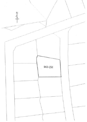
宇都宮市立伏町の土地
掲載情報更新日:2026年01月08日 次回更新予定日:2026年01月22日
- 250万円
-
- 借入ご希望金額
万円 - 借入期間
年 - 借入金利
% - 月々のお支払い金額
円
- 借入ご希望金額
※ 月々のお支払例は目安の試算となりますので、実際の金額とは異なる場合がございます。詳しくは店舗までお問合わせください。
- 宇都宮市立伏町
-
関東バス『グリーンタウン西』 徒歩4分 (約320m)
宇都宮市立伏町土地 | 物件情報
物件の設備
- 上水道
- 下水道
- プロパンガス
物件の特徴
- 即引渡可
- 建築条件無
物件詳細情報
| 価格 | 250万円 | 坪単価 | 坪3.6万円 |
|---|---|---|---|
| 物件種別 | 土地 | ||
| 所在地 | 栃木県宇都宮市立伏町 | ||
| アクセス |
|
||
| 土地面積 | 公232.26㎡(70.25坪) | 接道 | |
| 私道 | セットバック | ||
| 最適用途 | 造成完了時期 | ||
| 地目 | 宅地 | 地勢 | |
| 権利 | 所有権 |
||
| 都市計画 | 市街化区域 |
用途地域 | 1種低層 |
| 建ぺい/容積率 | 50% / 80% | 土地国土法 | |
| 許可番号 | 建築基準法 | ||
| 法令制限 | グリーンタウン地区計画 | ||
| 小学区 | 田原西小学校 徒歩23分 (約1800m) | 中学区 | 田原中学校 徒歩48分 (約3800m) |
| 現況 | 更地 | 引渡 | 即(現況渡し) |
| 建築条件 | 建築条件なし | ||
| その他費用 | |||
| 備考 | |||
| 物件番号 | 4495507 | 取引態様 | 媒介 |
取扱店舗情報
| 電話番号 | 028-678-2888 |
|---|---|
| 所在地 | 〒320-0826 栃木県宇都宮市西原町466-1 |
| 営業時間 | 10:00~18:30 |
| 定休日 | 水曜日 |
| 宅建免許番号 | 栃木県知事(2)第5075号 |
| アクセス | 店舗への地図はこちら |

