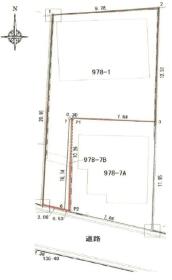
相模原市中央区上溝の土地
掲載情報更新日:2026年03月05日 次回更新予定日:2026年03月19日
- 1,780万円
-
- 借入ご希望金額
万円 - 借入期間
年 - 借入金利
% - 月々のお支払い金額
円
- 借入ご希望金額
※ 月々のお支払例は目安の試算となりますので、実際の金額とは異なる場合がございます。詳しくは店舗までお問合わせください。
- 相模原市中央区上溝
-
JR相模線『番田』 徒歩12分 (約960m)
JR相模線『上溝』 徒歩16分 (約1280m)
上溝 全9区画 | 分譲区画
神奈川県相模原市中央区で価格が似ている物件はこちら
- 神奈川県
マイページ物件数 - 3,118件
神奈川県土地新着物件
-
-

-
- 土地
- 380万円
-
愛甲郡愛川町半原
-
小田急小田原線本厚木駅
-
-
-

-
- 土地
- 2,050万円
-
厚木市及川
-
小田急小田原線本厚木駅
-
-
-

-
- 土地
- 2,150万円
-
海老名市上今泉4丁目
-
小田急小田原線座間駅
-
-
-

-
- 土地
- 890万円
-
愛甲郡愛川町中津
-
小田急小田原線本厚木駅
-
-
-

-
- 土地
- 3,800万円
-
海老名市国分南3丁目
-
小田急小田原線海老名駅
-
-
-

-
- 土地
- 1,680万円
-
厚木市下川入
-
小田急小田原線本厚木駅
-
-
-

-
- 土地
- 1,680万円
-
厚木市下川入
-
小田急小田原線本厚木駅
-
- お近くの店舗を探す
-














