宇都宮市板戸町の土地
掲載情報更新日:2026年01月29日 次回更新予定日:2026年02月12日
- 1,200万円
-
- 借入ご希望金額
万円 - 借入期間
年 - 借入金利
% - 月々のお支払い金額
円
- 借入ご希望金額
※ 月々のお支払例は目安の試算となりますので、実際の金額とは異なる場合がございます。詳しくは店舗までお問合わせください。
- 宇都宮市板戸町
-
JR東北本線『岡本』 徒歩79分 (約6300m)
宇都宮市板戸町土地 | 物件情報
物件の特徴
- 前道6m以上
- 南側道路面す
- 平坦地
- 建築条件無
物件詳細情報
| 価格 | 1,200万円 | 坪単価 | 坪8.0万円 |
|---|---|---|---|
| 物件種別 | 土地 | ||
| 所在地 | 栃木県宇都宮市板戸町 | ||
| アクセス |
|
||
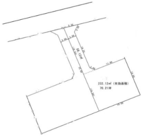
| 土地面積 | 公495㎡(149.73坪) | 接道 | 北側(公道)幅 約25.0m 間口 約18.00m 東側(私道)幅 約6.0m 間口 約27.50m 南側(私道)幅 約5.0m 間口 約18.00m |
| 私道 | セットバック | ||
| 最適用途 | 造成完了時期 | ||
| 地目 | 山林 | 地勢 | 平坦 |
| 権利 | 所有権 |
||
| 都市計画 | 調整区域 |
用途地域 | |
| 建ぺい/容積率 | 60% / 200% | 土地国土法 | |
| 許可番号 | 建築基準法 | ||
| 法令制限 | |||
| 小学区 | 清原北小学校 徒歩40分 (約3200m) | 中学区 | 清原中学校 徒歩64分 (約5100m) |
| 現況 | 更地 | 引渡 | 相談(現況渡し) |
| 建築条件 | 建築条件なし | ||
| その他費用 | |||
| 備考 | |||
| 物件番号 | 4459646 | 取引態様 | 媒介 |
取扱店舗情報
| 電話番号 | 028-678-2888 |
|---|---|
| 所在地 | 〒320-0826 栃木県宇都宮市西原町466-1 |
| 営業時間 | 10:00~18:30 |
| 定休日 | 水曜日 |
| 宅建免許番号 | 栃木県知事(2)第5075号 |
| アクセス | 店舗への地図はこちら |

