宇都宮市細谷町の土地
掲載情報更新日:2026年04月09日 次回更新予定日:2026年04月23日
- 1,300万円
-
- 借入ご希望金額
万円 - 借入期間
年 - 借入金利
% - 月々のお支払い金額
円
- 借入ご希望金額
※ 月々のお支払例は目安の試算となりますので、実際の金額とは異なる場合がございます。詳しくは店舗までお問合わせください。
- 宇都宮市細谷町
-
東武宇都宮線『東武宇都宮』 車21分(約6.2km)
宇都宮市細谷町土地 | 物件情報
物件の特徴
- 即引渡可
- 建築条件無
物件詳細情報
| 価格 | 1,300万円 | 坪単価 | 坪14.8万円 |
|---|---|---|---|
| 物件種別 | 土地 | ||
| 所在地 | 栃木県宇都宮市細谷町 | ||
| アクセス |
|
||
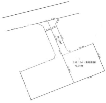
| 土地面積 | 公290㎡(87.72坪) | 接道 | |
| 私道 | セットバック | ||
| 最適用途 | 住宅用地 | 造成完了時期 | |
| 地目 | 山林 | 地勢 | |
| 権利 | 所有権 |
||
| 都市計画 | 市街化区域 |
用途地域 | 1種低層 |
| 建ぺい/容積率 | 40% / 60% | 土地国土法 | |
| 許可番号 | 建築基準法 | ||
| 法令制限 | |||
| 小学区 | 細谷小学校 徒歩9分 (約660m) | 中学区 | 宝木中学校 徒歩10分 (約800m) |
| 現況 | 更地 | 引渡 | 即(現況渡し) |
| 建築条件 | 建築条件なし | ||
| その他費用 | |||
| 周辺環境 | 宇都宮細谷小学校 徒歩8分 (約640m) 宝木中学校 徒歩10分 (約780m) とりせん細谷店 徒歩9分 (約720m) ドラッグストアマツモトキヨシ宇都宮細谷店 徒歩9分 (約720m) |
||
| 備考 | |||
| 物件番号 | 4532300 | 取引態様 | 媒介 |
取扱店舗情報
ハウスドゥ 中戸祭 株式会社ケイズ・ネクスト 店舗詳細ページへ
| 電話番号 | 028-680-4339 |
|---|---|
| 所在地 | 〒320-0052 栃木県宇都宮市中戸祭町867-3 イステートハイツ中戸祭 |
| 営業時間 | 9:00~18:00 |
| 定休日 | 水曜日・夏休暇・GW・年末年始 |
| 宅建免許番号 | 栃木県知事(1)第5469号 |
| アクセス | 店舗への地図はこちら |

