大津市南郷上山町の土地
掲載情報更新日:2026年01月31日 次回更新予定日:2026年02月14日
- 780万円
-
- 借入ご希望金額
万円 - 借入期間
年 - 借入金利
% - 月々のお支払い金額
円
- 借入ご希望金額
※ 月々のお支払例は目安の試算となりますので、実際の金額とは異なる場合がございます。詳しくは店舗までお問合わせください。
- 大津市南郷上山町
-
京阪電鉄石山坂本線『石山寺』 バス乗車12分 南郷1丁目 停 徒歩6分 (約480m)
京阪電鉄石山坂本線『唐橋前』 徒歩62分 (約4950m)
JR東海道線『石山』 徒歩73分 (約5790m)
大津市南郷上山町土地 | 物件情報
物件の設備
- 電気
- 公営水道
- 公共下水
- 側溝
- 都市ガス
物件の特徴
- 前道6m以上
- 緑豊かな住宅地
- 閑静な住宅街
- 即引渡可
- 建築条件無
物件詳細情報
| 価格 | 780万円 | 坪単価 | 坪15.1万円 |
|---|---|---|---|
| 物件種別 | 土地 | ||
| 所在地 | 滋賀県大津市南郷上山町 | ||
| アクセス |
|
||
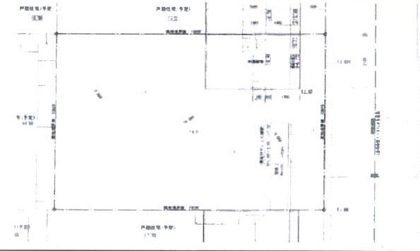
| 土地面積 | 公170.62㎡(51.61坪) | 接道 | 東側(公道)幅 約6.0m |
| 私道 | セットバック | 無 | |
| 最適用途 | 住宅用地 | 造成完了時期 | |
| 地目 | 宅地 | 地勢 | 雛段 |
| 権利 | 所有権 |
||
| 都市計画 | 市街化区域 |
用途地域 | 1種中高 |
| 建ぺい/容積率 | 60% / 200% | 土地国土法 | |
| 許可番号 | 建築基準法 | ||
| 法令制限 | 宅地造成工事規制区域・建築基準法第22条区域・第2種高度地区 | ||
| 小学区 | 南郷小学校 徒歩12分 (約940m) | 中学区 | 南郷中学校 徒歩17分 (約1300m) |
| 現況 | 更地 | 引渡 | 即 |
| 建築条件 | 建築条件なし | ||
| その他費用 | |||
| 備考 | ・宅地造成工事規制区域 ・第2種高度地区 ・建築基準法第22条区域 ・建築プランあり ・建築条件なし |
||
| 物件番号 | 4335393 | 取引態様 | 媒介 |
取扱店舗情報
ハウスドゥ 家・不動産買取専門店 大津 株式会社マキ不動産販売 店舗詳細ページへ
| 電話番号 | 077-531-0120 |
|---|---|
| 所在地 | 〒520-0821 滋賀県大津市湖城が丘1番13号 マキトラストビル膳所 |
| 営業時間 | 9:00~18:30 |
| 定休日 | 第3火曜日、水曜日 |
| 宅建免許番号 | 滋賀県知事(5)第3019号 |
| アクセス | 店舗への地図はこちら |





