来店ご予約
栃木県宇都宮市で価格が似ている物件はこちら
![]()
![]()
-
- 土地 2019.08.08
-
-
- 1,100万円
-
宇都宮市道場宿町
-
JRバス【JA清原支所前】 徒歩まで徒歩3分
- 403.00m2
-
-
- 土地 2019.08.08
-
-
- 1,100万円
-
宇都宮市道場宿町
-
JRバス【JA清原支所前】 徒歩まで徒歩3分
- 403.00m2
-
-
- 土地 2021.06.24
-
-
- 1,200万円
-
宇都宮市針ヶ谷町
-
東武宇都宮線「安塚駅」まで徒歩16分
- 714.00m2
-
-
- 土地 2021.06.25
-
-
- 1,200万円
-
宇都宮市針ヶ谷町
-
東武宇都宮線「安塚駅」まで徒歩16分
- 714.00m2
-
-
- 土地 2021.08.19
-
-
- 1,250万円
-
宇都宮市南町
-
JR東北本線「雀宮駅」まで徒歩23分
- 220.33m2
-
-
- 土地 2021.08.21
-
-
- 1,250万円
-
宇都宮市南町
-
JR東北本線「雀宮駅」まで徒歩23分
- 220.33m2
-
-
- 土地 2022.01.31
-
-
- 1,195万円
-
宇都宮市鶴田町
-
JR日光線「鶴田駅」まで徒歩8分
- 200.33m2
-
-
- 土地 2022.07.01
-
-
- 1,200万円
-
宇都宮市双葉2丁目
-
東武宇都宮線「江曾島駅」まで徒歩4分
- 133.39m2
-
-
- 土地 2022.07.03
-
-
- 1,200万円
-
宇都宮市双葉2丁目
-
東武宇都宮線「江曾島駅」まで徒歩3分
- 133.39m2
-
-
- 土地 2023.01.24
-
-
- 1,290万円
-
宇都宮市東峰町
-
JR東北新幹線「宇都宮駅」バス乗車13分 バス停「関東バス「こえご」」まで徒歩5分
- 166.04m2
-
-
- 土地 2023.04.09
-
-
- 1,300万円
-
宇都宮市中里町
-
旧ユッピー中里バス停まで徒歩5分
- 548.08m2
-
-
- 土地 2023.04.16
-
-
- 1,300万円
-
宇都宮市中里町
-
旧ユッピー中里バス停まで徒歩5分
- 548.08m2
-
-
- 土地 2023.04.20
-
-
- 1,200万円
-
宇都宮市双葉2丁目
-
東武宇都宮線「江曾島駅」まで徒歩5分
- 133.39m2
-
-
- 土地 2023.07.29
-
-
- 1,250万円
-
宇都宮市宮原4丁目
-
東武宇都宮線「南宇都宮駅」まで徒歩5分
- 301.47m2
-
-
- 土地 2023.08.20
-
-
- 1,180万円
-
宇都宮市山本1丁目
-
JR東北本線「宇都宮駅」まで徒歩39分
- 142.67m2
-
-
- 土地 2023.08.21
-
-
- 1,180万円
-
宇都宮市山本1丁目
-
JR東北本線「宇都宮駅」まで徒歩39分
- 142.67m2
-
-
- 土地 2023.10.15
-
-
- 1,100万円
-
宇都宮市砥上町
-
東武宇都宮線「東武宇都宮駅」バス乗車13分 バス停「野尻」まで徒歩7分
- 199.54m2
-
-
- 土地 2023.11.04
-
-
- 1,300万円
-
宇都宮市緑3丁目
-
東武宇都宮線「西川田駅」まで徒歩20分
- 258.08m2
-
-
- 土地 2024.01.07
-
-
- 1,280万円
-
宇都宮市若草5丁目
-
東武宇都宮線「東武宇都宮駅」まで徒歩56分
- 199.19m2
-
-
- 土地 2024.01.08
-
-
- 1,290万円
-
宇都宮市鶴田町
-
関東バス「明保小東口」まで徒歩7分
- 340.00m2
-
-
- 土地 2024.01.11
-
-
- 1,290万円
-
宇都宮市鶴田町
-
関東バス「明保小東口」まで徒歩7分
- 340.00m2
-
-
- 土地 2024.01.30
-
-
- 1,120万円
-
宇都宮市砥上町
-
関東バス野尻まで徒歩14分
- 212.84m2
-
-
- 土地 2024.01.30
-
-
- 1,120万円
-
宇都宮市砥上町
-
関東バス野尻まで徒歩14分
- 212.84m2
-
-
- 土地 2024.02.12
-
-
- 1,180万円
-
宇都宮市宝木町2丁目
-
関東バス「山崎街道入口」まで徒歩4分
- 425.00m2
