調布市深大寺北町3丁目 新築戸建 2号棟
掲載情報更新日:2026年04月13日 次回更新予定日:2026年04月27日
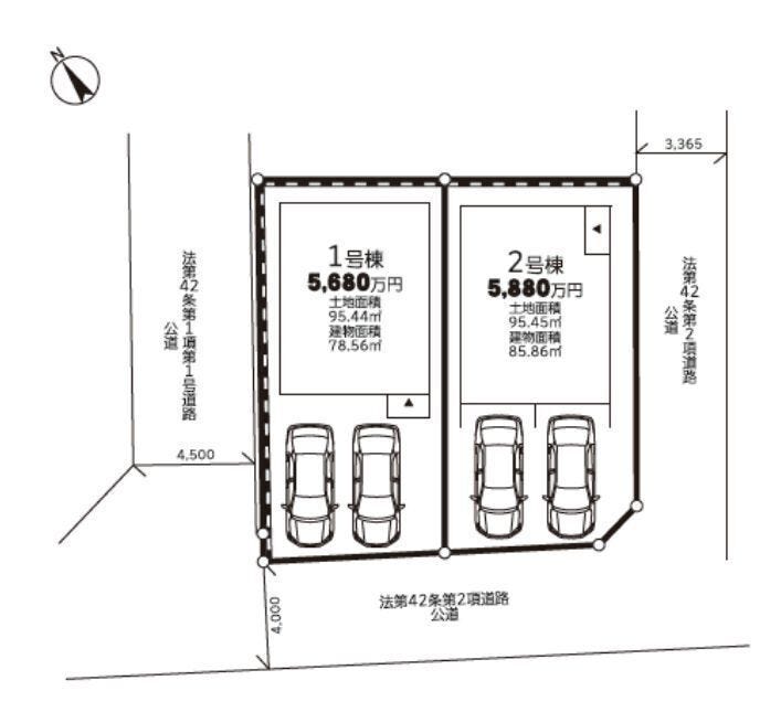
- 5,880万円
-
- 借入ご希望金額
万円 - 借入期間
年 - 借入金利
% - 月々のお支払い金額
円
- 借入ご希望金額
※ 月々のお支払例は目安の試算となりますので、実際の金額とは異なる場合がございます。詳しくは店舗までお問合わせください。
- 調布市深大寺北町3丁目
-
JR中央本線『三鷹』 バス乗車14分 山野 停 徒歩5分 (約400m)
京王線『調布』 バス乗車14分 山野 停 徒歩5分 (約400m)
調布市深大寺北町3丁目 新築戸建 2号棟一戸建て | 物件情報
■ゼッチ水準住宅♪人気の南東角地 ■2SLDK+カースペース2台駐車可能
《Access》
・JR線「三鷹駅」バス14分「山野停」歩5分
・京王線「調布駅」バス14分「山野停」歩5分
《Point》
・深大寺北町3丁目閑静立地に佇む全2棟
・カースペース2台分(車種による)
・人気の南東角地 日当たり・通風良好
・機能性を重視した間取り設計
・ゆとり広さのある約16.6帖のLDK空間
・各所収納+パントリー
・LDK3面採光&全居室2面採光
・不在時でも荷物を受け取れる便利な宅配ボックス
・EV用屋外コンセント
・朝時間短縮!ダブルボウル洗面
■お気軽にお問い合わせください♪
物件の設備
- 電気
- 公営水道
- 公共下水
- 都市ガス
- 給湯
- 食器洗浄乾燥機
- 食品庫
- コンロ三口
- グリル
- ガスコンロ付
- カウンターキッチン
- システムキッチン
- オープンキッチン
- バス
- オートバス
- 追焚機能
- 浴室暖房
- 浴室乾燥機
- 浴室に窓
- トイレ
- トイレ2箇所
- 温水洗浄便座
- 室内洗濯機置場
- 洗面所独立
- リビング階段
- 省エネ給湯器
- EV車充電設備
- モニタ付インターホン
- 火災警報器/報知機
- LDK15畳以上
- 2面採光
- 3面採光
- 全室2面採光
- 複層ガラス
- 全居室複層ガラス
- フローリング
- 全室フローリング
- シャッター雨戸
- 24時間換気システム
- クローゼット
- クローゼット3箇所
- 納戸
- 床下収納
- 全居室収納
- シューズボックス
- 庭
- 宅配BOX
物件の特徴
- 南向
- 地盤調査済
- 耐震構造
- 2沿線利用可
- 小学校徒歩10分以内
- 南側道路面す
- 緑豊かな住宅地
- 閑静な住宅街
- 周辺交通量少なめ
- 都市近郊
- 眺望良好
- 通風良好
- 陽当り良好
- 2階建
- 前面棟無
- 角地
- 平坦地
- 整形地
- フラット35Sに対応
物件詳細情報
| 価格 | 5,880万円 | 間取り | 2LDK+S |
|---|---|---|---|
| 物件種別 | 新築一戸建て | ||
| 所在地 | 東京都調布市深大寺北町3丁目 2号棟 | ||
| アクセス |
|
||
| 建物面積 | 実85.86㎡ | 駐車場 | あり 普通:2台 |
| 築年月 | 2026年(令和8年)02月築 | 建築確認 | 第25UDI1K建00763号 |
| 建物構造 | 木造 2階建 | 工法 | |
| 主要採光 | 南向 | バルコニー | |
| 保証・評価 | |||
| 土地面積 | 実95.45㎡(28.87坪) | 接道 | 南側(公道)幅 約4.0m 間口 約6.70m 東側(公道)幅 約3.3m 間口 約12.00m |
| 私道 | セットバック | ||
| 地目 | 宅地 | 地勢 | 平坦 |
| 権利 | 所有権 |
||
| 都市計画 | 市街化区域 |
用途地域 | 1種低層 |
| 建ぺい/容積率 | 40% / 80% | 土地国土法 | |
| 許可番号 | 建築基準法 | ||
| 法令制限 | |||
| 小学区 | 北ノ台小学校 徒歩5分 (約380m) | 中学区 | 神代中学校 徒歩31分 (約2480m) |
| 現況 | 完工済 | 引渡 | 期日指定:2026年04月末 |
| その他費用 | |||
| 周辺環境 | 深大寺保育園 徒歩2分 (約100m) 調布市立北ノ台小学校 徒歩5分 (約380m) 山野公園 徒歩6分 (約470m) 業務スーパー深大寺東町店 徒歩12分 (約920m) 調布市立神代中学校 徒歩31分 (約2480m) |
||
| 備考 | |||
| 物件番号 | 4621580 | 取引態様 | 媒介 |
取扱店舗情報
ハウスドゥ 千歳船橋 R2-CONNECT株式会社 店舗詳細ページへ
| 電話番号 | 03-5799-7621 |
|---|---|
| 所在地 | 〒156-0054 東京都世田谷区桜丘5丁目47-19 |
| 営業時間 | 9:00~19:00 |
| 定休日 | 火曜日、水曜日 |
| 宅建免許番号 | 東京都知事(1)第107079号 |
| アクセス | 店舗への地図はこちら |