来店ご予約
栃木県宇都宮市で価格が似ている物件はこちら
![]()
![]()
-
- 土地 2016.06.26
-
-
- 1,400万円
-
宇都宮市上戸祭1丁目
-
関東バス『若草町』まで徒歩4分
- 330.57m2
-
-
- 土地 2019.03.31
-
-
- 1,200万円
-
宇都宮市宝木本町
-
バス停「仁良塚」徒歩まで徒歩6分
- 1240.00m2
-
-
- 土地 2020.10.23
-
-
- 1,380万円
-
宇都宮市野沢町
-
バス停 『野沢寺前』徒歩まで徒歩4分
- 354.00m2
-
-
- 土地 2021.05.15
-
-
- 1,380万円
-
宇都宮市道場宿町
-
JRバスバス停「道場宿局前」まで徒歩1分
- 324.59m2
-
-
- 土地 2021.06.25
-
-
- 1,200万円
-
宇都宮市針ヶ谷町
-
東武宇都宮線「安塚駅」まで徒歩16分
- 714.00m2
-
-
- 土地 2022.05.31
-
-
- 1,350万円
-
宇都宮市平松本町
-
JR東北本線「宇都宮駅」まで徒歩28分
- 158.56m2
-
-
- 土地 2023.02.02
-
-
- 1,400万円
-
宇都宮市白沢町
-
JR東北本線「岡本駅」まで徒歩35分
- 552.00m2
-
-
- 土地 2023.04.16
-
-
- 1,300万円
-
宇都宮市中里町
-
旧ユッピー中里バス停まで徒歩5分
- 548.08m2
-
-
- 土地 2023.04.20
-
-
- 1,200万円
-
宇都宮市双葉2丁目
-
東武宇都宮線「江曾島駅」まで徒歩5分
- 133.39m2
-
-
- 土地 2023.06.05
-
-
- 1,390万円
-
宇都宮市中岡本町
-
JR東北本線「岡本駅」まで徒歩18分
- 244.28m2
-
-
- 土地 2023.08.22
-
-
- 1,350万円
-
宇都宮市平松本町
-
JR東北新幹線「宇都宮駅」まで徒歩28分
- 158.56m2
-
-
- 土地 2023.11.04
-
-
- 1,300万円
-
宇都宮市緑3丁目
-
東武宇都宮線「西川田駅」まで徒歩20分
- 258.08m2
-
-
- 土地 2023.11.30
-
-
- 1,340万円
-
宇都宮市川田町
-
東武宇都宮線「江曾島駅」まで徒歩34分
- 195.56m2
-
-
- 土地 2024.01.07
-
-
- 1,280万円
-
宇都宮市若草5丁目
-
東武宇都宮線「東武宇都宮駅」まで徒歩56分
- 199.19m2
-
-
- 土地 2024.05.20
-
-
- 1,200万円
-
宇都宮市新富町
-
湘南新宿ライン宇須「雀宮駅」まで徒歩16分
- 172.56m2
-
-
- 土地 2024.06.07
-
-
- 1,390万円
-
宇都宮市冬室町
-
バス停関白まで徒歩5分
- 1421.48m2
-
-
- 土地 2024.08.03
-
-
- 1,280万円
-
宇都宮市岩曽町
-
JR烏山線「岡本駅」まで徒歩39分
- 198.49m2
-
-
- 土地 2024.10.22
-
-
- 1,400万円
-
宇都宮市鶴田町
-
JR日光線「鶴田駅」まで徒歩6分
- 263.47m2
-
-
- 土地 2024.12.14
-
-
- 1,290万円
-
宇都宮市御幸本町
-
宇都宮芳賀ライト線「陽東3丁目駅」まで徒歩33分
- 165.71m2
-
-
- 土地 2024.12.16
-
-
- 1,400万円
-
宇都宮市戸祭町
-
東武宇都宮線「東武宇都宮駅」まで徒歩33分
- 385.22m2
-
-
- 土地 2024.12.20
-
-
- 1,400万円
-
宇都宮市上戸祭1丁目
-
JR東北本線「宇都宮駅」バス乗車20分 バス停「若草町」まで徒歩4分
- 330.57m2
-
-
- 土地 2025.02.23
-
-
- 1,240万円
-
宇都宮市台新田町
-
JR東北本線「雀宮駅」まで徒歩39分
- 185.21m2
-
-
- 土地 2025.03.02
-
-
- 1,230万円
-
宇都宮市山本1丁目
-
関東バス山本まで徒歩6分
- 220.26m2
-
-