-
-
- 土地 2024.02.12
-
-
- 1,180万円
-
宇都宮市宝木町2丁目
-
関東バス「山崎街道入口」まで徒歩4分
- 425.00m2
-
-
- 土地 2024.05.20
-
-
- 1,200万円
-
宇都宮市新富町
-
湘南新宿ライン宇須「雀宮駅」まで徒歩16分
- 172.56m2
-
-
- 土地 2024.06.07
-
-
- 1,190万円
-
宇都宮市冬室町
-
JR東北本線「氏家駅」まで徒歩125分
- 1276.19m2
-
-
- 土地 2024.06.08
-
-
- 1,190万円
-
宇都宮市冬室町
-
JR東北本線「氏家駅」まで徒歩125分
- 1276.19m2
-
-
- 土地 2024.08.03
-
-
- 1,280万円
-
宇都宮市岩曽町
-
JR烏山線「岡本駅」まで徒歩39分
- 198.49m2
-
-
- 土地 2024.11.08
-
-
- 1,120万円
-
宇都宮市下荒針町
-
JR日光線「鶴田駅」まで徒歩50分
- 172.35m2
-
-
- 土地 2024.11.08
-
-
- 1,140万円
-
宇都宮市下荒針町
-
JR日光線「鶴田駅」まで徒歩50分
- 193.39m2
-
-
- 土地 2024.11.10
-
-
- 1,250万円
-
宇都宮市細谷町
-
JR東北本線「宇都宮駅」まで徒歩79分
- 274.90m2
-
-
- 土地 2024.11.16
-
-
- 1,200万円
-
宇都宮市竹林町
-
JR東北本線「宇都宮駅」まで徒歩33分
- 235.20m2
-
-
- 土地 2024.12.14
-
-
- 1,290万円
-
宇都宮市御幸本町
-
宇都宮芳賀ライト線「陽東3丁目駅」まで徒歩33分
- 165.71m2
-
-
- 土地 2025.01.26
-
-
- 1,108万円
-
宇都宮市宝木町1丁目
-
東武宇都宮線「東武宇都宮駅」まで徒歩50分
- 158.00m2
-
-
- 土地 2025.02.04
-
-
- 1,200万円
-
宇都宮市細谷町
-
東武宇都宮線「東武宇都宮駅」バス乗車16分 バス停「県営細谷住宅前」まで徒歩7分
- 159.36m2
-
-
- 土地 2025.02.04
-
-
- 1,287万円
-
宇都宮市駒生町
-
東武宇都宮線「東武宇都宮駅」まで徒歩64分
- 236.44m2
-
-
- 土地 2025.02.22
-
-
- 1,160万円
-
宇都宮市江曽島町
-
東武宇都宮線「江曾島駅」まで徒歩25分
- 151.27m2
-
-
- 土地 2025.02.23
-
-
- 1,240万円
-
宇都宮市台新田町
-
JR東北本線「雀宮駅」まで徒歩39分
- 185.21m2
-
-
- 土地 2025.03.01
-
-
- 1,250万円
-
宇都宮市不動前2丁目
-
東武宇都宮線「南宇都宮駅」まで徒歩13分
- 195.04m2
-
-
- 土地 2025.03.02
-
-
- 1,230万円
-
宇都宮市山本1丁目
-
関東バス山本まで徒歩6分
- 220.26m2
-
-
- 土地 2025.03.06
-
-
- 1,200万円
-
宇都宮市若草4丁目
-
東武宇都宮線「東武宇都宮駅」まで徒歩49分
- 157.70m2
-
-
- 土地 2025.03.13
-
-
- 1,230万円
-
宇都宮市山本1丁目
-
湘南新宿ライン宇須「宇都宮駅」まで徒歩43分
- 220.26m2
-
-
- 土地 2025.03.15
-
-
- 1,300万円
-
宇都宮市御幸本町
-
JR東北本線「岡本駅」まで徒歩45分
- 161.16m2
-
-
- 土地 2025.03.21
-
-
- 1,222万円
-
宇都宮市兵庫塚3丁目
-
JR東北本線「雀宮駅」まで徒歩25分
- 202.00m2
-
-
- 土地 2025.03.22
-
-
- 1,300万円
-
宇都宮市砥上町
-
JR日光線「鶴田駅」まで徒歩18分
- 232.09m2
-
-
- 土地 2025.03.30
-
-
- 1,100万円
-
宇都宮市八幡台
-
東武宇都宮線「東武宇都宮駅」まで徒歩39分
- 172.49m2
-
-
- 土地 2025.04.08
-
-
- 1,228.90万円
-
宇都宮市兵庫塚3丁目
-
JR東北本線「雀宮駅」まで徒歩27分
- 184.68m2
-
-