来店ご予約
栃木県宇都宮市で価格が似ている物件はこちら
![]()
![]()
-
- 土地 2011.08.21
-
-
- 250万円
-
宇都宮市立伏町
-
バス停『宇都宮グリーンタウン』徒歩まで徒歩2分
- 204.40m2
-
-
- 土地 2015.06.14
-
-
- 170万円
-
宇都宮市松風台
-
バス停『西小学校前』 徒歩まで徒歩9分
- 191.21m2
-
-
- 土地 2016.03.25
-
-
- 250万円
-
宇都宮市立伏町
-
JR東北本線「宇都宮駅」バス乗車43分 バス停「宇都宮グリーンタウン」まで徒歩2分
- 204.40m2
-
-
- 土地 2018.02.20
-
-
- 350万円
-
宇都宮市福岡町
-
JR日光線「鹿沼駅」まで徒歩48分
- 374.00m2
-
-
- 土地 2018.02.25
-
-
- 215万円
-
宇都宮市松風台
-
松風台まで徒歩3分
- 157.88m2
-
-
- 土地 2019.08.04
-
-
- 200万円
-
宇都宮市松風台
-
バス停「松風台」徒歩まで徒歩6分
- 155.31m2
-
-
- 土地 2020.01.28
-
-
- 280万円
-
宇都宮市下荒針町
-
関東バス『長坂上』徒歩まで徒歩8分
- 478.00m2
-
-
- 土地 2020.01.31
-
-
- 280万円
-
宇都宮市下荒針町
-
関東バス『長坂上』徒歩まで徒歩8分
- 478.00m2
-
-
- 土地 2020.02.06
-
-
- 200万円
-
宇都宮市新里町
-
関東バス藤本まで徒歩4分
- 200.00m2
-
-
- 土地 2021.07.10
-
-
- 329万円
-
宇都宮市立伏町
-
関東バス「グリーンタウン」徒歩まで徒歩4分
- 197.92m2
-
-
- 土地 2022.01.21
-
-
- 256万円
-
宇都宮市上田原町
-
関東バス『太陽ヶ丘団地入口』徒歩まで徒歩7分
- 169.00m2
-
-
- 土地 2022.01.21
-
-
- 256万円
-
宇都宮市上田原町
-
関東バス『太陽ヶ丘団地入口』徒歩まで徒歩7分
- 169.00m2
-
-
- 土地 2022.01.21
-
-
- 329万円
-
宇都宮市立伏町
-
関東バス「グリーンタウン」徒歩まで徒歩4分
- 197.92m2
-
-
- 土地 2022.04.17
-
-
- 200万円
-
宇都宮市新里町
-
関東バス藤本まで徒歩4分
- 200.00m2
-
-
- 土地 2022.06.07
-
-
- 280万円
-
宇都宮市山本2丁目
-
関東バス【ゆたか団地】 徒歩まで徒歩3分
- 135.00m2
-
-
- 土地 2022.06.10
-
-
- 280万円
-
宇都宮市山本2丁目
-
関東バス【ゆたか団地】 徒歩まで徒歩3分
- 135.00m2
-
-
- 土地 2022.06.30
-
-
- 150万円
-
宇都宮市上戸祭町
-
関東バス【上戸祭小入口】 徒歩まで徒歩3分
- 166.01m2
-
-
- 土地 2022.07.01
-
-
- 150万円
-
宇都宮市上戸祭町
-
関東バス【上戸祭小入口】 徒歩まで徒歩3分
- 166.01m2
-
-
- 土地 2022.07.28
-
-
- 300万円
-
宇都宮市駒生町
-
関東バス西の宮自治会館停 まで徒歩3分
- 264.00m2
-
-
- 土地 2022.07.29
-
-
- 300万円
-
宇都宮市駒生町
-
関東バス『西の宮自治会館停』徒歩まで徒歩3分
- 264.00m2
-
-
- 土地 2022.09.10
-
-
- 215万円
-
宇都宮市松風台
-
松風台まで徒歩3分
- 157.88m2
-
-
- 土地 2022.11.10
-
-
- 320万円
-
宇都宮市下小池町
-
関東バス篠井小学校前停 徒歩まで徒歩4分
- 433.00m2
-
-
- 土地 2022.11.10
-
-
- 320万円
-
宇都宮市下小池町
-
関東バス篠井小学校前停 徒歩まで徒歩4分
- 433.00m2
-
-
- 土地 2023.06.09
-
-
- 216万円
-
宇都宮市松風台
-
旧ユッピー【松風台】 まで徒歩3分
- 172.81m2
-
-
- 土地 2023.06.10
-
-
- 216万円
-
宇都宮市松風台
-
旧ユッピー【松風台】 まで徒歩3分
- 172.81m2
-
-
- 土地 2023.07.14
-
-
- 210万円
-
宇都宮市氷室町
-
関東バス芳賀中妻まで徒歩12分
- 693.00m2
-
-
- 土地 2023.07.16
-
-
- 210万円
-
宇都宮市氷室町
-
関東バス芳賀中妻まで徒歩12分
- 693.00m2
-
-
- 土地 2023.12.23
-
-
- 250万円
-
宇都宮市上金井町
-
JR東北本線「岡本駅」まで徒歩134分
- 247.00m2
-
-
- 土地 2023.12.25
-
-
- 250万円
-
宇都宮市上金井町
-
JR東北本線「岡本駅」まで徒歩134分
- 247.00m2
-
-
- 土地 2024.04.05