- 土地 2025.03.06
-
-
- 1,200万円
-
宇都宮市若草4丁目
-
東武宇都宮線「東武宇都宮駅」まで徒歩49分
- 157.70m2
-
-
- 土地 2025.03.13
-
-
- 1,230万円
-
宇都宮市山本1丁目
-
湘南新宿ライン宇須「宇都宮駅」まで徒歩43分
- 220.26m2
-
-
- 土地 2025.03.15
-
-
- 1,300万円
-
宇都宮市御幸本町
-
JR東北本線「岡本駅」まで徒歩45分
- 161.16m2
-
-
- 土地 2025.03.21
-
-
- 1,222万円
-
宇都宮市兵庫塚3丁目
-
JR東北本線「雀宮駅」まで徒歩25分
- 202.00m2
-
-
- 土地 2025.04.08
-
-
- 1,228.90万円
-
宇都宮市兵庫塚3丁目
-
JR東北本線「雀宮駅」まで徒歩27分
- 184.68m2
-
-
- 土地 2025.04.10
-
-
- 1,248万円
-
宇都宮市鶴田町
-
東武宇都宮線「東武宇都宮駅」まで徒歩26分
- 206.34m2
-
-
- 土地 2025.04.12
-
-
- 1,400万円
-
宇都宮市道場宿町
-
宇都宮芳賀ライト線「ゆいの杜西駅」まで徒歩16分
- 647.39m2
-
-
- 土地 2025.04.21
-
-
- 1,380万円
-
宇都宮市新里町
-
関東バス新里町まで徒歩8分
- 747.13m2
-
-
- 土地 2025.04.22
-
-
- 1,228万円
-
宇都宮市兵庫塚3丁目
-
JR東北本線「雀宮駅」まで徒歩30分
- 184.68m2
-
-
- 土地 2025.05.01
-
-
- 1,280万円
-
宇都宮市下荒針町
-
関東バス長坂坂上まで徒歩4分
- 458.55m2
-
-
- 土地 2025.05.09
-
-
- 1,400万円
-
宇都宮市戸祭台
-
東武宇都宮線「東武宇都宮駅」まで車13分
- 231.00m2
-
-
- 土地 2025.05.12
-
-
- 1,200万円
-
宇都宮市細谷町
-
東武宇都宮線「東武宇都宮駅」まで徒歩76分
- 378.65m2
-
-
- 土地 2025.06.14
-
-
- 1,350万円
-
宇都宮市宝木本町
-
東武宇都宮線「東武宇都宮駅」まで徒歩85分
- 275.74m2
-
-
- 土地 2025.06.21
-
-
- 1,400万円
-
宇都宮市西の宮1丁目
-
東武宇都宮線「東武宇都宮駅」バス乗車20分 バス停「関東バス中丸公園」まで徒歩16分
- 269.00m2
-
-
- 土地 2025.07.04
-
-
- 1,290万円
-
宇都宮市南町
-
JR東北本線「雀宮駅」バス乗車7分 バス停「南町自治会館」まで徒歩2分
- 252.83m2
-
-
- 土地 2025.07.04
-
-
- 1,350万円
-
宇都宮市戸祭町
-
東武宇都宮線「東武宇都宮駅」まで徒歩31分
- 385.22m2
-
-
- 土地 2025.07.13
-
-
- 1,200万円
-
宇都宮市鶴田町
-
東武宇都宮線「東武宇都宮駅」まで車10分
- 220.52m2
-
-
- 土地 2025.07.15
-
-
- 1,285万円
-
宇都宮市上戸祭町
-
東武宇都宮線「東武宇都宮駅」まで徒歩59分
- 184.81m2
-
-
- 土地 2025.07.17
-
-
- 1,400万円
-
宇都宮市滝の原3丁目
-
JR日光線「鶴田駅」まで徒歩15分
- 270.66m2
-
-
- 土地 2025.08.05
-
-
- 1,250万円
-
宇都宮市宝木本町
-
東武宇都宮線「東武宇都宮駅」まで車18分
- 324.00m2
-
-
- 土地 2025.08.11
-
-
- 1,220万円
-
宇都宮市双葉2丁目
-
東武宇都宮線「江曾島駅」まで徒歩5分
- 161.21m2
-
-
- 土地 2025.08.11
-
-
- 1,230万円
-
宇都宮市山本1丁目
-
JR東北本線「宇都宮駅」まで車15分
- 220.26m2
-
-
- 土地 2025.09.01
-
-
- 1,200万円
-
宇都宮市宮原3丁目
-
東武宇都宮線「南宇都宮駅」まで徒歩10分
