売土地 八女納楚11区画 11号地 CT
掲載情報更新日:2026年04月10日 次回更新予定日:2026年04月24日
- 963万円
-
- 借入ご希望金額
万円 - 借入期間
年 - 借入金利
% - 月々のお支払い金額
円
- 借入ご希望金額
※ 月々のお支払例は目安の試算となりますので、実際の金額とは異なる場合がございます。詳しくは店舗までお問合わせください。
- 八女市納楚
-
堀川バス『川崎病院前』 徒歩11分 (約880m)
売土地 八女納楚11区画 11号地 CT土地 | 物件情報
お探しのエリア、ご予算に合わせた土地探し、お手伝い致します。
また住宅ローンのご相談、土地・建物の購入に掛かる費用のご説明など、
分かりやすいご説明を心掛けておりますので、お探し初めの方も
安心してご相談ください!
物件の特徴
- 前道6m以上
- 建築条件無
物件詳細情報
| 価格 | 963万円 | 坪単価 | 坪15.8万円 |
|---|---|---|---|
| 物件種別 | 土地 | ||
| 所在地 | 福岡県八女市納楚 | ||
| アクセス |
|
||
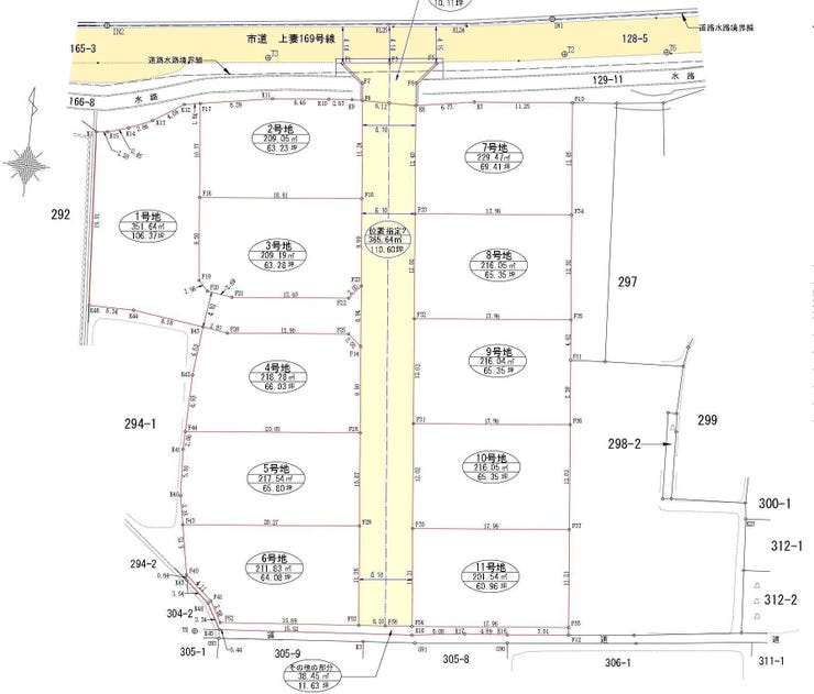
| 土地面積 | 201.54㎡(60.96坪) | 接道 | 東側幅 約6.1m 間口 約11.20m |
| 私道 | セットバック | ||
| 最適用途 | 住宅用地 | 造成完了時期 | |
| 地目 | 宅地 | 地勢 | |
| 権利 | 所有権 |
||
| 分譲情報 | 【販売区画】:11区画 |
||
| 都市計画 | 非線引区域 |
用途地域 | 指定無 |
| 建ぺい/容積率 | 70% / 200% | 土地国土法 | |
| 許可番号 | 建築基準法 | ||
| 法令制限 | |||
| 小学区 | 上妻小学校 徒歩15分 (約1200m) | 中学区 | 南中学校 徒歩28分 (約2200m) |
| 現況 | 更地 | 引渡 | 期日指定:2026年05月末以降 |
| 建築条件 | 建築条件なし | ||
| その他費用 | |||
| 周辺環境 | 川崎病院 徒歩12分 (約940m) 八女市立上妻小学校 徒歩14分 (約1080m) マルキョウ 八女店 徒歩14分 (約1080m) マミーズ 後ノ江店 徒歩14分 (約1120m) 業務スーパー 八女本村店 徒歩18分 (約1440m) 八女市立南中学校 徒歩30分 (約2340m) |
||
| 備考 | |||
| 物件番号 | 4587177 | 取引態様 | 媒介 |
取扱店舗情報
| 電話番号 | 0942-50-5735 |
|---|---|
| 所在地 | 〒841-0051 佐賀県鳥栖市元町1246番地3 |
| 営業時間 | 10:00~18:00 |
| 定休日 | 水曜日 |
| 宅建免許番号 | 佐賀県知事(2)第2561号 |
| アクセス | 店舗への地図はこちら |

来店ご予約
福岡県八女市で価格が似ている物件はこちら
- 福岡県
マイページ物件数 - 8,521件
最近見た物件
-
-

-
- 土地
- 2,150万円
-
堺市南区晴美台3丁
-
南海電鉄泉北線泉ケ丘
-
福岡県土地新着物件
-
-

-
- 土地
- 798万円
-
北九州市八幡西区楠橋南2丁目
-
筑豊電気鉄道楠橋駅
-
-
-

-
- 土地
- 2,470万円
-
北九州市小倉北区妙見町
-
JR日豊本線城野駅
-
-
-

-
- 土地
- 550万円
-
北九州市小倉南区葛原2丁目
-
JR日豊本線安部山公園駅
-
-
-

-
- 土地
- 6,790万円
-
福岡市東区若宮2丁目
-
JR香椎線土井駅
-
-
-

-
- 土地
- 6,790万円
-
福岡市東区若宮2丁目
-
JR香椎線舞松原駅
-
-
-

-
- 土地
- 2,400万円
-
太宰府市青葉台3丁目
-
JR鹿児島本線水城駅
-
-
-

-
- 土地
- 1億2,700万円
-
福岡市南区高宮3丁目
-
西鉄天神大牟田線高宮駅
-
- お近くの店舗を探す
-
おすすめ物件
-
-

-
- 土地
- 2,190万円
-
古賀市花鶴丘3丁目
-
JR鹿児島本線ししぶ
-
-
-

-
- 土地
- 1,980万円
-
北九州市門司区東本町1丁目
-
JR鹿児島本線門司港
-
-
-

-
- 土地
- 2,980万円
-
北九州市小倉北区木町4丁目
-
JR日豊本線南小倉
-
-
-

-
- 土地
- 150万円
-
久留米市田主丸町石垣
-
JR久大本線田主丸
-
-
-

-
- 土地
- 3,800万円
-
北九州市小倉南区山手3丁目
-
北九州高速鉄道企救丘
-
-
-

-
- 土地
- 850万円
-
北九州市若松区浜町3丁目
-
JR筑豊本線若松
-
-
-

-
- 土地
- 2,500万円
-
北九州市小倉南区横代北町4丁目
-
JR日田彦山線石田
-
-
-

-
- 土地
- 1,080万円
-
直方市知古2丁目
-
筑豊電気鉄道筑豊直方
-
-
-

-
- 土地
- 2,650万円
-
北九州市小倉南区星和台1丁目
-
北九州高速鉄道守恒
-
-
-

-
- 土地
- 2,700万円
-
古賀市今の庄1丁目
-
JR鹿児島本線古賀
-



担当エージェント:今里
土地・新築、中古戸建、全国700店舗以上の
ネットワークでお手伝い致します!
0942-50-5735鳥栖郵便局そば、お気軽にご相談ください♪