-
-
- 250万円
-
宇都宮市松風台
-
JR東北本線「氏家駅」バス乗車18分 バス停「旧ユッピー松風台」まで徒歩3分
- 158.76m2
-
-
- 土地 2024.04.11
-
-
- 250万円
-
宇都宮市松風台
-
JR東北本線「氏家駅」バス乗車18分 バス停「旧ユッピー松風台」まで徒歩3分
- 158.76m2
-
-
- 土地 2024.05.11
-
-
- 280万円
-
宇都宮市松風台
-
JR東北本線「氏家駅」バス乗車22分 バス停「松風台」まで徒歩5分
- 165.35m2
-
-
- 土地 2024.05.11
-
-
- 280万円
-
宇都宮市松風台
-
JR東北本線「氏家駅」バス乗車22分 バス停「松風台」まで徒歩5分
- 165.35m2
-
-
- 土地 2024.06.07
-
-
- 350万円
-
宇都宮市冬室町
-
バス停関白まで徒歩11分
- 497.07m2
-
-
- 土地 2024.06.08
-
-
- 350万円
-
宇都宮市冬室町
-
バス停関白まで徒歩11分
- 497.07m2
-
-
- 土地 2024.08.09
-
-
- 210万円
-
宇都宮市松風台
-
JR東北本線「氏家駅」バス乗車21分 バス停「旧ユッピー【松風台】」まで徒歩3分
- 168.08m2
-
-
- 土地 2024.08.11
-
-
- 210万円
-
宇都宮市松風台
-
JR東北本線「氏家駅」バス乗車21分 バス停「旧ユッピー【松風台】」まで徒歩3分
- 168.08m2
-
-
- 土地 2024.10.26
-
-
- 250万円
-
宇都宮市石井町
-
宇都宮芳賀ライト線「宇都宮大学陽東キャンパス駅」まで徒歩20分
- 330.87m2
-
-
- 土地 2024.12.07
-
-
- 300万円
-
宇都宮市鐺山町
-
宇都宮芳賀ライト線「清陵高校前駅」まで徒歩17分
- 232.49m2
-
-
- 土地 2024.12.20
-
-
- 320万円
-
宇都宮市下小池町
-
関東バス篠井小学校前まで徒歩4分
- 433.00m2
-
-
- 土地 2024.12.21
-
-
- 280万円
-
宇都宮市西刑部町
-
JR東北本線「雀宮駅」まで徒歩77分
- 39.25m2
-
-
- 土地 2025.03.07
-
-
- 200万円
-
宇都宮市松風台
-
JR東北本線「氏家駅」バス乗車25分 バス停「松風台」まで徒歩1分
- 204.66m2
-
-
- 土地 2025.04.19
-
-
- 350万円
-
宇都宮市長岡町
-
JR東北本線「宇都宮駅」まで車17分
- 991.00m2
-
-
- 土地 2025.04.20
-
-
- 350万円
-
宇都宮市長岡町
-
JR東北本線「宇都宮駅」まで車17分
- 991.00m2
-
-
- 土地 2025.05.15
-
-
- 330万円
-
宇都宮市福岡町
-
東武宇都宮線「東武宇都宮駅」まで車30分
- 332.61m2
-
-
- 土地 2025.05.16
-
-
- 330万円
-
宇都宮市福岡町
-
東武宇都宮線「東武宇都宮駅」まで車30分
- 332.61m2
-
-
- 土地 2025.06.20
-
-
- 200万円
-
宇都宮市竹下町
-
宇都宮芳賀ライト線「飛山城跡駅」まで徒歩14分
- 145.80m2
-
-
- 土地 2025.07.05
-
-
- 300万円
-
宇都宮市山本1丁目
-
JR東北本線「宇都宮駅」まで車14分
- 256.00m2
-
-
- 土地 2025.07.07
-
-
- 216万円
-
宇都宮市松風台
-
JR東北本線「宇都宮駅」バス乗車45分 バス停「松風台」まで徒歩3分
- 172.81m2
-
-
- 土地 2025.07.26
-
-
- 300万円
-
宇都宮市駒生町
-
東武宇都宮線「東武宇都宮駅」まで車16分
- 136.39m2
-
-
- 土地 2025.09.23
-
-
- 280万円
-
宇都宮市山本2丁目
-
東武宇都宮線「東武宇都宮駅」まで車12分
- 135.00m2
-
-
- 土地 2025.10.14
-
-
- 200万円
-
宇都宮市宝木本町
-
関東バス若竹の杜若山農場まで徒歩8分
- 167.00m2
-
-
- 土地 2025.10.24
-
-
- 330万円
-
宇都宮市福岡町
-
JR日光線「鹿沼駅」まで徒歩48分
- 332.61m2
-
-
- 土地 2025.12.11
-
-
- 170万円
-
宇都宮市松風台
-
バス停『西小学校前』 徒歩まで徒歩9分
- 191.21m2
-
-
-
土地
2025.12.18
-
-
- 210万円
-
宇都宮市松風台
-
JR東北本線「氏家駅」バス乗車21分 バス停「旧ユッピー松風台」まで徒歩3分
- 168.08m2
-
-
土地
2025.12.18
-
-
土地
2026.01.06
-
-
- 300万円
-
宇都宮市駒生町
-
関東バス西の宮自治会館まで徒歩3分
- 264.00m2
-
-
土地
2026.01.06
- 栃木県
マイページ物件数 - 6,938件
最近見た物件
-
-

