 | 水道加入金66,000円 下水受益者負担金㎡171円必要 |
||
| 物件番号 | 4338742 | 取引態様 | 媒介 |
取扱店舗情報
| 電話番号 | 0942-50-5735 |
|---|---|
| 所在地 | 〒841-0051 佐賀県鳥栖市元町1246番地3 |
| 営業時間 | 10:00~18:00 |
| 定休日 | 水曜日 |
| 宅建免許番号 | 佐賀県知事(2)第2561号 |
| アクセス | 店舗への地図はこちら |

来店ご予約
福岡県久留米市で価格が似ている物件はこちら
- 福岡県
マイページ物件数 - 8,411件
最近見た物件
-
-

-
- 土地
- 855万円
-
八戸市南白山台3丁目
-
南白山台バス停
-
-
-

-
- 土地
- 1億4,000万円
-
倉敷市片島町
-
JR山陽本線西阿知
-
-
-

-
- 新築一戸建て
- 3,090万円
-
船橋市新高根3丁目
-
京成電鉄松戸線滝不動
-
福岡県土地新着物件
-
-

-
- 土地
- 1,698万円
-
糟屋郡須惠町大字植木
-
JR香椎線須恵駅
-
-
-

-
- 土地
- 3,100万円
-
福岡市東区舞松原2丁目
-
JR香椎線香椎神宮駅
-
-
-

-
- 土地
- 3,300万円
-
福岡市東区舞松原2丁目
-
JR香椎線香椎神宮駅
-
-
-

-
- 土地
- 3,200万円
-
福岡市東区舞松原2丁目
-
JR香椎線香椎神宮駅
-
-
-

-
- 土地
- 1,022.11万円
-
久留米市大善寺町夜明
-
西鉄天神大牟田線大善寺駅
-
-
-

-
- 土地
- 1,159.46万円
-
久留米市大善寺町夜明
-
西鉄天神大牟田線大善寺駅
-
-
-

-
- 土地
- 2,880万円
-
北九州市八幡西区若葉2丁目
-
筑豊電気鉄道今池駅
-
- お近くの店舗を探す
-
おすすめ物件
-
-

-
- 土地
- 1,998万円
-
北九州市小倉北区上到津1丁目
-
JR日豊本線南小倉
-
-
-

-
- 土地
- 980万円
-
築上郡築上町大字築城
-
JR日豊本線築城
-
-
-

-
- 土地
- 5,780万円
-
久留米市諏訪野町
-
西鉄天神大牟田線西鉄久留米
-
-
-

-
- 土地
- 3,800万円
-
北九州市小倉南区山手3丁目
-
北九州高速鉄道企救丘
-
-
-

-
- 土地
- 2,700万円
-
古賀市今の庄1丁目
-
JR鹿児島本線古賀
-
-
-

-
- 土地
- 998万円
-
北九州市若松区宮丸2丁目
-
JR筑豊本線藤ノ木
-
-
-

-
- 土地
- 1,298万円
-
久留米市御井町
-
JR久大本線久留米大学前
-
-
-

-
- 土地
- 550万円
-
北九州市若松区大井戸町
-
JR筑豊本線若松
-
-
-

-
- 土地
- 1,580万円
-
福岡市東区香椎駅東1丁目
-
JR鹿児島本線香椎
-
-
-

-
- 土地
- 2,190万円
-
古賀市花鶴丘3丁目
-
JR鹿児島本線ししぶ
-