- 土地 2025.04.10
-
-
- 1,248万円
-
宇都宮市鶴田町
-
東武宇都宮線「東武宇都宮駅」まで徒歩26分
- 206.34m2
-
-
- 土地 2025.04.12
-
-
- 1,100万円
-
宇都宮市八幡台
-
関東バス山本まで徒歩8分
- 172.49m2
-
-
- 土地 2025.04.12
-
-
- 1,100万円
-
宇都宮市八幡台
-
関東バス山本まで徒歩8分
- 172.49m2
-
-
- 土地 2025.04.22
-
-
- 1,228万円
-
宇都宮市兵庫塚3丁目
-
JR東北本線「雀宮駅」まで徒歩30分
- 184.68m2
-
-
- 土地 2025.05.01
-
-
- 1,280万円
-
宇都宮市下荒針町
-
関東バス長坂坂上まで徒歩4分
- 458.55m2
-
-
- 土地 2025.05.01
-
-
- 1,280万円
-
宇都宮市下荒針町
-
関東バス長坂坂上まで徒歩4分
- 458.55m2
-
-
- 土地 2025.05.02
-
-
- 1,180万円
-
宇都宮市山本1丁目
-
東武宇都宮線「東武宇都宮駅」まで車12分
- 142.67m2
-
-
- 土地 2025.05.12
-
-
- 1,200万円
-
宇都宮市細谷町
-
東武宇都宮線「東武宇都宮駅」まで徒歩76分
- 378.65m2
-
-
- 土地 2025.05.15
-
-
- 1,190万円
-
宇都宮市細谷町
-
東武宇都宮線「東武宇都宮駅」まで徒歩69分
- 182.93m2
-
-
- 土地 2025.05.15
-
-
- 1,190万円
-
宇都宮市細谷町
-
東武宇都宮線「東武宇都宮駅」まで徒歩69分
- 182.91m2
-
-
- 土地 2025.05.18
-
-
- 1,165万円
-
宇都宮市駒生町
-
東武宇都宮線「東武宇都宮駅」バス乗車26分 バス停「中丸公園前」まで徒歩9分
- 192.60m2
-
-
- 土地 2025.05.26
-
-
- 1,207万円
-
宇都宮市上戸祭町
-
東武宇都宮線「東武宇都宮駅」まで車15分
- 184.81m2
-
-
- 土地 2025.05.31
-
-
- 1,150万円
-
宇都宮市双葉2丁目
-
東武宇都宮線「江曾島駅」まで徒歩5分
- 188.65m2
-
-
- 土地 2025.06.05
-
-
- 1,200万円
-
宇都宮市岩曽町
-
JR東北本線「岡本駅」まで車9分
- 167.00m2
-
-
- 土地 2025.06.11
-
-
- 1,287万円
-
宇都宮市駒生町
-
東武宇都宮線「東武宇都宮駅」まで車15分
- 236.44m2
-
-
- 土地 2025.07.04
-
-
- 1,290万円
-
宇都宮市南町
-
JR東北本線「雀宮駅」バス乗車7分 バス停「南町自治会館」まで徒歩2分
- 252.83m2
-
-
- 土地 2025.07.13
-
-
- 1,200万円
-
宇都宮市鶴田町
-
東武宇都宮線「東武宇都宮駅」まで車10分
- 220.52m2
-
-
- 土地 2025.07.15
-
-
- 1,285万円
-
宇都宮市上戸祭町
-
東武宇都宮線「東武宇都宮駅」まで徒歩59分
- 184.81m2
-
-
- 土地 2025.08.05
-
-
- 1,250万円
-
宇都宮市宝木本町
-
東武宇都宮線「東武宇都宮駅」まで車18分
- 324.00m2
-
-
- 土地 2025.08.11
-
-
- 1,170万円
-
宇都宮市野沢町
-
東武宇都宮線「東武宇都宮駅」まで車18分
- 172.50m2
-
-
- 土地 2025.08.11
-
-
- 1,220万円
-
宇都宮市双葉2丁目
-
東武宇都宮線「江曾島駅」まで徒歩5分
- 161.21m2
-
-
- 土地 2025.08.11
-
-
- 1,230万円
-
宇都宮市山本1丁目
-
JR東北本線「宇都宮駅」まで車15分
- 220.26m2
-
-
- 土地 2025.08.11
-
-
- 1,300万円
-
宇都宮市一ノ沢町
-
東武宇都宮線「東武宇都宮駅」まで車9分
- 209.40m2
-
-
- 土地 2025.08.24
-
-
- 1,220万円
-
宇都宮市双葉2丁目
-
東武宇都宮線「江曾島駅」まで徒歩5分
- 161.21m2
-
-
- 土地 2025.09.01
-
-
- 1,200万円
-
宇都宮市宮原3丁目