-
- 土地
- 720万円
-
南津軽郡藤崎町大字西豊田1丁目
-
JR五能線藤崎
-
-
-

-
- 土地
- 450万円
-
鹿児島市田上4丁目
-
JR日豊本線鹿児島中央
-
-
-

-
- 土地
- 1,180万円
-
白山市山島台2丁目
-
山島台1丁目バス停
-
栃木県土地新着物件
-
-

-
- 土地
- 1,130万円
-
宇都宮市中戸祭1丁目
-
東武宇都宮線東武宇都宮駅
-
-
-

-
- 土地
- 1,130万円
-
宇都宮市中戸祭1丁目
-
東武宇都宮線東武宇都宮駅
-
-
-

-
- 土地
- 850万円
-
宇都宮市宝木町2丁目
-
東武宇都宮線東武宇都宮駅
-
-
-

-
- 土地
- 1,130万円
-
宇都宮市中戸祭1丁目
-
東武宇都宮線東武宇都宮駅
-
-
-

-
- 土地
- 1,250万円
-
宇都宮市鐺山町
-
宇都宮芳賀ライト線飛山城跡駅
-
-
-

-
- 土地
- 1,130万円
-
宇都宮市中戸祭1丁目
-
東武宇都宮線東武宇都宮駅
-
-
-

-
- 土地
- 700万円
-
宇都宮市西川田7丁目
-
東武宇都宮線西川田駅
-
- お近くの店舗を探す
-
おすすめ物件
-
-

-
- 土地
- 851万円
-
宇都宮市江曽島1丁目
-
東武宇都宮線江曾島
-
-
-

-
- 土地
- 810万円
-
宇都宮市鶴田町
-
JR東北本線宇都宮
-
-
-

-
- 土地
- 680万円
-
宇都宮市上戸祭町
-
関東バス文星大学前
-
-
-

-
- 土地
- 750万円
-
河内郡上三川町大字西汗
-
関東バス【ゆうがお公園】
-
-
-

-
- 土地
- 2,200万円
-
宇都宮市上戸祭町
-
東武宇都宮線東武宇都宮
-
-
-

-
- 土地
- 1億1,700万円
-
宇都宮市下栗1丁目
-
湘南新宿ライン宇須宇都宮
-
-
-

-
- 土地
- 1億5,000万円
-
那須塩原市新町
-
JR東北本線黒磯
-
-
-

-
- 土地
- 1,560万円
-
宇都宮市駒生町
-
東武宇都宮線東武宇都宮
-
-
-

-
- 土地
- 3,500万円
-
宇都宮市東簗瀬1丁目
-
JR東北本線宇都宮
-
-
-

-
- 土地
- 1,200万円
-
宇都宮市新富町
-
湘南新宿ライン宇須雀宮
-


