倉敷市吉岡の土地
NEW 04.11掲載情報更新日:2026年04月11日 次回更新予定日:2026年04月25日
- 5,500万円
-
- 借入ご希望金額
万円 - 借入期間
年 - 借入金利
% - 月々のお支払い金額
円
- 借入ご希望金額
※ 月々のお支払例は目安の試算となりますので、実際の金額とは異なる場合がございます。詳しくは店舗までお問合わせください。
- 倉敷市吉岡
-
JR山陽本線『倉敷』 徒歩50分 (約4000m)
倉敷市吉岡土地 | 物件情報
物件の設備
- 電気
- 上水道
- 下水道
- プロパンガス
物件の特徴
- 南側道路面す
- 建築条件無
物件詳細情報
| 価格 | 5,500万円 | 坪単価 | 坪23.7万円 |
|---|---|---|---|
| 物件種別 | 土地 | ||
| 所在地 | 岡山県倉敷市吉岡 | ||
| アクセス |
|
||
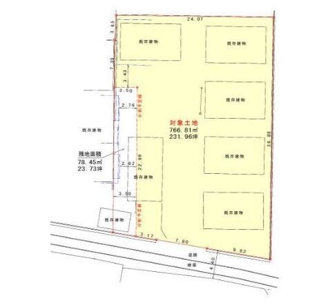
| 土地面積 | 実766.81㎡(231.96坪) | 接道 | 南側(公道)幅 約4.4m |
| 私道 | セットバック | ||
| 最適用途 | 造成完了時期 | ||
| 地目 | 宅地 | 地勢 | 平坦 |
| 権利 | 所有権 |
||
| 都市計画 | 市街化区域 |
用途地域 | 1種中高 |
| 建ぺい/容積率 | 60% / 200% | 土地国土法 | |
| 許可番号 | 建築基準法 | ||
| 法令制限 | |||
| 小学区 | 葦高小学校 徒歩9分 (約670m) | 中学区 | 新田中学校 徒歩13分 (約1000m) |
| 現況 | 古家付 | 引渡 | 相談(現況渡し) |
| 建築条件 | 建築条件なし | ||
| その他費用 | |||
| 周辺環境 | 倉敷市立葦高小学校 徒歩11分 (約870m) 倉敷市立新田中学校 徒歩13分 (約990m) 倉敷市立葦高幼稚園 徒歩13分 (約1010m) ファミリーマート倉敷笹沖店 徒歩11分 (約830m) 天満屋ハピーズ 倉敷笹沖店 徒歩4分 (約300m) ザグザグ 笹沖店 徒歩14分 (約1050m) ニトリ倉敷店 徒歩28分 (約2190m) 倉敷成人病センター 徒歩34分 (約2670m) 倉敷笹沖郵便局 徒歩9分 (約710m) トマト銀行 笹沖支店 徒歩10分 (約740m) |
||
| 備考 | ●実測清算有。敷地の一部に倉庫があり、それは売主で解体。その後分筆して引渡します(令和8年5月予定)。 ●売主様個人の為、土地・借家共、引渡後の契約不適合責任は免責でお願いします。 |
||
| 物件番号 | 4673777 | 取引態様 | 媒介 |
取扱店舗情報
ハウスドゥ 倉敷駅東 株式会社アールイープロジェクト 店舗詳細ページへ
| 電話番号 | 086-424-6400 |
|---|---|
| 所在地 | 〒710-0003 岡山県倉敷市平田681-4 |
| 営業時間 | 9:00~18:00 |
| 定休日 | 水曜日、年末年始 |
| 宅建免許番号 | 岡山県知事(2)第5855号 |
| アクセス | 店舗への地図はこちら |




