-
東武宇都宮線「南宇都宮駅」まで徒歩10分
- 221.04m2
-
-
- 土地 2025.09.01
-
-
- 1,280万円
-
宇都宮市鶴田町
-
東武宇都宮線「東武宇都宮駅」まで徒歩28分
- 170.00m2
-
-
- 土地 2025.09.04
-
-
- 1,159万円
-
宇都宮市下荒針町
-
東武宇都宮線「東武宇都宮駅」バス乗車39分 バス停「野尻」まで徒歩13分
- 201.77m2
-
-
- 土地 2025.09.04
-
-
- 1,219万円
-
宇都宮市下田原町
-
JR東北本線「岡本駅」まで徒歩65分
- 575.88m2
-
-
- 土地 2025.09.06
-
-
- 1,258.80万円
-
宇都宮市西川田2丁目
-
東武宇都宮線「西川田駅」まで徒歩9分
- 196.32m2
-
-
- 土地 2025.09.06
-
-
- 1,200万円
-
宇都宮市若草5丁目
-
東武宇都宮線「東武宇都宮駅」まで車15分
- 198.37m2
-
-
- 土地 2025.09.06
-
-
- 1,150万円
-
宇都宮市宝木本町
-
東武宇都宮線「東武宇都宮駅」まで徒歩68分
- 270.37m2
-
-
- 土地 2025.09.06
-
-
- 1,280万円
-
宇都宮市若草5丁目
-
東武宇都宮線「東武宇都宮駅」まで車15分
- 199.19m2
-
-
- 土地 2025.09.15
-
-
- 1,110万円
-
宇都宮市中岡本町
-
JR東北本線「岡本駅」まで徒歩23分
- 2450.12m2
-
-
- 土地 2025.09.19
-
-
- 1,300万円
-
宇都宮市星が丘1丁目
-
東武宇都宮線「東武宇都宮駅」まで徒歩18分
- 137.00m2
-
-
- 土地 2025.09.19
-
-
- 1,300万円
-
宇都宮市星が丘1丁目
-
東武宇都宮線「東武宇都宮駅」まで徒歩17分
- 137.00m2
-
-
- 土地 2025.09.23
-
-
- 1,300万円
-
宇都宮市御幸町
-
JR東北本線「岡本駅」まで車11分
- 185.79m2
-
-
- 土地 2025.10.02
-
-
- 1,290万円
-
宇都宮市野沢町
-
東武宇都宮線「東武宇都宮駅」まで車20分
- 215.78m2
-
-
- 土地 2025.10.13
-
-
- 1,200万円
-
宇都宮市竹林町
-
JR東北本線「宇都宮駅」まで徒歩33分
- 235.20m2
-
-
- 土地 2025.10.14
-
-
- 1,148万円
-
宇都宮市宝木本町
-
JR東北本線「宇都宮駅」まで車22分
- 336.58m2
-
-
- 土地 2025.10.14
-
-
- 1,248万円
-
宇都宮市宝木本町
-
JR東北本線「宇都宮駅」まで車22分
- 303.43m2
-
-
- 土地 2025.10.14
-
-
- 1,248万円
-
宇都宮市宝木本町
-
JR東北本線「宇都宮駅」まで車22分
- 235.98m2
-
-
- 土地 2025.10.18
-
-
- 1,250万円
-
宇都宮市中岡本町
-
JR東北本線「岡本駅」まで徒歩25分
- 309.23m2
-
-
- 土地 2025.10.26
-
-
- 1,260万円
-
宇都宮市西の宮2丁目
-
JR東北本線「宇都宮駅」バス乗車22分 バス停「関東バス【西の宮団地中央】」まで徒歩3分
- 240.69m2
-
-
- 土地 2025.10.26
-
-
- 1,260万円
-
宇都宮市西の宮2丁目
-
JR東北本線「宇都宮駅」バス乗車22分 バス停「関東バス【西の宮団地中央】」まで徒歩3分
- 240.69m2
-
-
- 土地 2025.10.27
-
-
- 1,300万円
-
宇都宮市中里町
-
旧ユッピー中里まで徒歩5分
- 548.08m2
-
-
- 土地 2025.10.30
-
-
- 1,100万円
-
宇都宮市道場宿町
-
JRバスJA清原支所前まで徒歩3分
- 403.00m2
-
-
- 土地 2025.11.01
-
-
- 1,290万円
-
宇都宮市上戸祭4丁目
-
東武宇都宮線「東武宇都宮駅」まで車17分
- 185.24m2
-
-
- 土地 2025.11.08
-
-
- 1,260万円
-
宇都宮市西の宮2丁目
-
JR東北本線「宇都宮駅」バス乗車22分 バス停「関東バス西の宮団地中央」まで徒歩3分
