売土地 八女市納楚9区画 区画9 CT
NEW 02.06掲載情報更新日:2026年02月10日 次回更新予定日:2026年02月24日
- 1,112万円
-
- 借入ご希望金額
万円 - 借入期間
年 - 借入金利
% - 月々のお支払い金額
円
- 借入ご希望金額
※ 月々のお支払例は目安の試算となりますので、実際の金額とは異なる場合がございます。詳しくは店舗までお問合わせください。
- 八女市納楚
-
『どんどら』 徒歩9分 (約720m)
売土地 八女市納楚9区画 区画9 CT土地 | 物件情報
お探しのエリア、ご予算に合わせた土地探し、お手伝い致します。
また住宅ローンのご相談、土地・建物の購入に掛かる費用のご説明など、
分かりやすいご説明を心掛けておりますので、お探し初めの方も
安心してご相談ください!
物件の設備
- 電気
- 上水道
- 下水道
- 側溝
- プロパンガス
物件の特徴
- 建築条件無
物件詳細情報
| 価格 | 1,112万円 | 坪単価 | 坪16.8万円 |
|---|---|---|---|
| 物件種別 | 土地 | ||
| 所在地 | 福岡県八女市納楚 | ||
| アクセス |
|
||
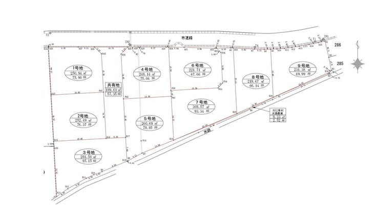
| 土地面積 | 218.67㎡(66.14坪) | 接道 | 北側幅 約5.1m |
| 私道 | セットバック | ||
| 最適用途 | 造成完了時期 | ||
| 地目 | 宅地 | 地勢 | |
| 権利 | 所有権 |
||
| 分譲情報 | 【販売区画】:9区画 |
||
| 都市計画 | 非線引区域 |
用途地域 | 1種住居 |
| 建ぺい/容積率 | 60% / 200% | 土地国土法 | |
| 許可番号 | 建築基準法 | ||
| 法令制限 | |||
| 小学区 | 中学区 | ||
| 現況 | 更地 | 引渡 | 期日指定:2026年05月以降 |
| 建築条件 | 建築条件なし | ||
| その他費用 | |||
| 周辺環境 | マルキョウ 八女店 徒歩11分 (約840m) 川崎病院 徒歩9分 (約700m) 業務スーパー 八女本村店 徒歩13分 (約990m) 八女市立上妻小学校 徒歩16分 (約1250m) マックスバリュ八女本村店 徒歩16分 (約1210m) 柳病院 徒歩18分 (約1410m) |
||
| 備考 | |||
| 物件番号 | 4587794 | 取引態様 | 媒介 |
取扱店舗情報
| 電話番号 | 0942-50-5735 |
|---|---|
| 所在地 | 〒841-0051 佐賀県鳥栖市元町1246番地3 |
| 営業時間 | 10:00~18:00 |
| 定休日 | 水曜日 |
| 宅建免許番号 | 佐賀県知事(2)第2561号 |
| アクセス | 店舗への地図はこちら |

来店ご予約
福岡県八女市で価格が似ている物件はこちら
- 福岡県
マイページ物件数 - 9,058件
最近見た物件
-
-

-
- 土地
- 3,980万円
-
豊中市宮山町2丁目
-
大阪モノレール柴原阪大前
-
-
-

-
- 土地
- 2,700万円
-
古賀市今の庄1丁目
-
JR鹿児島本線古賀
-
-
-

-
- 土地
- 1,500万円
-
泉南郡熊取町七山1丁目
-
JR阪和線東佐野
-
福岡県土地新着物件
-
-

-
- 土地
- 850万円
-
直方市大字感田
-
筑豊電気鉄道感田駅
-
-
-

-
- 土地
- 1,240万円
-
北九州市小倉南区西水町
-
JR日豊本線城野駅
-
-
-

-
- 土地
- 680万円
-
北九州市小倉南区津田4丁目
-
JR日豊本線下曽根駅
-
-
-

-
- 土地
- 3,050万円
-
福岡市東区三苫2丁目
-
JR香椎線奈多駅
-
-
-

-
- 土地
- 2,850万円
-
福岡市東区三苫2丁目
-
JR香椎線奈多駅
-
-
-

-
- 土地
- 1,695万円
-
大野城市大城5丁目
-
JR鹿児島本線大野城駅
-
-
-

-
- 土地
- 1,880万円
-
太宰府市梅香苑4丁目
-
西鉄天神大牟田線紫駅
-
- お近くの店舗を探す
-
おすすめ物件
-
-

-
- 土地
- 2,440万円
-
福岡市早良区野芥8丁目
-
福岡市七隈線賀茂
-
-
-

-
- 土地
- 298万円
-
北九州市八幡西区鳴水町
-
JR鹿児島本線黒崎
-
-
-

-
- 土地
- 4,780万円
-
北九州市小倉北区三郎丸3丁目
-
JR日豊本線城野
-
-
-

-
- 土地
- 2,500万円
-
北九州市小倉南区横代北町4丁目
-
JR日田彦山線石田
-
-
-

-
- 土地
- 810万円
-
筑後市大字山ノ井
-
JR鹿児島本線羽犬塚
-
-
-

-
- 土地
- 2,690万円
-
福岡市東区美和台3丁目
-
西鉄貝塚線三苫
-
-
-

-
- 土地
- 1,980万円
-
福岡市東区香椎駅東1丁目
-
JR鹿児島本線香椎
-
-
-

-
- 土地
- 3,800万円
-
北九州市小倉南区山手3丁目
-
北九州高速鉄道企救丘
-
-
-

-
- 土地
- 1,298万円
-
久留米市津福本町
-
西鉄天神大牟田線安武
-
-
-

-
- 土地
- 700万円
-
北九州市若松区大井戸町
-
JR筑豊本線若松
-



担当エージェント:今里
土地・新築、中古戸建、全国700店舗以上の
ネットワークでお手伝い致します!
0942-50-5735鳥栖郵便局そば、お気軽にご相談ください♪