来店ご予約
東京都調布市で価格が似ている物件はこちら
- 東京都
マイページ物件数 - 5,936件
最近見た物件
-
-

-
- 新築一戸建て
- 4,080万円
-
大分市光吉台1丁目
-
JR豊肥本線敷戸
-
-
-

-
- 収益
- 2,380万円
-
京都市中京区聚楽廻東町
-
JR山陰本線二条
-
-
-

-
- 新築一戸建て
- 4,198万円
-
北九州市小倉北区三郎丸3丁目
-
北九州高速鉄道片野
-
東京都新築一戸建て新着物件
- お近くの店舗を探す
-
おすすめ物件
-
-

-
- 新築一戸建て
- 5,399万円
-
日野市多摩平3丁目
-
JR中央本線豊田
-
-
-

-
- 新築一戸建て
- 5,599万円
-
日野市多摩平3丁目
-
JR中央本線豊田
-
-
-

-
- 新築一戸建て
- 6,960万円
-
足立区南花畑1丁目
-
つくばエクスプレス六町
-
-
-

-
- 新築一戸建て
- 6,199万円
-
調布市深大寺東町4丁目
-
京王線つつじヶ丘
-
-
-

-
- 新築一戸建て
- 3,580万円
-
八王子市犬目町
-
JR中央本線八王子
-
-
-

-
- 新築一戸建て
- 1億980万円
-
練馬区東大泉3丁目
-
西武池袋・豊島線大泉学園
-
-
-

-
- 新築一戸建て
- 8,799万円
-
練馬区東大泉7丁目
-
西武池袋・豊島線大泉学園
-
-
-

-
- 新築一戸建て
- 1億3,950万円
-
世田谷区砧7丁目
-
小田急小田原線祖師ヶ谷大蔵
-
-
-

-
- 新築一戸建て
- 6,199万円
-
調布市深大寺東町4丁目
-
京王線つつじヶ丘
-
-
-

-
- 新築一戸建て
- 4,999万円
-
八王子市子安町1丁目
-
JR中央本線八王子
-

































即対応いたします!
物件、資金計画、周辺環境もご案内させて頂きます。
資料請求、ご見学お気軽にお問合せください。