売土地 八女市納楚9区画 8号地 CT
掲載情報更新日:2026年04月10日 次回更新予定日:2026年04月24日
- 1,051万円
-
- 借入ご希望金額
万円 - 借入期間
年 - 借入金利
% - 月々のお支払い金額
円
- 借入ご希望金額
※ 月々のお支払例は目安の試算となりますので、実際の金額とは異なる場合がございます。詳しくは店舗までお問合わせください。
- 八女市納楚
-
『どんどら』 徒歩9分 (約720m)
売土地 八女市納楚9区画 8号地 CT土地 | 物件情報
お探しのエリア、ご予算に合わせた土地探し、お手伝い致します。
また住宅ローンのご相談、土地・建物の購入に掛かる費用のご説明など、
分かりやすいご説明を心掛けておりますので、お探し初めの方も
安心してご相談ください!
物件の設備
- 電気
- 上水道
- 下水道
- 側溝
- プロパンガス
物件の特徴
- 建築条件無
オープンハウス・イベント情報
開催日時:公開中 10:00~18:00
開催場所:福岡県八女市
完成見学会開催中! 新築、中古戸建、土地の相談も! 全国展開のハウスドゥへご相談ください♪ お探しのエリア、気になる物件すべて 同日にご案内可能です お問合せ時にお気軽にお伝えください
物件詳細情報
| 価格 | 1,051万円 | 坪単価 | 坪15.9万円 |
|---|---|---|---|
| 物件種別 | 土地 | ||
| 所在地 | 福岡県八女市納楚 | ||
| アクセス |
|
||
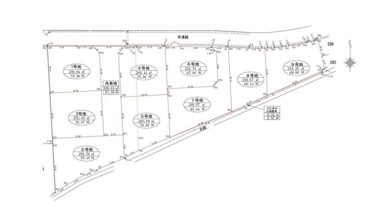
| 土地面積 | 218.67㎡(66.14坪) | 接道 | 北側幅 約5.1m |
| 私道 | セットバック | ||
| 最適用途 | 造成完了時期 | ||
| 地目 | 宅地 | 地勢 | |
| 権利 | 所有権 |
||
| 分譲情報 | 【販売区画】:9区画 |
||
| 都市計画 | 非線引区域 |
用途地域 | 1種住居 |
| 建ぺい/容積率 | 60% / 200% | 土地国土法 | |
| 許可番号 | 建築基準法 | ||
| 法令制限 | |||
| 小学区 | 中学区 | ||
| 現況 | 更地 | 引渡 | 期日指定:2026年05月以降 |
| 建築条件 | 建築条件なし | ||
| その他費用 | |||
| 周辺環境 | マルキョウ 八女店 徒歩11分 (約840m) 川崎病院 徒歩9分 (約700m) 業務スーパー 八女本村店 徒歩13分 (約990m) 八女市立上妻小学校 徒歩16分 (約1250m) マックスバリュ八女本村店 徒歩16分 (約1210m) 柳病院 徒歩18分 (約1410m) |
||
| 備考 | |||
| 物件番号 | 4587792 | 取引態様 | 媒介 |
取扱店舗情報
| 電話番号 | 0942-50-5735 |
|---|---|
| 所在地 | 〒841-0051 佐賀県鳥栖市元町1246番地3 |
| 営業時間 | 10:00~18:00 |
| 定休日 | 水曜日 |
| 宅建免許番号 | 佐賀県知事(2)第2561号 |
| アクセス | 店舗への地図はこちら |

来店ご予約
福岡県八女市で価格が似ている物件はこちら
- 福岡県
マイページ物件数 - 8,384件
最近見た物件
-
-

-
- 土地
- 1,380万円
-
一宮市小信中島字新田前
-
名鉄尾西線奥町
-
-
-

-
- 土地
- 1,920万円
-
海部郡蟹江町大字蟹江新田字鹿島
-
近鉄名古屋線近鉄蟹江
-
-
-

-
- 土地
- 3,250万円
-
尾張旭市長坂町南山
-
名鉄瀬戸線尾張旭
-
福岡県土地新着物件
-
-

-
- 土地
- 540万円
-
北九州市小倉南区上貫3丁目
-
JR日豊本線下曽根駅
-
-
-

-
- 土地
- 2,790万円
-
福岡市東区美和台3丁目
-
西鉄貝塚線三苫駅
-
-
-

-
- 土地
- 2,990万円
-
福岡市東区美和台3丁目
-
西鉄貝塚線三苫駅
-
-
-

-
- 土地
- 1,800万円
-
北九州市八幡西区沖田1丁目
-
筑豊電気鉄道三ヶ森駅
-
-
-

-
- 土地
- 3,300万円
-
福岡市東区高美台3丁目
-
JR鹿児島本線福工大前駅
-
-
-

-
- 土地
- 2,900万円
-
福岡市東区高美台3丁目
-
JR鹿児島本線福工大前駅
-
-
-

-
- 土地
- 980万円
-
北九州市小倉北区宇佐町2丁目
-
北九州高速鉄道旦過駅
-
- お近くの店舗を探す
-
おすすめ物件
-
-

-
- 土地
- 1,580万円
-
福岡市東区香椎駅東1丁目
-
JR鹿児島本線香椎
-
-
-

-
- 土地
- 850万円
-
北九州市若松区浜町3丁目
-
JR筑豊本線若松
-
-
-

-
- 土地
- 660万円
-
福岡市東区大字弘
-
JR香椎線西戸崎
-
-
-

-
- 土地
- 2,190万円
-
古賀市花鶴丘3丁目
-
JR鹿児島本線ししぶ
-
-
-

-
- 土地
- 1,980万円
-
北九州市門司区東本町1丁目
-
JR鹿児島本線門司港
-
-
-

-
- 土地
- 2,650万円
-
北九州市小倉南区星和台1丁目
-
北九州高速鉄道守恒
-
-
-

-
- 土地
- 998万円
-
北九州市若松区宮丸2丁目
-
JR筑豊本線藤ノ木
-
-
-

-
- 土地
- 200万円
-
北九州市八幡西区田町1丁目
-
JR鹿児島本線黒崎
-
-
-

-
- 土地
- 2,700万円
-
古賀市今の庄1丁目
-
JR鹿児島本線古賀
-
-
-

-
- 土地
- 1,080万円
-
直方市知古2丁目
-
筑豊電気鉄道筑豊直方
-



担当エージェント:今里
土地・新築、中古戸建、全国700店舗以上の
ネットワークでお手伝い致します!
0942-50-5735鳥栖郵便局そば、お気軽にご相談ください♪