- 221.04m2
-
-
- 土地 2025.09.01
-
-
- 1,280万円
-
宇都宮市鶴田町
-
東武宇都宮線「東武宇都宮駅」まで徒歩28分
- 170.00m2
-
-
- 土地 2025.09.06
-
-
- 1,200万円
-
宇都宮市若草5丁目
-
東武宇都宮線「東武宇都宮駅」まで車15分
- 198.37m2
-
-
- 土地 2025.09.06
-
-
- 1,280万円
-
宇都宮市若草5丁目
-
東武宇都宮線「東武宇都宮駅」まで車15分
- 199.19m2
-
-
- 土地 2025.09.12
-
-
- 1,340万円
-
宇都宮市川田町
-
東武宇都宮線「江曾島駅」まで徒歩24分
- 195.56m2
-
-
- 土地 2025.09.19
-
-
- 1,300万円
-
宇都宮市星が丘1丁目
-
東武宇都宮線「東武宇都宮駅」まで徒歩18分
- 137.00m2
-
-
- 土地 2025.09.19
-
-
- 1,300万円
-
宇都宮市星が丘1丁目
-
東武宇都宮線「東武宇都宮駅」まで徒歩17分
- 137.00m2
-
-
- 土地 2025.10.02
-
-
- 1,390万円
-
宇都宮市野沢町
-
東武宇都宮線「東武宇都宮駅」まで車20分
- 194.43m2
-
-
- 土地 2025.10.13
-
-
- 1,200万円
-
宇都宮市竹林町
-
JR東北本線「宇都宮駅」まで徒歩33分
- 235.20m2
-
-
- 土地 2025.10.18
-
-
- 1,200万円
-
宇都宮市末広1丁目
-
JR東北本線「雀宮駅」まで徒歩18分
- 247.93m2
-
-
- 土地 2025.10.18
-
-
- 1,250万円
-
宇都宮市中岡本町
-
JR東北本線「岡本駅」まで徒歩25分
- 309.23m2
-
-
- 土地 2025.10.18
-
-
- 1,350万円
-
宇都宮市中岡本町
-
JR東北本線「岡本駅」まで徒歩25分
- 332.56m2
-
-
- 土地 2025.10.18
-
-
- 1,390万円
-
宇都宮市中岡本町
-
JR東北本線「岡本駅」まで徒歩25分
- 348.09m2
-
-
- 土地 2025.10.20
-
-
- 1,400万円
-
宇都宮市上戸祭1丁目
-
東武宇都宮線「東武宇都宮駅」まで車11分
- 330.57m2
-
-
- 土地 2025.10.23
-
-
- 1,200万円
-
宇都宮市板戸町
-
JR東北本線「岡本駅」まで徒歩79分
- 495.00m2
-
-
- 土地 2025.10.26
-
-
- 1,260万円
-
宇都宮市西の宮2丁目
-
JR東北本線「宇都宮駅」バス乗車22分 バス停「関東バス【西の宮団地中央】」まで徒歩3分
- 240.69m2
-
-
- 土地 2025.10.27
-
-
- 1,300万円
-
宇都宮市中里町
-
旧ユッピー中里まで徒歩5分
- 548.08m2
-
-
- 土地 2025.11.01
-
-
- 1,300万円
-
宇都宮市陽南2丁目
-
JR東北本線「宇都宮駅」まで徒歩38分
- 189.75m2
-
-
- 土地 2025.11.03
-
-
- 1,200万円
-
宇都宮市鶴田町
-
JR日光線「鶴田駅」まで徒歩21分
- 223.86m2
-
-
- 土地 2025.11.08
-
-
- 1,260万円
-
宇都宮市西の宮2丁目
-
JR東北本線「宇都宮駅」バス乗車22分 バス停「関東バス西の宮団地中央」まで徒歩3分
- 240.69m2
-
-
- 土地 2025.11.10
-
-
- 1,280万円
-
宇都宮市鶴田町
-
東武宇都宮線「東武宇都宮駅」まで徒歩29分
- 149.43m2
-
-
- 土地 2025.11.10
-
-
- 1,280万円
-
宇都宮市宝木本町
-
JR東北本線「宇都宮駅」まで車27分
- 277.89m2
-
-
- 土地 2025.11.14
-
-
- 1,200万円
-
宇都宮市宝木本町
-
仁良塚まで徒歩6分
- 1240.00m2
-
-
- 土地 2025.11.21
-
-
- 1,380万円
-
宇都宮市新里町
-