- 240.69m2
-
-
- 土地 2025.11.10
-
-
- 1,280万円
-
宇都宮市鶴田町
-
東武宇都宮線「東武宇都宮駅」まで徒歩29分
- 149.43m2
-
-
- 土地 2025.11.10
-
-
- 1,280万円
-
宇都宮市宝木本町
-
JR東北本線「宇都宮駅」まで車27分
- 277.89m2
-
-
- 土地 2025.12.09
-
-
- 1,280万円
-
宇都宮市東岡本町
-
JR東北本線「岡本駅」まで徒歩24分
- 215.75m2
-
-
- 土地 2025.12.12
-
-
- 1,280万円
-
宇都宮市下荒針町
-
関東バス長坂坂上まで徒歩4分
- 458.55m2
-
-
- 土地 2025.12.18
-
-
- 1,180万円
-
宇都宮市宝木町2丁目
-
関東バス山崎街道入口まで徒歩4分
- 425.00m2
-
-
- 土地 2025.12.19
-
-
- 1,250万円
-
宇都宮市宝木本町
-
JR東北本線「宇都宮駅」まで徒歩24分
- 241.00m2
-
-
- 土地 2025.12.19
-
-
- 1,300万円
-
宇都宮市細谷町
-
東武宇都宮線「東武宇都宮駅」まで車21分
- 290.00m2
-
-
- 土地 2025.12.27
-
-
- 1,300万円
-
宇都宮市中戸祭1丁目
-
JR東北本線「宇都宮駅」まで車19分
- 114.05m2
-
-
- 土地 2026.01.05
-
-
- 1,300万円
-
宇都宮市岩曽町
-
JR東北新幹線「宇都宮駅」まで車13分
- 476.00m2
-
-
-
土地
2026.01.06
-
-
- 1,180万円
-
宇都宮市岩曽町
-
JR東北本線「宇都宮駅」バス乗車5分 バス停「堀切」まで徒歩40分
- 174.14m2
-
-
土地
2026.01.06
-
-
土地
2026.01.09
-
-
- 1,150万円
-
宇都宮市宝木本町
-
東武宇都宮線「東武宇都宮駅」まで徒歩68分
- 270.37m2
-
-
土地
2026.01.09
-
-
土地
2026.01.09
-
-
- 1,130万円
-
宇都宮市中戸祭1丁目
-
東武宇都宮線「東武宇都宮駅」まで徒歩30分
- 121.85m2
-
-
土地
2026.01.09
-
-
土地
2026.01.09
-
-
- 1,250万円
-
宇都宮市鐺山町
-
宇都宮芳賀ライト線「飛山城跡駅」まで車3分
- 398.08m2
-
-
土地
2026.01.09
-
-
土地
2026.01.10
-
-
- 1,130万円
-
宇都宮市中戸祭1丁目
-
東武宇都宮線「東武宇都宮駅」まで徒歩30分
- 121.85m2
-
-
土地
2026.01.10
-
-
土地
2026.01.10
-
-
- 1,130万円
-
宇都宮市中戸祭1丁目
-
東武宇都宮線「東武宇都宮駅」まで徒歩31分
- 121.85m2
-
-
土地
2026.01.10
-
-
土地
2026.01.11
-
-
- 1,130万円
-
宇都宮市中戸祭1丁目
-
東武宇都宮線「東武宇都宮駅」まで徒歩30分
- 121.85m2
-
-
土地
2026.01.11
-
-
土地
2026.01.12
-
-
- 1,150万円
-
宇都宮市宝木本町
-
東武宇都宮線「東武宇都宮駅」まで徒歩68分
- 270.37m2
-
-
土地
2026.01.12
-
-
土地
2026.01.15
-
-
- 1,250万円
-
宇都宮市鐺山町
-
宇都宮芳賀ライト線「飛山城跡駅」まで徒歩17分
- 398.08m2
-
-
土地
2026.01.15
-
-
土地
2026.01.15
-
-
- 1,300万円
-
宇都宮市岩曽町
-
JR東北本線「宇都宮駅」まで車13分
- 476.00m2
-
-
土地
2026.01.15
-
-
土地
2026.01.22
-
-
- 1,250万円
-
宇都宮市鐺山町
-
宇都宮芳賀ライト線「飛山城跡駅」まで徒歩17分
- 398.08m2
-
-
土地
2026.01.22
-
-
土地
2026.01.24
-
-
- 1,100万円
-
宇都宮市横山1丁目
-
JR東北本線「岡本駅」まで徒歩79分
- 228.00m2
-
-
土地
2026.01.24
- 栃木県
マイページ物件数 - 6,696件
最近見た物件
-
-

