川口市大字石神の土地
掲載情報更新日:2026年02月23日 次回更新予定日:2026年03月09日
- 2,790万円
-
- 借入ご希望金額
万円 - 借入期間
年 - 借入金利
% - 月々のお支払い金額
円
- 借入ご希望金額
※ 月々のお支払例は目安の試算となりますので、実際の金額とは異なる場合がございます。詳しくは店舗までお問合わせください。
- 川口市大字石神
-
JR武蔵野線『東浦和』 バス乗車12分 大塚 停 徒歩8分 (約640m)
埼玉高速鉄道『東川口』 バス乗車15分 バイパス口 停 徒歩10分 (約800m)
川口市大字石神土地 | 物件情報
人気エリアに分譲地が登場です!<9号地>建築条件なしのためお好きなハウスメーカー様で建築可能です♪
人気エリアに分譲地が登場です!
<9号地>2沿線以上利用可能
※建築条件ございません
物件の設備
- 電気
- 上水道
- 下水道
- 都市ガス
物件の特徴
- 建築条件無
物件詳細情報
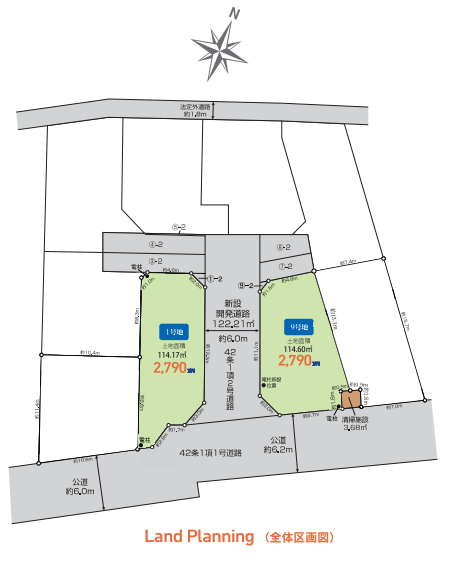
| 価格 | 2,790万円 | 坪単価 | 坪80.5万円 |
|---|---|---|---|
| 物件種別 | 土地 | ||
| 所在地 | 埼玉県川口市大字石神 9号地 | ||
| アクセス |
|
||
| 土地面積 | 114.6㎡(34.66坪) | 接道 | |
| 私道 | セットバック | ||
| 最適用途 | 造成完了時期 | ||
| 地目 | 畑 | 地勢 | |
| 権利 | 所有権 |
||
| 分譲情報 | |||
| 都市計画 | 市街化区域 |
用途地域 | 1種低層 |
| 建ぺい/容積率 | 50% / 100% | 土地国土法 | |
| 許可番号 | 建築基準法 | ||
| 法令制限 | |||
| 小学区 | 中学区 | ||
| 現況 | 更地 | 引渡 | 期日指定:2025年12月中旬以降 |
| 建築条件 | 建築条件なし | ||
| その他費用 | |||
| 周辺環境 | 川口市立北中学校 徒歩28分 (約2200m) セブンイレブン川口石神店 徒歩11分 (約835m) ローソン川口石神店 徒歩12分 (約936m) 川口石神郵便局 徒歩11分 (約864m) |
||
| 備考 | |||
| 物件番号 | 4472322 | 取引態様 | 媒介 |
取扱店舗情報
ハウスドゥ 鳩ヶ谷坂下町 株式会社ウェルカムホーム 店舗詳細ページへ
| 電話番号 | 048-242-5180 |
|---|---|
| 所在地 | 〒334-0003 埼玉県川口市坂下町3丁目32-21 |
| 営業時間 | 9:00~18:00 |
| 定休日 | 火曜日、水曜日、年末年始 |
| 宅建免許番号 | 埼玉県知事(1)第25389号 |
| アクセス | 店舗への地図はこちら |

来店ご予約
埼玉県川口市で価格が似ている物件はこちら
- 埼玉県
マイページ物件数 - 3,345件
最近見た物件
-
-

-
- 土地
- 99万円
-
登別市新生町5丁目
-
「新生町5丁目」停徒歩
-
埼玉県土地新着物件
- お近くの店舗を探す
-
おすすめ物件
-
-

-
- 土地
- 1,600万円
-
さいたま市見沼区大字小深作
-
東武野田線七里
-
-
-

-
- 土地
- 3,980万円
-
さいたま市大宮区大成町2丁目
-
埼玉新都市交通鉄道博物館(大成)
-
-
-

-
- 土地
- 2,450万円
-
川越市豊田町2丁目
-
西武新宿線南大塚
-
-
-

-
- 土地
- 500万円
-
比企郡滑川町大字羽尾
-
東武東上線森林公園
-
-
-

-
- 土地
- 2,400万円
-
新座市畑中3丁目
-
JR武蔵野線北朝霞
-
-
-

-
- 土地
- 2,280万円
-
上尾市大字壱丁目
-
JR高崎線上尾
-
-
-

-
- 土地
- 1,780万円
-
さいたま市見沼区大字小深作
-
東武野田線七里
-
-
-

-
- 土地
- 3,380万円
-
さいたま市見沼区大字小深作
-
東武野田線七里
-
-
-

-
- 土地
- 750万円
-
北足立郡伊奈町栄5丁目
-
湘南新宿ライン宇須蓮田
-
-
-

-
- 土地
- 3,980万円
-
さいたま市西区大字佐知川
-
JR京浜東北・根岸線大宮
-







担当エージェント:富重 隆文
お客様に「寄り添う」会社です。不動産の購入は金額も大きく、不安なことがたくさんあると思います。ぜひ、一度ご連絡ください。不動産に関するプロとして、お客様の課題に一つ一つ向き合っていきます。