関東バス新里町まで徒歩8分
- 747.13m2
-
-
- 土地 2025.12.09
-
-
- 1,280万円
-
宇都宮市東岡本町
-
JR東北本線「岡本駅」まで徒歩24分
- 215.75m2
-
-
- 土地 2025.12.12
-
-
- 1,280万円
-
宇都宮市下荒針町
-
関東バス長坂坂上まで徒歩4分
- 458.55m2
-
-
- 土地 2025.12.13
-
-
- 1,380万円
-
宇都宮市中岡本町
-
JR東北本線「岡本駅」まで徒歩17分
- 178.75m2
-
-
- 土地 2025.12.15
-
-
- 1,280万円
-
宇都宮市氷室町
-
JR東北本線「宇都宮駅」バス乗車33分 バス停「関東バス【氷室】」まで徒歩14分
- 491.76m2
-
-
- 土地 2025.12.19
-
-
- 1,398万円
-
宇都宮市鶴田町
-
JR日光線「鶴田駅」まで徒歩10分
- 170.18m2
-
-
- 土地 2025.12.19
-
-
- 1,330万円
-
宇都宮市宝木本町
-
JR東北本線「宇都宮駅」まで徒歩24分
- 239.66m2
-
-
- 土地 2025.12.27
-
-
- 1,300万円
-
宇都宮市中戸祭1丁目
-
JR東北本線「宇都宮駅」まで車19分
- 114.05m2
-
-
- 土地 2026.01.05
-
-
- 1,300万円
-
宇都宮市岩曽町
-
JR東北新幹線「宇都宮駅」まで車13分
- 476.00m2
-
-
- 土地 2026.01.09
-
-
- 1,400万円
-
宇都宮市西原1丁目
-
関東バス宇女高前まで徒歩3分
- 111.05m2
-
-
- 土地 2026.01.09
-
-
- 1,250万円
-
宇都宮市鐺山町
-
宇都宮芳賀ライト線「飛山城跡駅」まで車3分
- 398.08m2
-
-
- 土地 2026.01.15
-
-
- 1,250万円
-
宇都宮市鐺山町
-
宇都宮芳賀ライト線「飛山城跡駅」まで徒歩17分
- 398.08m2
-
-
- 土地 2026.01.15
-
-
- 1,300万円
-
宇都宮市岩曽町
-
JR東北本線「宇都宮駅」まで車13分
- 476.00m2
-
-
- 土地 2026.01.15
-
-
- 1,390万円
-
宇都宮市野沢町
-
東武宇都宮線「東武宇都宮駅」まで車17分
- 194.43m2
-
-
- 土地 2026.02.15
-
-
- 1,280万円
-
宇都宮市氷室町
-
JR東北本線「宇都宮駅」まで車25分
- 491.76m2
-
-
- 土地 2026.02.16
-
-
- 1,400万円
-
宇都宮市西原1丁目
-
東武宇都宮線「東武宇都宮駅」まで徒歩14分
- 111.05m2
-
-
- 土地 2026.02.26
-
-
- 1,280万円
-
宇都宮市宝木本町
-
JR東北本線「宇都宮駅」まで徒歩96分
- 198.63m2
-
-
- 土地 2026.03.01
-
-
- 1,390万円
-
宇都宮市野沢町
-
東武宇都宮線「東武宇都宮駅」まで徒歩83分
- 194.43m2
-
-
- 土地 2026.03.13
-
-
- 1,280万円
-
宇都宮市宝木本町
-
JR東北本線「宇都宮駅」まで車30分
- 198.63m2
-
-
- 土地 2026.03.14
-
-
- 1,340万円
-
宇都宮市清原台6丁目
-
関東バス6丁目公園前まで徒歩2分
- 272.35m2
-
-
-
土地
2026.04.04
-
-
- 1,300万円
-
宇都宮市砥上町
-
JR日光線「鶴田駅」まで徒歩18分
- 232.09m2
-
-
土地
2026.04.04
-
-
土地
2026.04.06
-
-
- 1,248万円
-
宇都宮市鶴田町
-
東武宇都宮線「東武宇都宮駅」まで車8分
- 206.34m2
-
-
土地
2026.04.06
-
-
土地
2026.04.17
-
-
- 1,280万円
-
宇都宮市鶴田町
-
東武宇都宮線「東武宇都宮駅」まで徒歩29分
- 149.43m2
-
-
土地
2026.04.17
- 栃木県
マイページ物件数 - 5,260件
最近見た物件
-
-