-
- 土地
- 350万円
-
西条市小松町新屋敷
-
JR予讃線伊予小松
-
-
-

-
- 土地
- 2,098万円
-
名古屋市瑞穂区白砂町4丁目
-
名古屋市名城線瑞穂運動場東
-
-
-

-
- 土地
- 1,087.25万円
-
松山市清住2丁目
-
伊予鉄道高浜線山西
-
栃木県土地新着物件
- お近くの店舗を探す
-
おすすめ物件
-
-

-
- 土地
- 680万円
-
宇都宮市上戸祭町
-
関東バス文星大学前
-
-
-

-
- 土地
- 2,100万円
-
宇都宮市西川田町
-
東武宇都宮線西川田
-
-
-

-
- 土地
- 900万円
-
下都賀郡壬生町落合1丁目
-
東武宇都宮線国谷
-
-
-

-
- 土地
- 3,500万円
-
宇都宮市岩曽町
-
関東バス「堀切」
-
-
-

-
- 土地
- 851万円
-
宇都宮市江曽島1丁目
-
東武宇都宮線江曾島
-
-
-

-
- 土地
- 1,200万円
-
宇都宮市新富町
-
湘南新宿ライン宇須雀宮
-
-
-

-
- 土地
- 1,380万円
-
宇都宮市氷室町
-
JR東北本線宇都宮
-
-
-

-
- 土地
- 2,200万円
-
宇都宮市上戸祭町
-
東武宇都宮線東武宇都宮
-
-
-

-
- 土地
- 970万円
-
栃木市片柳町2丁目
-
JR両毛線栃木
-
-
-

-
- 土地
- 2,480万円
-
宇都宮市下岡本町
-
JR東北本線岡本
-









