松戸市東平賀の土地
掲載情報更新日:2026年03月12日 次回更新予定日:2026年03月26日
- 3,600万円
-
- 借入ご希望金額
万円 - 借入期間
年 - 借入金利
% - 月々のお支払い金額
円
- 借入ご希望金額
※ 月々のお支払例は目安の試算となりますので、実際の金額とは異なる場合がございます。詳しくは店舗までお問合わせください。
- 松戸市東平賀
-
JR千代田・常磐緩行線『北小金』 徒歩9分 (約700m)
松戸市東平賀土地 | 物件情報
◆北小金駅徒歩9分! ◆小金小まで徒歩10分! ◆閑静な住宅街◎ ◆建築条件なし!
◆北小金駅徒歩9分! ◆小金小まで徒歩10分! ◆閑静な住宅街◎ ◆建築条件なし!
物件の設備
- 公営水道
- 公共下水
物件の特徴
- 小学校徒歩10分以内
- スーパーが近い
- 閑静な住宅街
- 市街地が近い
- 更地渡
- 建築条件無
物件詳細情報
| 価格 | 3,600万円 | 坪単価 | 坪119.5万円 |
|---|---|---|---|
| 物件種別 | 土地 | ||
| 所在地 | 千葉県松戸市東平賀 | ||
| アクセス |
|
||
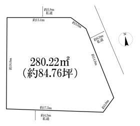
| 土地面積 | 99.61㎡(30.13坪) | 接道 | 西側(公道)幅 約4.1m |
| 私道 | セットバック | ||
| 最適用途 | 住宅用地 | 造成完了時期 | |
| 地目 | 宅地 | 地勢 | |
| 権利 | 所有権 |
||
| 都市計画 | 市街化区域 |
用途地域 | 1種住居 |
| 建ぺい/容積率 | 60% / 200% | 土地国土法 | |
| 許可番号 | 建築基準法 | ||
| 法令制限 | 都市再生特別措置法・高度地区1種 | ||
| 小学区 | 小金小学校 徒歩10分 (約800m) | 中学区 | 小金南中学校 徒歩19分 (約1500m) |
| 現況 | 更地 | 引渡 | 相談(更地渡し) |
| 建築条件 | 建築条件なし | ||
| その他費用 | |||
| 周辺環境 | 北小金駅 徒歩9分 (約700m) 松戸市立小金小学校 徒歩10分 (約800m) 松戸市立小金南中学校 徒歩19分 (約1500m) |
||
| 備考 | ◆北小金駅徒歩9分! ◆小金小まで徒歩10分! ◆閑静な住宅街◎ ◆建築条件なし! | ||
| 物件番号 | 4563255 | 取引態様 | 媒介 |
取扱店舗情報
| 電話番号 | 047-710-7935 |
|---|---|
| 所在地 | 〒271-0065 千葉県松戸市南花島1丁目7-6 |
| 営業時間 | 10:00~18:00 |
| 定休日 | 水曜日 |
| 宅建免許番号 | 国土交通大臣(2)第9365号 |
| アクセス | 店舗への地図はこちら |

来店ご予約
千葉県松戸市で価格が似ている物件はこちら
- 千葉県
マイページ物件数 - 2,075件
千葉県土地新着物件
- お近くの店舗を探す
-




















担当エージェント:佐藤 洋平
【家を買うならハウスドゥ 松戸中央!へ】
【松戸市は子育て世帯にやさしい!】
■共働き子育てしやすい街2年連続1位!
■待機児童9年連続ゼロ!
◆物件のご見学、詳細を知りたい
◆住宅ローンのご相談
など、少しでも気になると思ったら
お気軽にフリーダイヤル【0800-800-7935】までお問い合わせ下さい!