-
- 土地
- 780万円
-
相楽郡精華町大字下狛小字百久保
-
JR片町線下狛
-
-
-

-
- 土地
- 1,590万円
-
鹿児島市西伊敷3丁目
-
西伊敷三丁目バス停
-
-
-

-
- 中古一戸建て
- 500万円
-
高知市仁井田
-
とさでん交通後免線県立美術館通
-
栃木県土地新着物件
-
-

-
- 土地
- 1,540万円
-
宇都宮市西川田東町
-
東武宇都宮線西川田駅
-
-
-

-
- 土地
- 1,730万円
-
栃木市泉川町
-
東武日光線新栃木駅
-
-
-

-
- 土地
- 150万円
-
那須郡那須町大字湯本
-
那須ICまで
-
-
-

-
- 土地
- 2,380万円
-
真岡市並木町3丁目
-
真岡鉄道真岡駅
-
-
-

-
- 土地
- 1,050万円
-
小山市大字雨ケ谷新田
-
JR東北本線小山駅
-
-
-

-
- 土地
- 650万円
-
栃木市日ノ出町
-
東武日光線新栃木駅
-
-
-

-
- 土地
- 980万円
-
足利市助戸新山町
-
JR両毛線足利駅
-
- お近くの店舗を探す
-
おすすめ物件
-
-

-
- 土地
- 1,200万円
-
宇都宮市新富町
-
湘南新宿ライン宇須雀宮
-
-
-

-
- 土地
- 2,100万円
-
宇都宮市西川田町
-
東武宇都宮線西川田
-
-
-

-
- 土地
- 130万円
-
日光市木和田島
-
JR日光線下野大沢
-
-
-

-
- 土地
- 480万円
-
宇都宮市免ノ内町
-
JR東北本線宇都宮
-
-
-

-
- 土地
- 2,200万円
-
宇都宮市上戸祭町
-
東武宇都宮線東武宇都宮
-
-
-

-
- 土地
- 950万円
-
下都賀郡壬生町緑町2丁目
-
東武宇都宮線おもちゃのまち
-
-
-

-
- 土地
- 1,260万円
-
宇都宮市西の宮2丁目
-
JR東北本線宇都宮
-
-
-

-
- 土地
- 1,926万円
-
宇都宮市緑3丁目
-
東武宇都宮線西川田
-
-
-

-
- 土地
- 1,560万円
-
宇都宮市駒生町
-
東武宇都宮線東武宇都宮
-
-
-

-
- 土地
- 851万円
-
宇都宮市江曽島1丁目
-
東武宇都宮線江曾島
-







